CAFE

오늘의 판매생선

[◆ 판매종료 ◆][오늘입찰] 활감성돔,활쭈꾸미,활암꽃게,특가전복大,기타잡어

작성자유진수산|작성시간26.04.15|조회수343 목록 댓글 40

※첫 구매자분께는 3천원 할인쿠폰을 드립니다.

(두번째 주문시 사용가능합니다.)

※발송가능 답댓글 확인후 입금해 주세요.(선입금X)

※경매물건은 목포배들이 서남해안에서 어획하는 자연산 입니다.

원산지:국산(국내산)


당일경매,당일발송으로 최대한 노력하고 있습니다.

취향것 골라서 맛있게 드세요~^^


 

 

 

 

 

 

 

오늘도 싱싱한 활어 횟감 입찰 받아왔어요

유진수산의 포장법 아시죠~?^^ 깔끔하게 손질해서 보내드릴게요

집에서 편하게 드세요

물론 자연산 인거 아시죠?^^

횟감으로 석장뜨기해서 진공포장후

서더리(머리,뼈) 함께 보내드립니다.

 

★구매적기! 요즘 제철이라 완전 맛있어요~ 꼭 드셔보세요 ^^

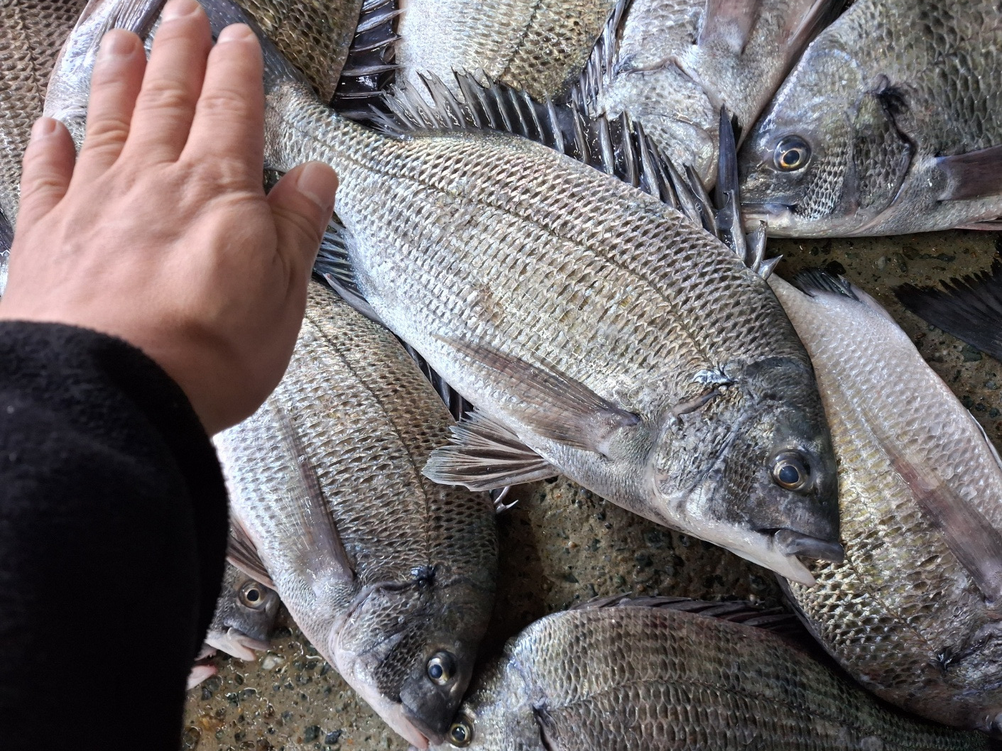
[ 활 감성돔 ]

★ kg당 14.000원 

1.2k/ 1.1k/ 1k/

 +손질,택배 10,000원 별도추가

(한마리 추가 손질비 5.000원 )

 

 

[ 활 참숭어 ]

★ kg당 8.000원 

4.1k

 +손질,택배 10,000원 별도추가

 

 

 

▼오늘 입고 영상&사진(15일)


 

 

 

 

 

 

 

*활어로 입찰받은 감성돔 입니다

*선어도 큰사이즈 있어요~

이거는 횟감손질 주문이 불가해요~ 그래서 싸게 드립니다.

직접 회 뜨실수 있는분들은 선점 하세요~^^

싱싱하니 매운탕,구이도 모두 가능 합니다.

*시메(피빼기) 하였습니다. 횟감가능!

 

★ 11세트 한정 입니다.

[ 활 감성돔 3미 ]

3마리(2.1k) - 24.000원 *택포함

└ 추가시 3마리 19.000원

 

 

★ 2세트 한정 입니다.

[ 선어 감성돔 3미 ]

3마리 (5k) - 39.000원

*택포함

 

 

▼오늘 입고 사진(15일)


 

 

 

 

 

 

 

봄 제철 알배기 시즌 입니다~ 너무 맛있네요!

알이 든것도 있고, 빠진것도 있어요~

샤브로 드셔보세요~ 야들야들 합니다! 

야채넣고 쭈꾸미 볶음도 너무 맛있어요~

 

 

★ 3세트 한정 입니다.

[ 활 쭈꾸미 ]

1kg(13마리) - 46.000원

 + 택배별도 5,000원

 

 

 

▼오늘 입고 사진(15일)

크기는 섞여 있습니다~^^



 

 

 

 

 

 

 

봄철 알배기 꽃게 입찰 받았습니다.

무게에 맞춰서 담으니까 크기는 섞여요~ 참고해주세요^^

꽃게탕,꽃게찜,꽃게무침으로 맛있게 드세요~

 

 

★ 5세트 한정 입니다.

