CAFE

♠ 수산물직거래

월발송 따듯한 탕이나 구이로 좋은 민어건정과 중간숙성홍어회 반건조민어 5마리 구매시 한마리 더 드려요

작성자미진수산 어업11|작성시간23.02.05|조회수35 목록 댓글 0

신안 지도 미진수산입니다

즐거운 주말되시고 월요일 발송됩니다

크기도 크고 행사 진행
3마리 2만원짜리보다 더 큰 만원짜리 민어
5마리 구매시 한마리 더 드리니
많이 찾아주세요

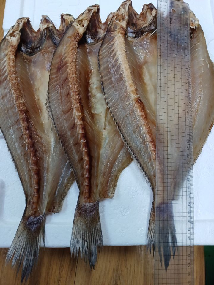
선물용 특가로 준비한 새로 작업한 민어 사이즈
42~45센티

기존 45센티 2만5천원 짜리와 길이는 비슷
너비가 좀 더 작아요~

가격이 마리당 5천원씩 저렴
선물용으로 추천 제격~

3마리가 한 세트

선물용 특가
🚫 특가 선물용 42~45센티 반건조민어 3마리 ↔️ 6만원

택배비 별도

신안 중간숙성 홍어

암치 신안홍어가
가격이 더 비싸고 맛이 더 좋아요~ 

저희꺼 암치 홍어입니다 

숙성은 개인 입맛차이가 있을수 있어
한점드셔보시고 약하시면 더 숙성해서 드세요

🚫 신안 중간숙성 홍어 한접시 400그램
↔️ 2만5천원

🚫 신안 중간숙성 홍어 한박스 800그램
↔️ 5만원

🚫 한마리채 구매시 문의주세요

택배비4천원별도
10만원이상 무료배송

어무니가 직접 손질하고 간해서
자연산 해풍에 말린 자연산 반건조 생선

🚫반건조민어 31~33센티 3마리 ↔️ 2만원

🚫제수용민어 31~33센티 3마리 ↔️ 2만원

신상 사이즈 더 큰 민어 덤행사 진행합니다

🚫반건조민어 37~40센티 1마리 ↔️1만원

2마리이상 구매가능
5마리 구매시 한마리 더 드려요

🚫행사가 반건조민어 37~40센티 6마리 ↔️5만원

🚫 서대 생물일때 건조전 1.6~2키로 한마리 (48~50센티) ↔️ 3만원

🚫 감성돔 건조전 1키로 (32~34센티)
↔️ 2만5천원 

🚫 감성돔  건조전 1.4~1.5키로 (36~38센티)
↔️ 3만원

🚫 반건조 장대 33~35센티 3마리
 ↔️ 2만원

🚫 반건조 장대 38~40센티 2마리 ↔️ 2만원

킬로당 9천원
3.5키로 짜리가 저렴하오니
많이 찾아주세요~

올해 제일 낮춰진 가격으로 준비한

김장철 특가로 준비한 새우젓
6년만에 정말 좋은 가격
품질과 맛 자부합니다

후기 댓글 참고부탁드려요

크기도 좋고 품질도 좋은 행사중인 만원 추젓
더 할인되는 특가 새우젓 추젓
킬로당 만원도 안되는 가격
3.5키로 사이즈 2만7천원

🚫 특가 추젓 3.5키로 ↔️ 2만7천원

많이 찾아주세요~

부담스러운 김장철 새우젓 할인 판매시작합니다

추젓은 킬로당 천원 다운 9천원
특추젓은 킬로당 2천원 꼴 1만5천원

올해 새우젓 가격 너무 좋네요~

오직 신안천일염으로만 간해서
저희는 맛있지않구요
짜지만 깔끔하고 개운한맛
익으면 감칠맛 팍팍나게 해주는
건강에 좋은맛입니다

조미료나 물 섞지않고
건더기 위주로 가득가득채워
흔들어보세요~

햇 육젓 한드럼 행사가 정말 착한 가격에 준비했어요
1키로당 3만원

제일 저렴하게 판매했던 3.5키로 기준 3만5천원
1키로 구매시 4만원했던거
초특가 1키로당 3만원

한드럼 행사 끝나면 3만5천원으로 판매하고
햇오젓 킬로당 5천원씩 다운된
