CAFE

노지조황_2026년

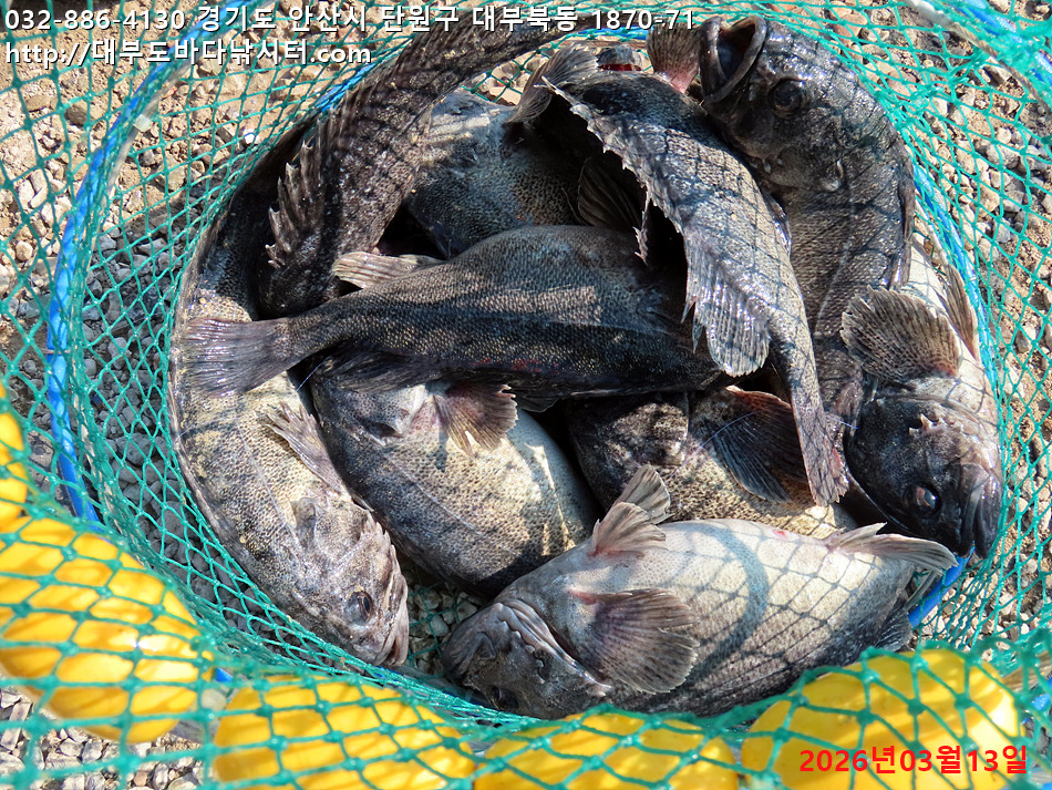
대부도바다낚시터 2026년 3월 13일 금요일 우럭 조황

작성자바다 낚시터짱|작성시간26.03.13|조회수200 목록 댓글 0

 

 

대부도바다낚시터

 

 

우럭 방류합니다.

 

 

방문해주신 많은 조사님들 

감사드리오며, 대박 나시길 바랍니다.

 

■ 노지방류시간

타임시간
평일, 주말9시,
2시 30분

 

■ 노지 입어료

카드,현금 동일가
노지 입어료
(12시간)
90,000원
여성
초,중학생
80,000원
커플
입어료
160,000원

 

짬낚시
오전 11시부터 입장가능!
6시간 6만원

 

 

낚시대는 1인 1대, 외바늘채비

꼭 준수 부탁드립니다.

 

경기도 안산시 단원구 대부북동 1870-71

032)886-4130

010-3795-7871

010-8593-7871

 

 

 

 

 

 

 

 

 

 

다음검색
현재 게시글 추가 기능 열기

댓글

댓글 리스트
맨위로

카페 검색

카페 검색어 입력폼