CAFE

1월19일 판매품목(우럭,아나고,광어,냉동문어,....) 특가 알가자미

작성자삼천포|작성시간20.01.19|조회수249 목록 댓글 4


문의전화   ☎ 010.9177.9495    ☎070.8877.1199(문자가능)

                             또는 카카오톡 "삼천포수산"

계좌번호   ⊙우리은행  1002.650.422519 김미선

                   ⊙농      협  351.0676.6211.03  김미선


주문 방법   댓글로  먼저,주문주시고 확인이되면 

                   링크된 주문서나 문자로 주문서 부탁드립니다 :)

                   문자주문서 주실때  카페 닉네임,성함,주소지,주문품목

                       *입금자명이 다른경우 예금주 성함까지 부탁드립니다*


상품예약  상품품절로 인해 구매 못하신거나, 찾으시는 수산물이 있으신 경우 생선예약방이나

                 연락 주시면 입고시 연락을 드립니다! 각종 수산물&해산물, 제수용생선, 건어물등등


유의사항   ① 택배비는 4천원 별도입니다!  

                ② 상품사진 나무상자는 2.5키로 내외이므로 사진키로수에서 2.5키로 뺀 무게가

                      상품무게입니다  ex. 나무상자상품 눈뽈대 17.5kg - 눈뽈대 중량은 15kg

                            *그외 바구니 사진은  바구니 무게빼고 작업합니다*

                    ③ 택배사는 주로 한진택배이며, 롯데로도 가능합니다.

                    ④ 횟감구매시 신중한 구매 부탁드립니다

                       횟감은 선어냐 활어냐 (죽어있느냐,살아있느냐)에 따라 식감이 다르며,

                       또한 택배발송으로 인해 하룻밤 숙성됨으로 숙성회입니다!

                    kg단위로 판매하고있으며, 생물이다보니 마릿수가 일정하지가 않습니다

                       최대한 기재된 마릿수로 맞춰드리고 있으니  1~2미 차이는 양해부탁드립니다 :)





택배비 4000원 별도로 있음을 공지합니다 !!









더블클릭을 하시면 이미지를 수정할 수 있습니다



반건조 알가자미 입니다..

3,4,5미씩 포장상태 입니다..

해동후 기름에 튀겨드세요..

맛이 좋습니다...

알가자미 3,4미 - 11,000원

알가자미 5미 - 10,000원


(오늘의특가!!)

알가자미 3,4미 - 10,000원

알가자미 5미 - 8,000원








*우럭 포뜬 사진입니다. 1k 횟감손질시 순수무게는 300g 내외세요^^*

양식 우럭입니다 (기본 찔러서 발송)

수령후  횟감으로 드셔도 되세요(1키로 3미내외)

서더리 기본 발송됩니다. 필요없으면 말씀하세요..

우럭 1키로 - 12,000원

횟감손질 요청시 1키로당 - 5,000원추가 





붕장어 입니다..

잘잘한 붕장어 횟감으로 보내드립니다..

1키로 작업시 450~500그람정도 나옵니다...

횟감 손질후 썰어서 보내드립니다..

아나고회 1키로 - 25,000원

아나고회 500그람 - 13,000원








모듬회 입니다...

노래미,농어,감성돔,광어,혹돔,양식참돔,.....

필렛후 진공포장 발송되니 썰어드세요..

모듬회 1팩(180그람) - 10,000원

서더리 발송안됩니다. 필요하시면 말씀하세요..




 달고기 입니다..

냉동 보관중입니다..

사진처럼 손질후 진공포장후 발송됩니다..

700그람 담아 보내드립니다..

냉동달고기 1팩 - 11,000원







광어 입니다..

횟감 손질후 발송됩니다...

손질전 3키로 정도 입니다....

횟감 손질후 발송되며

서더리 발송안되니 필요하시면 말씀하세요..

챙겨 보내겠습니다...

광어 - 35,000원





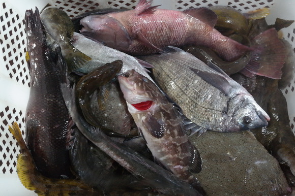
4번 잡어 입니다..

(으전,신대,꽃돔....)

사진상 보이는 은복은 버리겠습니다..

2셋트로 나눕니다...

4번 잡어 1셋트 - 15,000원

손질요청시 - 4,000원추가




5번 잡어 입니다...

(은전,샛돔,고등어...)

2셋트로 나눕니다...

5번잡어 1셋트 - 15,000원

손질요청시 - 4,000원추가




6번 잡어 입니다..

(신대)

요건 기본 손질해서 발송됩니다...

2셋트로 나눕니다..

2번 1셋트 - 10,000원




7번 잡어 입니다...

(아구,신대,백조기,은전,메가리...)

2셋트로 나눕니다..

7번 1셋트 - 15,000원

손질요청시 - 5,000원추가





돌문어 입니다...

손질없이 냉동 상태 입니다...

마리당 500~800그람 정도 나옵니다...

500g - 10,000원

600g - 12,000원

700g - 14,000원

800g - 16,000원

900g - 18,000원

1.1kg - 22,000원




돌문어 입니다...

500그람 담아놨으며

2~4마리가량 됩니다...

소문어 1팩 - 9,000원




간재미 입니다..

손질후 500그람 담아놨습니다...

무침용으로 드세요..

손질간재미 1팩 - 11,000원








돌멍게 입니다....

키로 10미내외 사이즈 입니다...

돌멍게 1키로 - 10,000원





양식 멍게 입니다...

