CAFE

수산물 축산물

활감성돔회 가격다운 황가오리애 회 예약 자연산 민어회 신안 홍어회 한접시 2만원 새우젓 반건조생선 판매합니다

작성자미진수산|작성시간25.04.08|조회수4 목록 댓글 0

신안 미진수산입니다

황가오리는 오늘도 나오지않았네요
예약만 받습니다


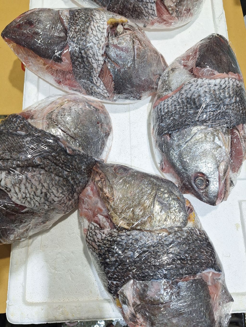
착한 가격으로 찾아온 자연산 감성돔
5월달만 맛보실수 있는데
오늘 마리당 3천원 가격다운

살아있는 활어이구요

1~1.2키로 짜리로
손질하면  순살회로 300그램 내외
서더리 필요하시면 기재해주세요

🚫자연산 감성돔회1접시
↔️ 2만6천원

🚫 자연산 감성돔회 서더리포함
↔️ 2만6천원

참피디님이 인정해주신
육사시미 맛과 쫄깃한 맛이 일품
막바지라 들어가기전에 맛보세요

참피디님이 저희꺼 찾아주신 덕분에
유튜브에 나와서 핫했죠~

흑백리뷰님 잡솨님 대평이님이 찾아주셨어요

가오리 크기가 크니 맛도 좋고 더 쫄깃하오니
회도 많이 찾아주세요

쫄깃한 식감으로 간단하게
초고추장에 한점 드셔보셔도 좋구요

야채무침이나 찜으로 맛있게 드셔보세요

황가오리 애 색깔은 다양해요
꼭 노란색아니랍니다
색깔이 어두워도 선도에 이상없는것이니
회로 드셔도 됩니다

애는 회같이 구입가능합니다

🚫 황가오리회 250~300그램 ↔️ 2만원

🚫 황가오리애 130~160그램 ↔️ 만원

별미 자연산민어
한접시당 2만3천원

자연산 민어
부위별로 맛이 달라
골라 먹는 재미가 있지요 

식감은 부드러워요
쫀득하지않습니다~ 

🚫 자연산 민어회 1접시 400~450그램
↔️ 2만3천원

민어서더리라고 하면 
회 뜨고 남은 몸통뼈 머리 라는거 아시죠?

5~6키로 뜬 자연산민어라
보양식으로 좋습니다

기력약하신 어르신들에게 영양 만점
보양식 지리탕으로 최고죠~

급냉했습니다

🚫급냉 민어 서더리 1.6~1.8키로내외 한벌 ↔️ 2만원

홍어 특가

신안 홍어회 가격 한접시당 4천원다운
2만원

신안 싱싱 홍어

암치 신안홍어가
가격이 더 비싸고 맛이 더 좋아요~

저희꺼 암치 홍어입니다

한접시당 4천원씩 할인판매합니다

맛있는 삼합이나
홍어무침으로 맛있게 드셔보셔요~

숙성정도는 개인차이가 커서요
한점 드셔보시고 숙성약하시면
2~3일정도 더 숙성해서 드셔요~

선물로 보내시기 원하시는분들도 계셔서
800그램 한박스로 만들었구요
선물용으로는 한박스로 추천드려요

애는 횟감 입니다

🚫 할인 홍어애 200~250그램
정상가 2만원 ↔️ 할인가 1만5천원

🚫 싱싱 홍어회380~ 420그램 
2만4천원 ↔️ 할인가 2만원

🚫 싱싱 홍어회 780~820그램 한박스
4만8천원↔️ 할인가4만원

🚫 중간숙성 홍어회380~ 420그램 
2만4천원 ↔️ 할인가 2만원

🚫 중간숙성홍어회 780~820그램 
한박스
4만8천원 ↔️ 할인가 4만원


생새우 중에서 알아주는
몸값 자랑하는
참새우~ 동백하

더 맛있는 김장을 위한 참새우
한번 넣어보셔요~

남으신건 국이나 부침개로 해드셔도 맛좋습니다

선도유지 위해 수작업으로
선별작업해서
급냉했어요

1키로씩 소분x
2키로 3키로 이렇게 되어있습니다

사용하실땐 채에 넣어 한번 씻어서 사용하시면 됩니다

여러가지 잡어들이 섞여있는 거
매의 눈으로
최대 골라내어 보내드리지만 사람이 하는지라
섞여있을수 있어요~

혹 들어있는 잡어있다면
생새우와 같이 갈아서 드시면

고소하고 감칠맛 납니다
2키로이상 주문가능

🚫급냉생새우 1킬로당
↔️ 2만원(2킬로이상)

