21일웨이브호도다리 잡고.먹고.즐기자 포항선상낚시

작성자웨 이 브 호|작성시간18.04.21|조회수102 목록 댓글 0



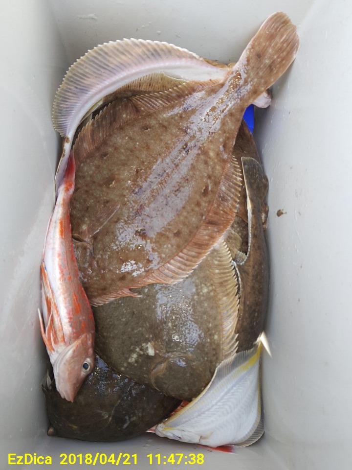
이제는 봄을알리는 도다리낚시시즌에 돌입하였네요 살도포동포동오르고

봄을알리는 봄도다리잡으로오세요

내일도모레도쭉~ 봄도다리잡으로갑니다

오늘도 해피데이 입니다~^^ 포항선상낚시 포항배낚시 초보체험낚시 선상낚시

잡고^^ 먹고^^ 즐기자^^

조사님들께 최고의 선상체험을안겨줄껍니다

뉴웨이브호 포항선상낚시를 하다~ ^^

3월달부터왕도다리출조시작합니다

항상그렇듯 배타고나갈때 생각이랑 낚시도중 생각이랑 차이가~

아무튼 바다가 내어준 만큼만잡고 맛나게 드시고 좋은기운만 담고가시길^^

●다음출조일은

4월22일 일요일오전완료 오후모집중

4월23일기상불량

4월24일기상불량

4월25일날씨지켜봄

4월26일오전오후모집중

4월27일오전오후모집중

4월28일토요일오전 여유자리 오후모집중

4월29일일요일오전여유자리 오후모집중

4월30일오전오후모집중

5월1일근로자의날 오전여유자리 오후모집중

쭉~~~~모집중


※출항지: 구룡포항 맨밑 네비주소참고

신분증 지참하세요


1. 도다리체험낚시 초보낚시 체험낚시 생활낚시★(승선정원22명)


●오전7시출발(6시30분도착)11시30분까지


●오후13시출발(12시30도착)5시30분까지

●야체 초고추장 젖가락 종이컵 배에있습니다

●낚시대.체비.미끼무료지급​ 컵라면 커피제공

●조사님준비물(목장갑.고기담을통.개인간식 ㅎ)

●낚시에필요한건몸만오시면되구요

●(도다리리낚시) 인당5만원(몸만오세요)

●협력선단 60명 단체도가능하니 전화주세요^^

●예약상황에따라 종일낚시도가능합니다《전화주세요》

●전화주세요~ 010 -2824 -3904

●선상예약계좌 농협 717010-56-026111 김용규

예약완료시 타선박으로 연결시켜 드립니다 (한분의손님도소중히하겠읍니다)

낚시와 자연을 함께 즐기는 곳

안녕하세요^^도다리.삼치.방어.볼락외줄전문포항선상낚시웨이브호입니다.^^ .

~개인출조전문.친목회.야유회.단체환영~

~소중한 시간 아름다운 추억 웨이브호와 함께 하는동해바다선상낚시~

동해바다에서 즐거운낚시~ 단체야유회 가족선상체험 가족모임 회사단체선상체험줄줄이~

초보조사님들 도다리 입맛에 함 놀라는 바다에서의 힐링을 만끽하고 가셨네요

먼길 안전운전하시고 항상행복이가득하길~ 웨이브호선장올림


예약현황참조하세요

http://cafe.daum.net/dnpdlqm1234

웨이브호밴드초대

http://band.us/@waveho

[BAND] 포항선상낚시 웨이브호

포항선상낚시 포항바다체험 도다리 삼치 방어 볼락낚시 즐낚 인낚 합시다요

band.us


♡네비 주소 포항시남구구룡포병포길75번길20


남양수산(옆)운동장같은 넓은주차장


구룡포는 왕볼락.삼치.방어.삼정.석병.강사.대보권포인트최단거리

#구룡포항 #포항선상낚시#포항배낚시#선상낚시체험#봄도다리#포항바다낚시
#포항바다낚시#대삼치#대방어#지깅#파핑#볼락외줄낚시#초보낚시#초보낚시
#도다리#포항도다리낚시#루어낚시#생활낚시#웨이브호#단체낚시#야유회
#바다루어낚시#체험낚시#도다리선상낚시#바다낚시여행#동해안선상낚시

다음검색
현재 게시글 추가 기능 열기

댓글

댓글 리스트
맨위로

카페 검색

카페 검색어 입력폼