CAFE

Action ☞ 출 조 후 기

낙엽 잎 사이로~(죽산수로)

작성자박카스짱 김현춘충북|작성시간18.11.15|조회수241 목록 댓글 2

서리가 내린11월 중순~

새벽 공기를 가르고 달려간 죽산수로~




지난번 갔을때 그냥 돌아섰던게~

아쉬워서 벼르고 벼르다 다녀왔습니다



원 계획은 보팅이였으나~
필드에 도착하니~
많은 보트들이 정박되어있고 어수선해서 ....
먼길 왔으니 연안 좌대 설치하기로 결정하고
포인트 진입해 봅니다~

좌판 설치 후~






사용한 떡밥
LL글루텐 240cc 1컵
포테이토 240cc 1컵
골고루 섞은 후 물 240cc 2컵
10여분 숙성 후 살짝 휘리릭 젛어서
사용함 가변운 떡밥으로 완성
바늘의 심은 두세시간이 흘러도
남아있음~




21척

4미터권

낚시시간 5시간~





상황이 바뀌는 바람에 찌 3번 교체
액션공방 전자찌 EK시리즈 8번 4목 맞춤
주간 롱찌 FM 11번 3목 맞춤
TT시리즈 7번 4목 맞춤







원줄1.0호
목줄 ㅇ.4호~0.6호

목줄길이 상 0.6호 50센티
하 0.4~0.5호 60센티

그랑바늘 2호 먹이용
오너바늘 8 호 집어용







오전 두시간은 대류 없다가
해가 뜨면서 대류가 우측으로 흐름
찌가 가라않자있다가 떴다가
낚시하긴 복잡한 상황이였습니다




주간 롱찌 FM 11번



3목 맞춤




히트!!!!

목내림 도중 한마디 간결하게 찍거나
찌하나정도 바닥에서 띄움
대류따라 흐르다 반마디 눌림~
입질 표현은 다양하게 들어옴~~~~





묵직한데 수상한? ㅎㅎㅎ






뭣이여라?

뭐가 요로크럼 무겁다냐???





창피하게 쌍걸이 했습니다ㅎ

분명 한번 빨렸는데?ㅎㅎ

동시에 거시기했나봐용ㅎㅎ





두번째 떡~~~^^






상황이 바뀐듯하여~

찌도 바꾸어 보구요~

TT시리즈 7번 4목 맞춤





나왔다하면 튼튼한 녀석들로

나오는데 어렵네요~






0.4호로 교체했다

한마리 잡고 4번팅~@@@@

다시 0.5호로 교체~






엽조사님도 덩어리 첫수 축하~







큼지막하네요~







좋다~






전체적인 조황은 안좋습니다~




다들 고만고만 합니다~







이맛에 먼길 옵니다만

물색은 영 적응안되네용~







손맛 보았으니 슬슬 철수해야지요~






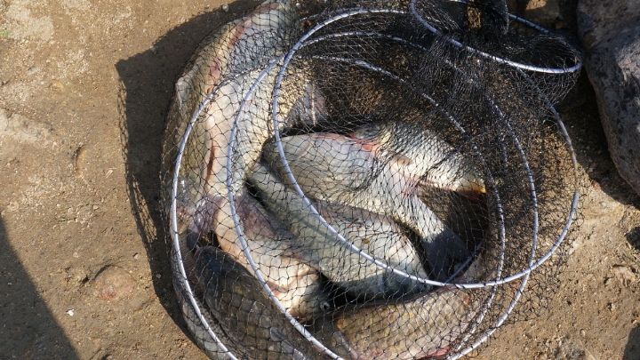
다 모아서~
어르신 가져가시네요~






철수전 어수선합니다~

겨울 나려고 장만한 장비 테스트도하고
즐겁게 손맛보구
생활전선으로 복귀했답니다~






오늘은 누가 댓글다나 같이보자ㅎㅎㅎ




또 인사드리겠습니다~^^




박카스짱이였습니다~^^






다음검색
현재 게시글 추가 기능 열기

댓글

댓글 리스트
  • 작성자정용기 | 작성시간 18.11.25 동출 한 느낌의 조행기 입니다.
  • 답댓글 작성자박카스짱 김현춘충북 작성자 본인 여부 작성자 | 작성시간 18.11.25 즐거운 휴일되시구요~~^^
댓글 전체보기
맨위로

카페 검색

카페 검색어 입력폼