CAFE

오늘의 판매생선

[◆ 판매종료 ◆][3월25일] 40병어,신안홍어,바지락살,멍게살,홍합살,왕새우,산지전복,새우젓,멸치액젓

작성자유진수산|작성시간26.03.25|조회수216 목록 댓글 27

※첫 구매자분께는 3천원 할인쿠폰을 드립니다.

(두번째 주문시 사용가능합니다.)

※발송가능 답댓글 확인후 입금해 주세요.(선입금X)

※경매물건은 목포배들이 서남해안에서 어획하는 자연산 입니다.

원산지:국산(국내산)


 

★ 오늘 입찰 물건은 활감성돔,특대먹갈치,자랭이병어,간재미,숭어,잡어 입니다.

추가글로 올려드릴게요~ 좋은 하루 되세요!^^

 

 

 

 

 

 

 

 

 

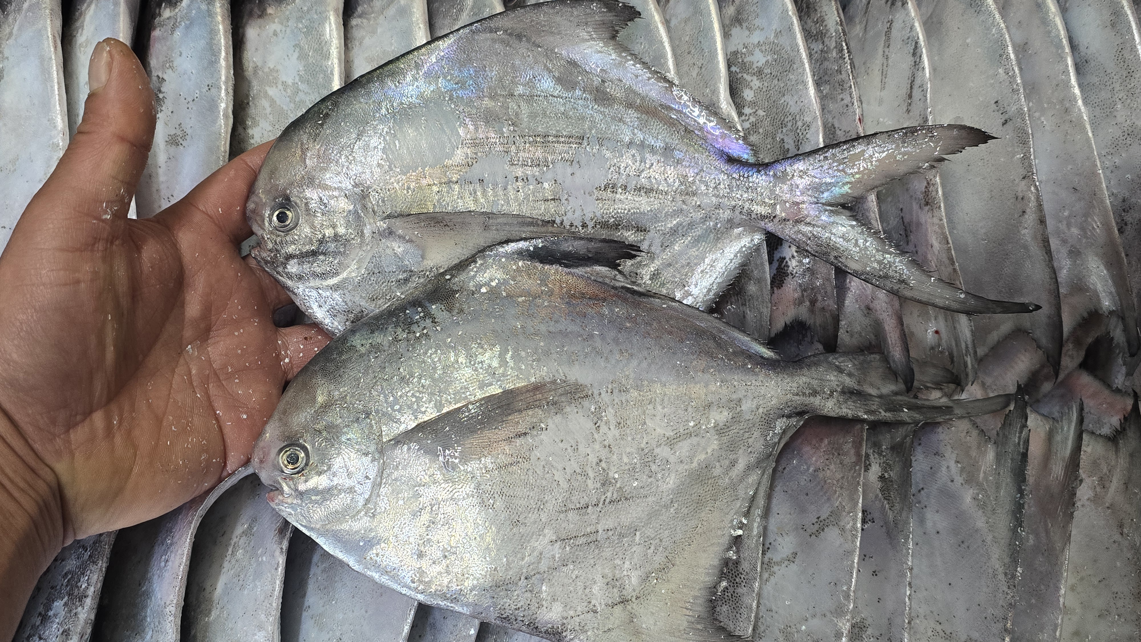
<병어 크기 순서>

20미>30미>40미>3단>자랭이>젓자랭이

한상자에 담긴수만큼 이름이 불린답니다

(1상자에 20마리=20병어/30마리=30병어)

수가 적을수록 크기가 큽니다

*사람손으로 담기에 약간의 크기와 무게차이가 있습니다

*같은 병어라도 무게에 따라 크기가 차이납니다.

예) 40병어(11k) > 40병어(10k)

 

★ 가장 인기있는 사이즈! 저장하세요!

★ 병어조림, 병어구이

[ 40병어(10.5k) ] ★한상자 남았어요!

5마리 -  42.000원

10마리 - 79.000원

*택포함

 



 

 

 

 

 

 

 

흑산도,홍도 처럼 같은 신안 앞바다에서 어획되었습니다.

★키로당 하지않고 한마리 통으로 싸게 드립니다.

한마리에 7~8k 정도니까 작은 홍어 아니고 크기도 좋아요~

토막손질 별도추가, 뼈서더리와 애까지 모두~ 챙겨드립니다!

생물맛부터 숙성맛까지 즐겨보세요~

(발송 날짜 지정 가능해요!)

 

 

★ 신안군 송도 어판장에서 경매 입찰!

