CAFE

♠ 수산물직거래

밴댕이회 대물황가오리애 단독가능 회 찜 신안 홍어회 민어회 병어회 새우젓 판매합니다

작성자미진수산 어업11|작성시간25.06.19|조회수5 목록 댓글 0

신안 미진수산입니다

오늘은 병어마리채 판매는 없고
병어회접시만 가능합니다

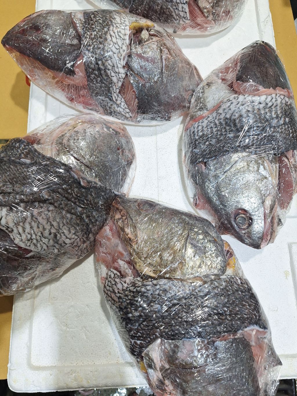
대물 황가오리라
크기가 커서 풍미도 좋고
식감도 아주 좋습니다

황가오리회 단체주문이 있어
황가오리애 2개로 단독구매가능하며
다른회와는 황가오리애 1개로 구매가능하오니 기회놓치지마세요~

별미 제철 밴댕이 판매합니다

참피디님 황가오리 병어회 밴댕이회 드신거
모두 저희꺼예요

잠깐 맛보실수있는 밴댕이 회 

살점이 부드럽고 고소한 맛이예요~ 

간단하게 초고추장에 
상추나 깻잎에 싸서 드시거나 

야채에 식초를 넣어
야채초무침해주시면 
맛난 반찬거리도 될수 있답니다 

🚫 밴댕이회 1접시 300그램 
↔️ 2만5천원 

구이로 드시거나 직접 손질해서
드실분들은 생물 밴댕이 원물로 선택해주세요
손질x 얼음가득 넣어 발송드릴께요
2키로이상 주문가능

🚫원물 밴댕이1키로 ↔️ 2만원

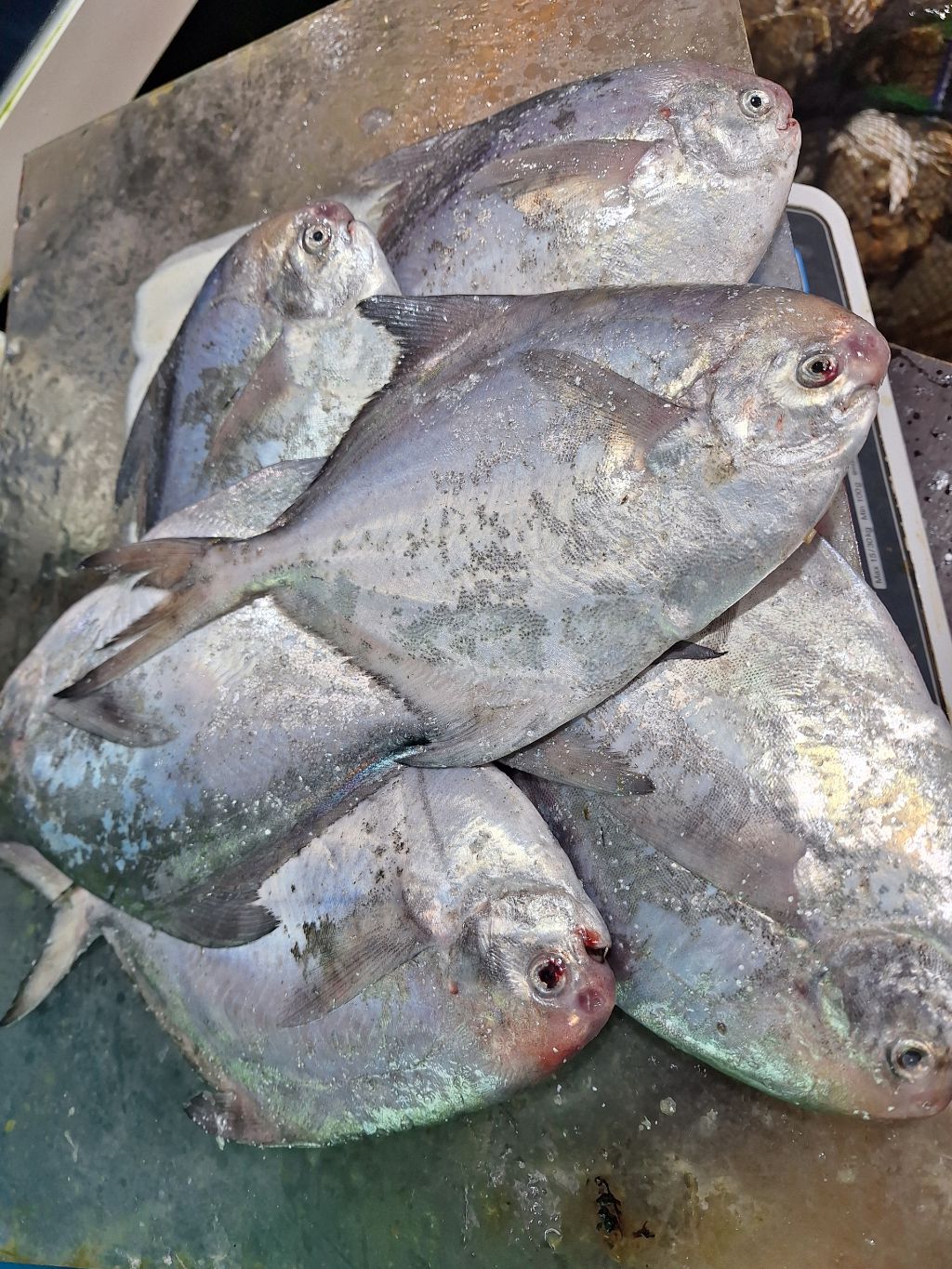
신안명품 병어
횟감 구이 조림 모두 가능
40미병어 한마리당 8천원

병어는 좀더 작은사이즈로 준비했어요

올해는 허챠밍님이 저희 황가오리 찾아주셨네요
감사합니다

황석어는 양을 작게 찾는 분들을 위해
키로당 2천원 다운해서
키로당 6천원
12키로 구매시 5천원 입니다

드디어 40미 신안명품병어 판매 합니다

