CAFE

12월19일 판매품목(방어,모듬회,알가자미,나막스,민어,잡어,뿔소라,가리비,...)

작성자삼천포|작성시간18.12.19|조회수486 목록 댓글 42




문의전화   ☎ 010.9177.9495    ☎070.8877.1199(문자가능)

                             또는 카카오톡 "삼천포수산"

계좌번호   ⊙우리은행  1002.650.422519 김미선

                   ⊙농      협  351.0676.6211.03  김미선


주문 방법   댓글로  먼저,주문주시고 확인이되면 

                   링크된 주문서나 문자로 주문서 부탁드립니다 :)

                   문자주문서 주실때  카페 닉네임,성함,주소지,주문품목

                       *입금자명이 다른경우 예금주 성함까지 부탁드립니다*


상품예약  상품품절로 인해 구매 못하신거나, 찾으시는 수산물이 있으신 경우 생선예약방이나

                 연락 주시면 입고시 연락을 드립니다! 각종 수산물&해산물, 제수용생선, 건어물등등


유의사항   ① 택배비는 4천원 별도입니다!  

                ② 상품사진 나무상자는 2.5키로 내외이므로 사진키로수에서 2.5키로 뺀 무게가

                      상품무게입니다  ex. 나무상자상품 눈뽈대 17.5kg - 눈뽈대 중량은 15kg

                            *그외 바구니 사진은  바구니 무게빼고 작업합니다*

                    ③ 택배사는 주로 한진택배이며, 롯데로도 가능합니다.

                    ④ 횟감구매시 신중한 구매 부탁드립니다

                       횟감은 선어냐 활어냐 (죽어있느냐,살아있느냐)에 따라 식감이 다르며,

                       또한 택배발송으로 인해 하룻밤 숙성됨으로 숙성회입니다!

                    kg단위로 판매하고있으며, 생물이다보니 마릿수가 일정하지가 않습니다

                       최대한 기재된 마릿수로 맞춰드리고 있으니  1~2미 차이는 양해부탁드립니다 :)







택배비 4000원 별도로 있음을 공지합니다 !!!  :-)


수요특가 택배 - 2,000원!!










*우럭 포뜬 사진입니다. 1k 횟감손질시 순수무게는 300g 내외세요^^*

양식 우럭입니다 (기본 찔러서 발송)

수령후  횟감으로 드셔도 되세요(1키로 3미내외)

서더리 기본 발송됩니다. 필요없으면 말씀하세요..

우럭 1키로 - 14,000원

횟감손질 요청시 1키로당 - 5,000원추가 




자연산모듬회 입니다..

(농어,참돔,낭태,삼식이,신대,담배쟁이..)

혼합해서 발송되며 순살 350그람 맞춰드립니다.

1키로 작업시 350그람정도 나오는거라

판매시 단위는 1키로로 합니다.

서더리 기본 발송되니, 필요없으면 말씀하세요.


자연산모듬회 1키로 - 25,000원




붕장어 입니다..

잘잘한 붕장어 횟감으로 보내드립니다..

1키로 작업시 450~500그람정도 나옵니다...

횟감 손질후 썰어서 보내드립니다..

아나고회 1키로 - 25,000원

구이용 (키로2~4마리) - 18,000원





활방어 입니다

7~10키로 짜리입니다

정확한 키로수는 확인후 답변 드리겠습니다..

횟감 손질후 발송되니 썰어서 드세요...

서더리 기본 넣어드립니다..

필요없으면 말씀하세요...

소방어 1마리 - 17,000원(1키로내외)

중방어 2키로 - 40,000원

중방어 2.5키로 - 50,000원

활방어 1키로당 - 20,000원(5키로내외)

활방어 1키로당 - 22,000원 (7~10키로)

*방어 특성상 충이 보일수 있습니다...   제거하고 드시면되세요..



생물 입니다..

손질후 700그람 담아서  진공포장후 발송됩니다!