행사가격에 준비했으니
많이 찾아주세요~

2키로 3.5키로짜리로 구매시 한통이오니
소분원하시는분들은 1키로 짜리로  구매부탁드립니다

작년 사이즈랑 비슷한 가성비 좋은 육젓입니다~

🚫 특가 햇육젓
1킬로 ↔️ 3만원
2킬로 ↔️ 6만원
3.5킬로 ↔️  9만원

🚫 햇오젓2킬로 ↔️ 특가 4만원
🚫햇오젓 3.5킬로 ↔️ 특가 6만원
택배비 별도

기존 추젓 할인행사
2키로 2천원
3.5키로 4천원 다운

킬로당 9천원

3.5키로를 많이 찾으셔서
더 저렴합니다

🚫 추젓
2킬로↔️ 할인가 1만8천원
3.5킬로↔️ 특별할인가 2만7천원

특추젓은 추젓보다 크기가 크구요
약간의 붉새우젓이 섞여있어요~

사진상 새우젓 크기는 커보일수 있는거 
아시죠?

받아보실땐 사진보다 훨씬 작을수 있으니
왜 작냐고 물으신다면 곤란하옵니다~

사진무게는 참고용입니다

항상 정량보다 가득채워 발송드립니다

추젓은 다용도로 쓸수있고 그냥 넣으시면 됩니다

김장하시면 다 맛있는 새우젓이지만
가격대가 차이가 있으니 
선호하는 취향에 따라 선택해주시면 
됩니다

택배사에서 새우젓이나 젓갈은 
변하지않아서 물량이 많을땐
배송이 늦어지면 
이틀걸리시니 여유있게 주문부탁드려요

붉새우젓은 윗쪽에 국물이 있어야 
변색 마름 상하지않아서요

사진보다 국물이 더 많을수있으나
건더기 위주로 담구요
정량보다 초과해서 담아드리니
참고하시고 주문주셔요

10만원 이상 무료배송
택배비 4천원별도

최대 20킬로까지 합배송
농협택배로 발송드려요

🚫 추젓 
2킬로↔️ 할인가 1만8천원
3.5킬로↔️ 특별할인가 2만7천원

🚫 특추젓
2킬로 ↔️ 할인가 3만원
3.5킬로↔️ 할인가 4만5천원

🚫 오젓
2킬로 ↔️ 4만원 
3.5키로↔️ 6만원

🚫 육젓
1킬로 ↔️ 3만원
2킬로 ↔️ 6만원 
3.5키로↔️ 9만원

🚫붉새우젓 ↔️ 김장만 가능
3.5kg ↔️ 3만원 
5kg ↔️  5만원

🚫황석어젓 잡젓 밴댕이젓 갈치젓 멸치젓

젓갈 무쳐드실 경우는 짠기 생수나 쌀뜨물로 20분정도 짠기 빼시고 무치셔야 맛있습니다.
그냥 무치시면 짜요~

취향껏 선택해주셔요~

3.5kg↔️1만 8천원
5kg ↔️2만 8천원

🚫추자도멸치액젓 서해안 까나리액젓

요 녀석들은 다른 액젓들보다 비싸게 느껴지실수있으시지만 맛보시면 가게에서 100프로 요것만 사가요 
후회 안하시니 한번 드셔보세요~

주문 편하시게 5킬로 10킬로 기재하였구요
실중량은 괄호안에 표기하였습니다

5kg (실중량 4.8킬로)↔️ 2만원
10kg (실중량 9.6킬로)↔️ 3만 5천원

🚫 서해안 갈치액젓4.3킬로 ↔️ 2만5천원

도서섬지역 택배비 만원

반건조생선도 있으니 문의주세요

☞10만원 이상 무료배송 
☞농협택배 3시 택배마감
☞택비 4000원 별도발생
도서섬지역 추가부담 
☞ 입금확인 확인후 발송드려요

☞ 주문은 댓글이나 010 2471 4543
카페이름 품목명 주소 성함 연락처 문자로 
남겨주세요

☞ 입금계좌 ==> 농협 0102471454309 전미진

선물용 민어 42~45센티 3마리 6만원


육젓

오젓 육젓비교

오젓

다음검색
현재 게시글 추가 기능 열기

댓글

댓글 리스트
맨위로

카페 검색

카페 검색어 입력폼