병어하면 신안
귀한 은빛 찬란한 자태
담백한 맛이 끝내줍니다

마리당 8천원
3마리이상  주문가능

한마리당 240~260그램
집에서 드시기 적당한 크기네요~

횟감 조림 모두 가능합니다

당일경매로 싱싱 합니다
손질 노노×  
원물 그대로 얼음넣어 발송드려요

🚫병어 3마리 ↔️ 2만4천원

택배비별도

신안병어가 나오기 시작해서
회접시로 판매 시작합니다

병어계의 명품 참피디님이 선택한
은빛 찬란한 신안 병어로
당일 나오는 사이즈에 따라 2~3마리로
회 썰어서 보내드려요
드시기전 살짝 얼려서
마늘과 양파 깻잎에 쌈 싸먹으면 꿀맛

🚫신안병어회 300그램 ↔️ 2만7천원

참피디님이 인정해주신
육사시미 맛과 쫄깃한 맛이 일품
막바지라 들어가기전에 맛보세요

참피디님이 저희꺼 찾아주신 덕분에
유튜브에 나와서 핫했죠~

흑백리뷰님 잡솨님 대평이님이 찾아주셨어요

가오리 크기가 크니 맛도 좋고 더 쫄깃하오니
회도 많이 찾아주세요

쫄깃한 식감으로 간단하게
초고추장에 한점 드셔보셔도 좋구요

야채무침이나 찜으로 맛있게 드셔보세요

황가오리 애 색깔은 다양해요
꼭 노란색아니랍니다
색깔이 어두워도 선도에 이상없는것이니
회로 드셔도 됩니다

애는 회같이 구입가능합니다

🚫 황가오리회 250~300그램 ↔️ 2만원

🚫 황가오리애 130~160그램 ↔️ 만원

🚫 급냉 황가오리찜1키로 ↔️ 2만원

자연산 민어
부위별로 맛이 달라
골라 먹는 재미가 있지요 

식감은 부드러워요
쫀득하지않습니다~ 

🚫 자연산 민어회 1접시 300그램
↔️ 3만5천원

민어서더리라고 하면 
회 뜨고 남은 몸통뼈 머리 라는거 아시죠?