달고기 1팩 - 11,000원





참숭어 입니다..(18일입고)

피빼고 7마리 22키로 나옵니다...

크기가 똑같을순 없지만 평균 3키로 정도 보시면되세요...

횟감 손질후 보내드립니다..

참숭어 1마리 - 35,000원

참숭어 1마리 - 30,000원





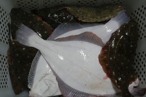
돌도다리 (재도다리)입니다...

알베기일대라 탕거리로 좋습니다.

여기서는 미역국으로 많이 드세요...

마리당 큰거는 1키로 넘고 작은거는 키로 2마리정도 나옵니다...

시메만 해서 보내드립니다..

돌도다리 1키로 - 10,000원







알가자미 입니다...

10셋트로 나눕니다..

한세트 19마리 내외 나옵니다..

알가자미 1셋트 - 36,000원

손질요청시 - 3,000원추가

손질,반건조요청시 - 5,000원추가






나막스 입니다..

말려서 드시면 맛있는 생선입니다..

10셋트로 나누니 6~7마리정도 나옵니다...

나막스 1셋트 - 15,000원

손질요청시 - 3,000원추가

손질,반건조요청시 - 5,000원추가





민어 입니다..

횟감 손질후 발송됩니다..

2.0 - 40,0000원

1.6 - 32,000원





신대 입니다...

기본손질(머리,내장제거후 벌려서 작업)후 보내드립니다..

머리떼어내면 로스가 제법 납니다...

3셋트로 나눌게요...

손질신대 1셋트 - 20,000원





갑오징어 잡어 입니다...

(갑오징어,낙지,문어)

문어는 1마리 있고 낙지 몇마리 있습니다..

갑오징어잡어 - 55,000원





잘잘한 달고기 입니다...

달고기잡어 - 10,000원

손질요청시 - 5,000원추가  (머리,내장제거)






백조기 입니다..

사이즈 전체적으로 괜찮은 편입니다...

2셋트로 나누겠습니다..

백조기 1셋트 - 40,000원

백조기 1셋트 - 35,000원

손질요청시 - 5,000원추가







담배쟁이 잡어 입니다..

(얼루고통,담배쟁이,간재미....)

담배쟁이잡어 - 30,000원

담배쟁이잡어 - 25,000원

손질요청시 - 5,000원추가






해삼 입니다..

사진상 보이는 사이즈보다 작은것도 있습니다..

키로 10마리정도 보시면되세요..

해삼 1키로 - 19,000원




참소라 입니다..

삶아서 드시면 맛이 좋습니다..

키로 6~8마리가량 나옵니다..

참소라 1키로 - 14,000원



뿔소라 입니다..

회로 드시면 맛있습니다..

키로 6~8마리정도 입니다..

뿔소라 1키로 - 11,000원




피조개 입니다...

삶아서 드세요..

피조개 1키로 - 4,000원




미루가이입니다

키로 2~3마리 사이즈로 보시면 됩니다

미루가이 1k -  17,000원

4마리 입니다..

미루가이 1키로 - 15,000원




자연산 돌멍게 입니다...

알맹이 드시고 소주한잔 담아서 드시면 특별한 소주 맛을 즐길수 있습니다..

돌멍게 1키로 - 10,000원



양식 가리비입니다..

삶아서 드시면 맛있습니다..

가리비 1키로 - 5,000원




깐바지락입니다. 판매 후 모두 오후에 노량진 수산시장 올라가는 바지락인 만큼

살이 탱탱하고 실 하니 전국에서도 알아주는 삼천포 깐바지락입니다.

(물 무게 포함 하지 않아요!)

보관방법: 해수만 제거 후 냉동보관, 해동 후 세척

깐바지락 900그램~1키로 - 19,000원




양식 생굴 입니다..
사이즈는 중굴정도 보시면되세요...
일키로 작업된양인데 물빠지면 800~900정도 나옵니다..
양식생굴 800~900g - 14,000원
자연산돌굴 800~900g - 18,000원
(돌굴은 작은사이즈다보니 찌꺼기가 좀더 있을수 있습니다)


완도 활전복입니다.