택배비4천원 별도

찬바람이 불어 해풍에 말린
반건조민어 3마리 2만원짜리 돌아왔습니다

🚫 반건조민어 31~33센티 3마리
↔️ 2만원

🚫 제수용 민어 31~33센티 3마리
 ↔️ 2만원

🚫 반건조민어 36~39센티 3마리
↔️ 3만원

🚫 제수용 민어 36~39센티 3마리
 ↔️ 3만원

🚫반건조 박대 30~32센티 3마리 ↔️ 2만원

반건조 참돔 감성돔 장대 있으니 문의주세요


김장철 새우젓 구매 망설이시나요?
올해 새우젓이 안잡혀 가격 많이 올랐지만
최대 저렴한 가격으로 준비했어요

적당히 숙성되어 드디어 햇추젓 판매 시작합니다

경매가 계속 오르고 있어서 더 오를수도 있어요

크기도 작지않아요~
품질과 가격면에서 최고

1키로당 1만2천원이지만
3.5키로 짜리만
키로당 만원으로 당분간만 할인행사 진행하오니
많이 찾아주세요~

저희 단골분들이 재구매주시고
댓글로 남겨주셨으니 참고부탁드려요

믹스 오젓은
오젓과 육젓 붉새우젓이 조금씩 섞여있어
기존 오젓보다 크기가 더 커요~
가성비가 좋습니다

저희 자부심 신안 새우젓

새우젓 가격 너무 좋아요~

오직 신안천일염으로만 간해서
저희는 맛있지않구요
짜지만 깔끔하고 개운한맛
익으면 감칠맛 팍팍나게 해주는
건강에 좋은맛입니다

조미료나 물 섞지않고
건더기 위주로 가득가득채워
흔들어보세요~

햇 육젓 한드럼 행사가 정말 착한 가격에 준비했어요
1키로당 3만원

2키로 3.5키로짜리로 구매시 한통이오니
소분원하시는분들은 1키로 짜리로  구매부탁드립니다

재작년 사이즈랑 비슷한 가성비 좋은 육젓입니다~

🚫 특가 육젓
1킬로 ↔️ 3만원
2킬로 ↔️ 6만원
3.5킬로 ↔️  9만원

🚫 오젓2킬로 ↔️ 특가 4만원
🚫오젓 3.5킬로 ↔️ 특가 6만원
택배비 별도

추젓은 붉새우젓 조금 섞여있습니다
사진 참고 부탁드려요

매번 드럼통이 바뀌면
새우젓크기는 달라지고
붉새우젓도 섞여있을수 있습니다

특추젓은 추젓보다 크기가 크구요
약간의 붉새우젓이 섞여있어요~

사진상 새우젓 크기는 커보일수 있는거 
아시죠?

받아보실땐 사진보다 훨씬 작을수 있으니
왜 작냐고 물으신다면 곤란하옵니다~

사진무게는 참고용입니다

항상 정량보다 가득채워 발송드립니다

추젓은 다용도로 쓸수있고 그냥 넣으시면 됩니다

김장하시면 다 맛있는 새우젓이지만
가격대가 차이가 있으니 
선호하는 취향에 따라 선택해주시면 
됩니다

택배사에서 새우젓이나 젓갈은 
변하지않아서 물량이 많을땐
배송이 늦어지면 
이틀걸리시니 여유있게 주문부탁드려요

붉새우젓은 윗쪽에 국물이 있어야 
변색 마름 상하지않아서요

사진보다 국물이 더 많을수있으나
건더기 위주로 담구요
정량보다 초과해서 담아드리니
참고하시고 주문주셔요

10만원 이상 무료배송
택배비 4천원별도

최대 18킬로까지 합배송
2개 발송되면 추가택배비 있어요
로젠택배로 발송드려요

🚫 추젓 
2킬로 정상가 2만6천원 ↔️  할인가2만4천원
3.5킬로 4만6천원↔️ 특별할인가 3만5천원

🚫 특추젓
2킬로 ↔️  3만원
3.5킬로↔️  4만5천원


🚫믹스 오젓2키로 ↔️ 4만원

🚫믹스 오젓3.5키로
↔️ 할인가 6만원

🚫 오젓
2킬로 ↔️ 4만원 
3.5키로↔️ 6만원

🚫 육젓
1킬로 ↔️ 3만원
2킬로 ↔️ 6만원 
3.5키로↔️ 9만원

🚫붉새우젓 ↔️ 김장만 가능
3.5kg ↔️ 3만원 
5kg ↔️  5만원

🚫 갈치창젓 2키로 ↔️ 2만원

김장할때나 양념하셔서 드시면 됩니다

🚫 일반젓갈류

젓갈 무쳐드실 경우는 짠기 생수나 쌀뜨물로 20분정도 짠기 빼시고 무치셔야 맛있습니다.
그냥 무치시면 짜요~

취향껏 선택해주셔요~

갈치젓 잡젓
3.5kg↔️ 2만원
5kg ↔️ 3만원


황석어젓 멸치젓
3.5kg↔️ 2만3천원
5kg ↔️ 3만3천원


🚫추자도멸치액젓 서해안 까나리액젓

요 녀석들은 다른 액젓들보다 비싸게 느껴지실수있으시지만 맛보시면 가게에서 100프로 요것만 사가요 
후회 안하시니 한번 드셔보세요~

주문 편하시게 5킬로 10킬로 기재하였구요
실중량은 괄호안에 표기하였습니다

5kg (실중량 4.8킬로)↔️ 2만원
10kg (실중량 9.6킬로)↔️ 4만원

🚫 서해안 갈치액젓4.3킬로 ↔️ 3만원

🚫 반건조생선 민어 장대 박대 참돔 감성돔
가격은 문의주세요

도서섬지역 택배비 만원

☞10만원 이상 무료배송 
☞로젠택배 4시 30분 택배마감
☞택비 4000원 별도발생
도서섬지역 추가부담 
☞ 입금확인 확인후 발송드려요

☞ 주문은 댓글이나 010 2471 4543
카페이름 품목명 주소 성함 연락처 문자로 
남겨주세요


다음검색
현재 게시글 추가 기능 열기

댓글

댓글 리스트
맨위로

카페 검색

카페 검색어 입력폼