★ 20마리 입고 되었습니다~ 현재 4마리 남음

깔끔하게 손질해서 보내드릴게요~^^ 꼭~ 저장하세요!

[ 신안 홍어(암) ] ★숙성 정도(약)

★키로당 판매하지 않고 한마리 통으로 드립니다.

한마리 7~8k ★특가 110.000원

+ 토막손질 10.000원 별도

+ 껍질제거 3.000원 별도

 

 

통으로(무료배송) -오늘 발송 가능

횟감손질은 불가 합니다.

크기 엄청 좋습니다~ 사진은 매번 새로 찍습니다.(17일)

★토막 손질로 받으시면 1석 3조★

1.손질비도 아끼고,

2.홍어찜으로 맛볼수 있고

3.일반인도 횟감으로 썰어서 드실수 있어요!

 

 

↓토막 손질할때 사진 입니다.

홍어애는 작을수도 클수도 있어요~ 홍어마다 달라요^^

 

*보관방법*

해동지나 키친타올 씌워서 밀폐용기에 넣고 내장보관하세요.

1~2주에 한번씩 젖은 키친타올을 갈아주세요.

빨리 숙성하시고 싶다면 실온에 두세요


 

 

 

 

 

 

 

봄 바지락살 작업을 시작합니다.

다양한 요리로 참 많이 쓰이는 조개입니다!

소분에서 냉동 저장하면 든든해요~~

(날씨에 따라 작업이 지연될수 있어요)

 

 

★ 오늘 발송 됩니다.

(당일 작업하여 발송 합니다.)

[ 바지락살(고흥) ] ★가격인하

1봉(500g정도) - 20.000원 *택포함

└ 추가시 1봉당 15.000원

 

 

★순차적으로 발송 됩니다.

선도를 위해서 예약 주문량 만큼만 입고됩니다.

미리 주문해 주세요^^

↓입고 된 사진입니다.(참고용)

물때 또는 바탕에 따라 달라질수 있습니다.

참고 사진 입니다~
참고 사진 입니다^^

 

 

 

 

 

❤바다향 가득 싱싱한 깐멍게!❤
당일 깐멍게 싱싱하게 보내드려요!
싱싱한 맛!!❤ 그대로 바다맛!!!❤
싱싱한 제철 수산물 먹는게 너무 행복하죠!!
멍게 같은거는 진짜로 싱싱해야 맛있게 먹을 수 있어요
산지에서 바로 깨끗하게 손질해서 보내드릴게요!
좋은 자리 있을때 가볍게 한잔 하고 싶을때!
당일 멍게로 바다향 그대로 드셔보세요! 추천드립니다

 

 

★ 주문량 만큼만 당일 입고,발송 됩니다.

★ 목요일,금요일 발송 됩니다.

(목요일 물량은 오늘 오전 10시 접수 마감 됩니다.)

[ 깐 멍게살(통영) ] ★예약 접수

1봉(500g)  19.000원 *택포함
└ 추가시 1봉 14.000원

 

★약간의 물포함으로 실량은 차이가 있을수 있습니다.

양해 부탁드립니다~

비닐팩 모양은 바뀔수 있습니다.

 

 

 

 

 

요즘제철이라 통통하고 연하고 맛있는 생홍합살 입니다
홍합에 타우린성분이 많아 건강에 좋은거 아시죠?
매일 당일작업해서 발송해 드립니다
다양한 요리에 활용해 보세요~^^

 

 

★ 주문량 만큼만 당일 입고,발송 됩니다.

★ 목요일,금요일 발송 됩니다.

(목요일 물량은 오늘 오전 10시 접수 마감 됩니다.)

[ 홍합살(여수) ] ★예약 접수

1봉(1kg) - 21.000원 *택포함

 └ 추가시 1봉당-16.000원

 

 

★약간의 물포함으로 실량은 차이가 있을수 있습니다.

양해 부탁드립니다~


 

 

 

 

 

 

 

 

올 겨울 시작될때 냉동 작업했어요~

왕새우가 끝나갈 무렵 착한가격으로 저장했답니다!

필요하신분들 구매하세요~

 

[ 특가 왕새우(냉동) ]

1kg - 25.000원 17.000원

+ 택배 별도 5,000원

 

 

★겨울 가격 좋을때 냉동 넣었어요

★ 탈피해서 껍질이 말랑한 새우들이 섞일수 있어요!

(드시는것과 무관합니다 참고해주세요^^)

회원님들의 소중한 후기 사진 입니다^^


 

 

 

 

 

 

 

해남 양식장 산지에서 직접 발송해 드립니다.