5~6키로 뜬 자연산민어라
보양식으로 좋습니다

기력약하신 어르신들에게 영양 만점
보양식 지리탕으로 최고죠~

급냉했습니다

🚫급냉 민어 서더리 1.6~1.8키로내외 한벌 ↔️ 2만원

홍어 특가

신안 홍어회 가격 한접시당 4천원다운
2만원

신안 홍어

암치 신안홍어가
가격이 더 비싸고 맛이 더 좋아요~

저희꺼 암치 홍어입니다

한접시당 4천원씩 할인판매합니다

맛있는 삼합이나
홍어무침으로 맛있게 드셔보셔요~

숙성정도는 개인차이가 커서요
한점 드셔보시고 숙성약하시면
2~3일정도 더 숙성해서 드셔요~

선물로 보내시기 원하시는분들도 계셔서
800그램 한박스로 만들었구요
선물용으로는 한박스로 추천드려요

🚫 중간숙성 홍어회380~ 420그램 
2만4천원 ↔️ 할인가 2만원

🚫 중간숙성홍어회 780~820그램 
한박스
4만8천원 ↔️ 할인가 4만원

찬바람이 불어 해풍에 말린
반건조민어 3마리 2만원짜리 돌아왔습니다

🚫 반건조민어 31~33센티 3마리
↔️ 2만원

🚫 제수용 민어 31~33센티 3마리
 ↔️ 2만원

🚫 반건조민어 36~39센티 3마리
↔️ 3만원

🚫 제수용 민어 36~39센티 3마리
 ↔️ 3만원

🚫반건조 박대 30~32센티 3마리 ↔️ 2만원

반건조 참돔 감성돔 장대 있으니 문의주세요

저희 자부심 새우젓

적당히 숙성되어 추젓 판매 시작합니다

경매가 계속 오르고 있어서 더 오를수도 있어요

크기도 작지않아요~
품질과 가격면에서 최고

1키로당 1만2천원이지만
3.5키로 짜리만
키로당 만원으로 당분간만 할인행사 진행하오니
많이 찾아주세요~

저희 단골분들이 재구매주시고
댓글로 남겨주셨으니 참고부탁드려요

믹스 오젓은
오젓과 육젓 붉새우젓이 조금씩 섞여있어
기존 오젓보다 크기가 더 커요~
가성비가 좋습니다

저희 자부심 신안 새우젓

새우젓 가격 너무 좋아요~

오직 신안천일염으로만 간해서
저희는 맛있지않구요
짜지만 깔끔하고 개운한맛
익으면 감칠맛 팍팍나게 해주는
건강에 좋은맛입니다

조미료나 물 섞지않고
건더기 위주로 가득가득채워
흔들어보세요~

햇 육젓 한드럼 행사가 정말 착한 가격에 준비했어요
1키로당 3만원

2키로 3.5키로짜리로 구매시 한통이오니
소분원하시는분들은 1키로 짜리로  구매부탁드립니다

재작년 사이즈랑 비슷한 가성비 좋은 육젓입니다~

🚫 특가 육젓
1킬로 ↔️ 3만원
2킬로 ↔️ 6만원
3.5킬로 ↔️  9만원

🚫 오젓2킬로 ↔️ 특가 4만원
🚫오젓 3.5킬로 ↔️ 특가 6만원
택배비 별도

추젓은 붉새우젓 조금 섞여있습니다
사진 참고 부탁드려요

매번 드럼통이 바뀌면
새우젓크기는 달라지고
붉새우젓도 섞여있을수 있습니다

특추젓은 추젓보다 크기가 크구요
약간의 붉새우젓이 섞여있어요~

사진상 새우젓 크기는 커보일수 있는거 
아시죠?