키로 15마리 내외 입니다...

양식멍게 1키로 - 6,000원









가리비 입니다..

제철이라 좋을대 입니다..

따게비 붙은것도 제법 있답니다..

가리비 1키로 - 6,000원





피조개 입니다..

삶아 드시거나

손질 잘해서 횟감도 좋습니다....

피조개 1키로 - 4,000원







자연산 멍게 입니다...

키로 10미 내외 사이즈입니다..

양식에 비해 향,식감이 좋은편입니다..

자연산멍게 1키로 - 9,000원







해삼 입니다..

키로 15미 내외 사이즈로 보시면되세요..

내장제거후 횟감으로 드세요..

해삼 1키로 - 20,000원(15미)

해삼 1키로 - 18,000원(30미내외)







양식 생굴 입니다..
사이즈는 중굴정도 보시면되세요...
일키로 작업된양인데 물빠지면 900정도 나옵니다..
양식생굴 900g이상 - 13,000원
자연산돌굴 900그람이상 - 17,000원(잘잘합니다)








오만둥이 입니다...

된장국도 좋지만 반절 잘라서 된장에 조려서

반찬또는 안주로도 좋습니다....

오만둥이 1키로 - 5,000원








완도 활전복입니다.

깨끗한 해수, 그리고  특허받은 싱싱팩으로 산소포장까지 함으로써

전국 어디든지 살아서 도착 하세요!  :-)

사이즈 3종류입니다

대.중 사이즈는 회로 드실수 있구요!

사이즈는  전복구이나 탕에 넣어 드시면 좋~습니다! 

(1키로 많다! 하시는분!  500그램으로 맞춰 드립니다!)

활전복

(11~12미) - 44,000(500g-22,000)  

중(17~18미) - 38,000(500g - 19,000)


















매생이 입니다..

국거리로 좋습니다..

매생이 1개 - 3,000원




톳입니다..

자연산또는 양식으로 발송됩니다..

톳 1키로 - 4,500원




김파래 입니다.

김과 파래를 섞어서 작업합니다...

김파래 1키로 - 4,000원







생미역입니다

끓는물에 살짝 데쳐서 드시는것도 좋지만

수돗물에 짠기빼고 그대로 드시는것도 좋습니다.

물미역 1키로 - 4,000원





    *********   냉동 상품   *******************





농어 입니다...

반건조후 냉동 보관중입니다..

제수용으로 사용하기에 적합한 사이즈 입니다...

반건조농어 - 15,000원




깐새우 입니다..

500그람 담아서 급냉 상태 입니다..

씨알 좋습니다

깐새우 1팩 - 18,000원








준치 입니다..

기본 손질후 냉동보관중입니다..

진공포장 상태입니다..

잔칼집 넣고 석쇠에 구워 드세요...

준치 1마리 - 7,000원










반건조 민어 2번 입니다...

요건 벌려서 말린게 아니라 내장만 제거해서 말린겁니다..

사이즈가 제법 크네요...

건조후 무게로 판매합니다..

반건조민어

2.0 - 30,000원

1.6~1.4 - 25,000원







손질 갈치 입니다..

한마리씩 냉동 상태 입니다...

무게는 손질후 무게 입니다..

700g - 25,000원

600g - 22,000원

500g - 19,000원

400g - 16,000원

300g - 12,000원






점게 입니다..

된장국끓일때 넣어드시는 정도 입니다..

500그람 이네요..

점게 1팩 - 3,000원









손질 병어 입니다...

4마리씩 포장후 진공상태 입니다...

조림용으로 드세요..

참병어 입니다..

손질병어 1팩 - 12,000원














손질 피조개 입니다...

초밥용으로 좋습니다..

냉동 상태이니 자연해동후 물기빼서

초밥으로 드세요..

한판에 6피스있네요

 530피스씩 판매합니다

초밥용피조개 30피스 - 11,000





해삼 내장 입니다..

사진이 두개인데 위에꺼는 알이구요..

밑에꺼는 대창입니다...

알에 대창이 조금 들어갈수 있고..

대창에 알이 조금 들어갈수있습니다..

세심한 작업이다 보니 조금 섞일수있는점 양해바랍니다..

급냉상태 입니다..

150g 이상 담아 보내드립니다..

해삼내장 1통 - 10,000원

해삼알 1통 - 5,000원

해삼알 1키로 - 30,000원




깨복입니다...

껍질제거후 튀김요리좋습니다..

머리제거한 상태 입니다..

깨복 2마리 - 9,000원

까치복 1팩 (500그람) - 10,000원





딱새우 입니다..

500그람 담아서 냉동보관중입니다...

딱새우 1팩 - 5,000원

딱새우 1팩 - 3,500원(소사이즈)







손질 복어 입니다...

손질후 500그램 담아놨습니다..

머리제거,내장 제거 상태 입니다..

이대로 해동후 적당한 크기로 썰어서 탕끓여 드세요..

손질 참복 1팩 - 14,000원

손질 까치복 1팩 - 9,000원





















































다음검색
현재 게시글 추가 기능 열기

댓글

댓글 리스트
  • 해당 댓글은 작성자와 운영진만 볼 수 있습니다.
  • 해당 댓글은 작성자와 운영진만 볼 수 있습니다.
  • 해당 댓글은 작성자와 운영진만 볼 수 있습니다.
  • 해당 댓글은 작성자와 운영진만 볼 수 있습니다.
댓글 전체보기
맨위로

카페 검색

카페 검색어 입력폼