싱싱하게 산소팩에 넣어서 보내드려요

우체국 택배로 갑니다~^^ (다른상품과 묶음불가)

 

 

※가격 변동 되었습니다.

[ 산지 활 전복 ] ★당일발송 오전12시 마감★

*1kg당 가격표 입니다.*

大(8~9미) - 30.000원

中(11~12미) - 28.000원

小(19~20미) - 26.000원

+ 택배비 4.000원 별도

 

 

★묶음은 3k까지만 가능 (3k=1.5k두팩으로 갑니다.)

(3k 이상은 일반포장 또는 택배비 추가)

 ★전복은 산지 발송으로 다른상품과 묶음이 불가합니다.

=산지직송, 우체국택배로 발송됩니다.

▼대 전복 크기 입니다.

↓2k 산소포장 모습

↓회원님들의 전복 요리사진

 


 

 

 

 

 

 

 

신안 새우젓(추젓) 입니다.

목포 수협 어판장에서 경매 되었습니다.

저장용&김장용으로 사용하세요~^^

 

★ 필요하신분들 구매하세요~

[ 새우젓(추젓) ]

5k - 55.000원 

(택포함)

 

▼ 참고용 사진 입니다.


 

 

 

 

 

 

생멸치액젓 3년숙성 원액 입니다.

멸치액젓 전문으로 생산하는 명지식품 입니다.

저희 어머님께서 오랫동안 거래하셨구요

맑고 깊은맛으로 아주 좋습니다.

 

★ 한번 구매하신분들은 만족도가 매우 높아서 재구매 하는 상품입니다^^

[ 멸치액젓 ]

5k(한통) - 22.000원

5k+5k(두통) - 41.000원

 

(택포함가격 입니다.)


 

 

 

 

★3.000원★ 후기 이벤트

구매 후기글 쓰시면 3.000원 드립니다.

매달 구매후기 이벤트를 진행합니다

 

★★ 상품 구매 후기 이벤트 ★★

o 이벤트 참여방법 : 상품후기&요리글을 등록해주세요!

o 이벤트 당첨발표 : 작성해주신 후기글에 답변 드립니다.

o 이벤트 당첨인원 : 00명 (많이 뽑아요~ 99% 당첨)

o 이벤트 추첨방법 : 요리사진&댓글

o 이벤트 상품 : 3.000원 할인 쿠폰

★ 소소한 후기글도 환영 합니다. 후기만 써주세요

★ 여러번 참여하셔도 중복 가능!! 금액 적립가능


 

☎ 010-7726-1915

☎ 010-4878-1915

[농협]:695-01-152087 조상근

*주문자와 입금자가 다르실경우 미리 알려주세요!

자세한 문의사항은 전화주세요~

<공지사항>

1.당일위판인 생물의 특성상 매일 시세가 달라집니다.

2.택배는 CJ대한통운으로 발송됩니다.

3.현금영수증은 댓글남겨주세요.(택배비X)

4.손질추가주문은 문의주세요!!

 

[ 아래 주문서를 복사하시고 비밀글로 작성해 주세요! ]

[ 주문서 ]

1.주문자성함 :

2.품명/수량 :

3.받으실분 성함 :

4.연락처 :

5.받으실 주소 :

6.입금자성함 :

7.입금금액 :

 

<묶음배송>

묶음배송은 스티로폼(10k)박스 까지 가능합니다

포장은 위험한 물건과 묶음이 불가합니다

묶음배송시 문의주시면 답변해 드리겠습니다.

 

■제주도는 항공료3000원 도서산간지역7000원 추가요금 별도입니다.■

■ 제주도와 도서산간지역은 배송기간 2일 걸립니다.■

 

 

 

 

다음검색
현재 게시글 추가 기능 열기
  • 북마크
  • 신고 센터로 신고

댓글

댓글 리스트
  • 해당 댓글은 작성자와 운영진만 볼 수 있습니다.
  • 해당 댓글은 작성자와 운영진만 볼 수 있습니다.
  • 해당 댓글은 작성자와 운영진만 볼 수 있습니다.
  • 해당 댓글은 작성자와 운영진만 볼 수 있습니다.
  • 작성자유진수산 작성자 본인 여부 작성자 | 작성시간 26.03.25 new ==============================
    이 글은 판매 종료 되었습니다.
댓글 전체보기
맨위로

카페 검색

카페 검색어 입력폼