CAFE

12월5일 판매품목(방어회,아귀간,아귀대창,포항가자미,복어,민물새우,해초...)

작성자삼천포|작성시간25.12.05|조회수286 목록 댓글 28

 



<제로페이 코드번호>
응답하라 삼천포수산 

★제로페이 수산대전 상품권 가능하세요^^★
제로페이 결제하신뒤 결제번호 꼭 부탁드릴께요
<제로페이는 현금영수증 자동으로 되십니다>
 
 
택배사는  CJ택배로 발송드리며 한진택배 발송시 기재부탁드립니다

CJ택배  4,000원

한진택배 6,000원

 

 

 

 

양식 우럭입니다 
수령후 횟감으로 드셔도 되세요(1키로 3미내외사이즈)

 
우럭 1키로 시메후 발송 - 21,000원
탕거리 손질요청 1키로당 - 2,000원추가<비늘.내장제거>
횟감손질 요청 1키로당 - 5,000원추가<서더리 필요시 말씀주세요>
<1키로 횟감손질시 필렛무게 300그램내외입니다>

 

 

 

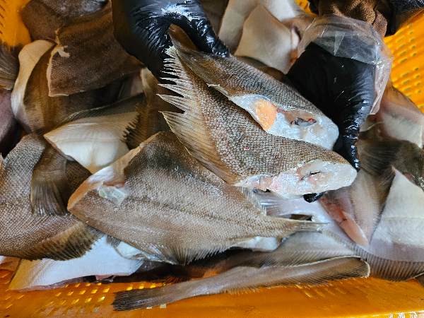
포항가자미 입니다

3키로기준 12미내외 사이즈로 

기본손질후 발송됩니다

포항가자미 - 24,000원

포항가자미 - 21,000원(재고할인)

 

잘잘한 활방어 입니다

손질후700그람 발송하겠습니다(3인분)

방어회 - 19,000원

잘잘한 깡치 입니다

손질없이 통으로 발송되니 참고해주세요

키로 25미내외 입니다

2키로씩 판매할게요

깡치 2키로 - 11,000원

아귀간과 대창입니다

대창은 소금으로 한번 씻어서 보내드리니 한번헹궈서 드시면 되세요

아귀간 600그람 - 15,000원

아귀대창 1키로 - 14,000원

 

생물복어 입니다

2키로 5미내외 사이즈로 탕거리손질후 발송됩니다

손질후 800그람정도 되네요

손질복어 - 17,000원

어르

 

 

생굴입니다

중간사이즈로 1키로작업한양입니다

실중량 900그람이상 보시면되세요

양식굴 -17,000

 
바지락살 입니다
요즘 살이 점점 빠지는 시기입니다
실중량 900그람 이상 보시면 되세요
바지락살 - 26,000원

 

 

홍합살입니다^^

바지락과 마찬가지로 바닷물 채워서 발송드립니다

받으시면 실중량 600그람 이상 되세요

홍합살 600그람이상 - 12,000원

 

해초 입니다

위에톳과 밑에김파래입니다

몰 1키로 - 10.000원

톳1키로 - 7,000원

생미역 - 6,000원

김파래 - 5,000원

 

 

민물새우 입니다

찌개,탕거리,튀김등 다양하게 활용되는 새우로

김장할때 사용해도 좋습니다

민물새우 1키로 - 24,000원

  

 

반건조꼬지 입니다

기름이올라 맛이좋을때 입니다

2마리씩 진공포장해놨으며

2팩씩 판매합니다(4마리)

2팩기준 600그람이상 나오네요

(간질이 조금 쎈편입니다)

반건조꼬지2팩 - 10,000원

 

 


 

 반건조 나막스 입니다..<건조후급냉보관중입니다>
대략 5마리정도 입니다..
해동후 반찬고기로 드세요..
반건조나막스 1팩 - 12,000원
 

 

 

 

반건조참조기 입니다

한팩기준 700그람 15미내외 입니다

잘잘한사이즈이니 참고해주세요

반건조참조기 - 12,000원

반건조 박대 입니다

3마리 진공포장해놨으니 바로 구워드시면 되세요

반건조박대 - 12,000원

 

 

손질갈치 입니다

2마리 반토막후 진공해서 냉동해놨습니다(400그람전후)

손질갈치 - 10,000원

 

한치 입니다

통으로 400그람 냉동상태 입니다

통찜이나 손질후 숙회로 드세요

2팩씩 판매합니다

한치2팩 - 11,000원
 

 

 

아귀살입니다
뼈없이 순살로 1키로 냉동상태입니다
튀김,국거리,찜요리등 활용하시면 되세요
아귀살 1키로 - 14,000원
 
 



 


 

반건조 가오리 입니다..
찜용으로 좋습니다.
가오리 1마리(35cm내외) - 12,000원


 

 

 

반건조갈치 입니다..
대가리와 가운데뼈도 같이 있는 상태이며
12마리씩 발송됩니다..
반건조갈치 12미 - 12,000원

 

 


갈치속젓과 액젓입니다..
속젓은 소금만 버무려놓은 상태이며 9~10월쯤 작업한거라
아직 숙성이 덜되어있습니다..
실온보관후 점더숙성해서 속젓만들어 드시면 되세요
아가미부터내장까지 들어간상태 랍니다
그리고 액젓은 속젓이 일년이상 지난상태라 녹아내려 걸래낸상태 입니다
바로 드실수 있으세요
갈치속젓 - 13,000원
갈치액젓 - 15,000원

 

두도멸치액젓 입니다

1.8리터와

800미리 입니다

검증된곳이라 안심하고 드셔도됩니다

두도액젓 1.8 - 23,000원

두도액젓 800 - 11,000원

5키로 통마리 숙성 멸치젓입니다

멸치와 소금으로 버무려놨으며 해수조금 첨가되있습니다

6월초에 작업했으며 

현재 숙성되어 삭은 상태 입니다

내려서 김장용 액젓으로 추천드립니다

3번이상 내리면 깨끗한 액젓받으실수 있으세요

숙성 멸치젓 5키로 - 20,000원

 

 

 

 

 

 

 

다음검색
현재 게시글 추가 기능 열기

댓글

댓글 리스트
  • 해당 댓글은 작성자와 운영진만 볼 수 있습니다.
  • 해당 댓글은 작성자와 운영진만 볼 수 있습니다.
  • 해당 댓글은 작성자와 운영진만 볼 수 있습니다.
  • 해당 댓글은 작성자와 운영진만 볼 수 있습니다.
  • 해당 댓글은 작성자와 운영진만 볼 수 있습니다.
댓글 전체보기
맨위로

카페 검색

카페 검색어 입력폼