[ 활 암꽃게(小) ]

1kg(6마리) - 30.000원 *택포함

└ 추가시 1kg 25.000원

 

 

▼오늘 입고 영상&사진(15일)

키로수 맞추느라 크기는 섞일수 있어요~ 참고해주세요.

알배기 시즌 입니다.

 

 

 

▼선별후 남은거 1개 단품 입니다.

중사이즈 입니다.

활 암꽃게中 1.5k(6마리) - 48.000원

*택포함

노란빛 보이시죠? 알배기 시즌 입니다.

 

★살아있는 상태로 입고되지만 얼음으로 기절시켜서

택배포장하므로 살아서 도착하지 못합니다

참고해주세요.

기절시키지 않으면 움직임이 심해서 발이 떨어진답니다.

최대한 발이 떨어진 아이들은 찾아서 같이 넣어드릴께요~

 


 

 

 

 

 

 

 

 

 

 

특가로 입찰받은 완도 활전복!

★ 직접 경매받았습니다.

아주 싱싱합니다.

회도되고, 버터구이도 되고, 전복죽도 추천!

 

★ 산지 물건 보다 더~ 싸게 입찰 받았어요!

지금까지 입찰 받은 물건중 가장 커요~

★ 29k 한정 입니다.

[ 특가 전복(大) ] ★오늘 추가 입찰!

1kg(8~9미) - 30.000원 25.000원

 + 택배별도 5,000원

 


 

집에서 전복 물회를 만들었어요~

식당에서 감히 만들수 없는~ 전복 반 야채반 물회!! ^^

아주~ 푸짐하게 맛있게 먹었답니다~~~ 

오늘 전복 추천해요~^^

 


 

 

 

 

 

 

★ 1세트 단품 입니다.

[ 활 문어+낙지 ]

1k - 33.000원

*택포함


 

 

 

 

 

 

★ 1세트 단품 입니다.

(꽃게 1마리는 서비스)

[ 활 갑오징어 4미 ]

4미(1.4k) - 35.000원

*택포함


 

 

 

 

 

 

 

★ 1세트 단품 입니다.

[ 감성돔+아귀 ]

4.4k - 35.000원

*무료배송


 

 

 

 

활어 잡어 상자 입니다(오늘 15일)

 

 

 

 

 

★ 10세트 입니다!

인기있는 생선으로 모듬 만들었어요~ 싸게 갑니다!

(광어는 활어 입니다.)

횟감,매운탕,구이로 드세요~

[ ①잡어 ]

3.5k - 29.000원

*무료배송


 

 

 

 

 

 

★ 4세트 한정 입니다.

(광어는 활어 입니다.) 횟감가능!

이것도 맛있는 광어하고 감성돔만 넣었어요!

[ ②잡어 ]

3.1k - 32.000원

*무료배송


 

 

 

 

 

 

 

★ 1세트 단품 입니다.

(간재미는 활어 입니다.) 횟감가능

[ ③잡어 ]

3.7k - 28.000원

*무료배송


 

 

 

 

★3.000원★ 후기 이벤트

구매 후기글 쓰시면 3.000원 드립니다.

매달 구매후기 이벤트를 진행합니다

 

★★ 상품 구매 후기 이벤트 ★★

o 이벤트 참여방법 : 상품후기&요리글을 등록해주세요!

o 이벤트 당첨인원 : 00명 (많이 뽑아요~ 99% 당첨)

o 이벤트 추첨방법 : 요리사진&댓글

o 이벤트 상품 : 3.000원 할인 쿠폰

★ 소소한 후기글도 환영 합니다. 후기만 써주세요

★ 멋진 요리로 올려주신 분께는 추가 선물도 드립니다.

★ 여러번 참여하시면 더 많은 기회가 주워진답니다!


 

☎ 010-7726-1915

☎ 010-4878-1915

[농협]:695-01-152087 조상근

*주문자와 입금자가 다르실경우 미리 알려주세요!

자세한 문의사항은 전화주세요~

<공지사항>

1.당일위판인 생물의 특성상 매일 시세가 달라집니다.

2.택배는 CJ대한통운으로 발송됩니다.

3.현금영수증은 댓글남겨주세요.(택배비X)

4.손질추가주문은 문의주세요!!

 

[ 아래 주문서를 복사하시고 비밀글로 작성해 주세요! ]

[ 주문서 ]

1.주문자성함 :

2.품명/수량 :

3.받으실분 성함 :

4.연락처 :

5.받으실 주소 :

6.입금자성함 :

7.입금금액 :

 

<묶음배송>

묶음배송은 스티로폼(10k)박스 까지 가능합니다

포장은 위험한 물건과 묶음이 불가합니다

묶음배송시 문의주시면 답변해 드리겠습니다.

 

■제주도는 항공료3000원 도서산간지역7000원 추가요금 별도입니다.■

■ 제주도와 도서산간지역은 배송기간 2일 걸립니다.■

 

다음검색
현재 게시글 추가 기능 열기
  • 북마크
  • 신고 센터로 신고

댓글

댓글 리스트
  • 해당 댓글은 작성자와 운영진만 볼 수 있습니다.
  • 해당 댓글은 작성자와 운영진만 볼 수 있습니다.
  • 해당 댓글은 작성자와 운영진만 볼 수 있습니다.
  • 해당 댓글은 작성자와 운영진만 볼 수 있습니다.
  • 작성자유진수산 작성자 본인 여부 작성자 | 작성시간 26.04.15 ==============================
    이 글은 판매 종료 되었습니다.
댓글 전체보기
맨위로

카페 검색

카페 검색어 입력폼