깨끗한 해수, 그리고  특허받은 싱싱팩으로 산소포장까지 함으로써

전국 어디든지 살아서 도착 하세요!  :-)

사이즈 3종류입니다

대.중 사이즈는 회로 드실수 있구요!

사이즈는  전복구이나 탕에 넣어 드시면 좋~습니다! 

(1키로 많다! 하시는분!  500그램으로 맞춰 드립니다!)

활전복

(11~12미) - 44,000(500g-22,000)  

중(17~18미) - 36,000(500g - 18,000)






해조류가 몇가지 나오네요...

염장아닌 생물입니다..

첫번째 참몰입니다..

방울이 달여있는게 특징인데 무침으로들 많이 드세요...

참몰 1키로 - 6,000원




톳입니다..

많은분들이 잘 아실거라 봅니다..

오늘 준비한 톳은 양식입니다..

톳 1키로 - 4,500원




김파래 입니다.

김과 파래를 섞어서 작업합니다...

김파래 1키로 - 4,000원





생물 김 입니다...

매생이국도 좋지만 김국도 좋습니다..

생물김 1키로 - 4,500원





파래 입니다...

파래 1키로 - 4,500원





생미역 입니다...

생으로 드실거면 수돗물에 한참 다궈놨다가 드세요..

생미역 1키로 - 4,000원




    *********   냉동 상품   *******************






하모 입니다..

손질후 반건조 해놓은 상태 입니다..

진공포장후 보내드립니다..

잔까시가 많은 생선입니다..

구워드실거면 칼집넣어 드세요...

하모 500그람 - 11,000






손질갈치 입니다..

1팩에 1마리 입니다...

손질갈치 1팩 - 7,000원(300그람내외)






손질한치 입니다..

500그람 담아서 냉동보관중이며

한팩에 2~4마리정도 들어있습니다..

손질한치 1팩 - 8,000원






귀한치 입니다...

손질후 500그람 담아놧습니다..

귀한치 1팩 - 15,000원


반건조삼치 입니다..

간질후 가을볕에 말려놓은겁니다...

살이 탄탄하니 맛이 좋습니다...


반건조삼치 2마리 - 9,000원





줄돔입니다...

내장제거후 냉동 보관중입니다..

구이,조림,탕으로 드세요..

줄돔 1마리 - 10,000원




딱새우 입니다..

500그람 담아서 냉동보관중입니다...

딱새우 1팩 - 4,000원


점꽃게 입니다..

잘잘한 편이니 찌게용 밖에 안됩니다.

500그람 담아놨습니다..

점꽃게 1팩 - 3,000원






손질 복어 입니다...

손질후 500그램 담아놨습니다..

머리제거,내장 제거 상태 입니다..

이대로 해동후 적당한 크기로 썰어서 탕끓여 드세요..

손질까치복 1팩 - 10,000원

손질 참복 1팩 - 14,000원

손질 도토리복 1팩 - 9,000원


오징어 입니다..

한팩 1키로 담아놨습니다...

손질후 드세요...

오징어 1팩 - 10,000원










































다음검색
현재 게시글 추가 기능 열기

댓글

댓글 리스트
  • 해당 댓글은 작성자와 운영진만 볼 수 있습니다.
  • 해당 댓글은 작성자와 운영진만 볼 수 있습니다.
  • 해당 댓글은 작성자와 운영진만 볼 수 있습니다.
  • 작성자솜사탕 | 작성시간 18.12.20 제가 수욜 주문한 내용보시고 금액하고 계좌 알려주시고 낼꼭 받아볼수잇게 해주세요
  • 답댓글 작성자삼천포 작성자 본인 여부 작성자 | 작성시간 18.12.20 넵^^알겠습니다
    주문감사합니다
댓글 전체보기
맨위로

카페 검색

카페 검색어 입력폼