받아보실땐 사진보다 훨씬 작을수 있으니
왜 작냐고 물으신다면 곤란하옵니다~

사진무게는 참고용입니다

항상 정량보다 가득채워 발송드립니다

추젓은 다용도로 쓸수있고 그냥 넣으시면 됩니다

김장하시면 다 맛있는 새우젓이지만
가격대가 차이가 있으니 
선호하는 취향에 따라 선택해주시면 
됩니다

택배사에서 새우젓이나 젓갈은 
변하지않아서 물량이 많을땐
배송이 늦어지면 
이틀걸리시니 여유있게 주문부탁드려요

붉새우젓은 윗쪽에 국물이 있어야 
변색 마름 상하지않아서요

사진보다 국물이 더 많을수있으나
건더기 위주로 담구요
정량보다 초과해서 담아드리니
참고하시고 주문주셔요

10만원 이상 무료배송
택배비 4천원별도

최대 18킬로까지 합배송
2개 발송되면 추가택배비 있어요
로젠택배로 발송드려요

🚫 추젓 
2킬로 정상가 2만6천원 ↔️  할인가2만4천원
3.5킬로 4만6천원↔️ 특별할인가 3만5천원

🚫 특추젓
2킬로 ↔️  3만원
3.5킬로↔️  4만5천원


🚫믹스 오젓2키로 ↔️ 4만원

🚫믹스 오젓3.5키로
↔️ 할인가 6만원

🚫 오젓
2킬로 ↔️ 4만원 
3.5키로↔️ 6만원

🚫 육젓
1킬로 ↔️ 3만원
2킬로 ↔️ 6만원 
3.5키로↔️ 9만원

🚫붉새우젓 ↔️ 김장만 가능
3.5kg ↔️ 3만원 
5kg ↔️  5만원

🚫 갈치창젓 2키로 ↔️ 2만원

김장할때나 양념하셔서 드시면 됩니다

🚫 일반젓갈류

젓갈 무쳐드실 경우는 짠기 생수나 쌀뜨물로 20분정도 짠기 빼시고 무치셔야 맛있습니다.
그냥 무치시면 짜요~

취향껏 선택해주셔요~

갈치젓 잡젓
3.5kg↔️ 2만원
5kg ↔️ 3만원


황석어젓 멸치젓
3.5kg↔️ 2만3천원
5kg ↔️ 3만3천원


🚫추자도멸치액젓 서해안 까나리액젓

요 녀석들은 다른 액젓들보다 비싸게 느껴지실수있으시지만 맛보시면 가게에서 100프로 요것만 사가요 
후회 안하시니 한번 드셔보세요~

주문 편하시게 5킬로 10킬로 기재하였구요
실중량은 괄호안에 표기하였습니다

5kg (실중량 4.8킬로)↔️ 2만원
10kg (실중량 9.6킬로)↔️ 4만원

🚫 서해안 갈치액젓4.3킬로 ↔️ 3만원

🚫 반건조생선 민어 장대 박대 참돔 감성돔
가격은 문의주세요

도서섬지역 택배비 만원

☞10만원 이상 무료배송 
☞로젠택배 4시 30분 택배마감
☞택비 4000원 별도발생
도서섬지역 추가부담 
☞ 입금확인 확인후 발송드려요

☞ 주문은 댓글이나 010 2471 4543
카페이름 품목명 주소 성함 연락처 문자로 
남겨주세요


30미 병어

만원병어

8천원 병어

다음검색
현재 게시글 추가 기능 열기

댓글

댓글 리스트
맨위로

카페 검색

카페 검색어 입력폼