CAFE

┗━ 조황정보

조사님이 있건 없건....

작성자♥♥독사|작성시간25.11.21|조회수186 목록 댓글 0

조사님은 없지만 방류는 꾸준합니다

조사님도 없는데 뭐하러 하냐는 물음을 들을 때가 있는데

뭐~~ 미래를 위한 투자??

정도로 이해해주시고요~~

 

얼음 얼기 전까지는 계속해서 방류된다는 점

인지해주십시요~~

이 차와......

이 차는 다른 차입니다

위의 차는 지난주의 붕어위주의 방류고요~~

밑의 차는 붕어와 잉어를 방류한 차입니다....

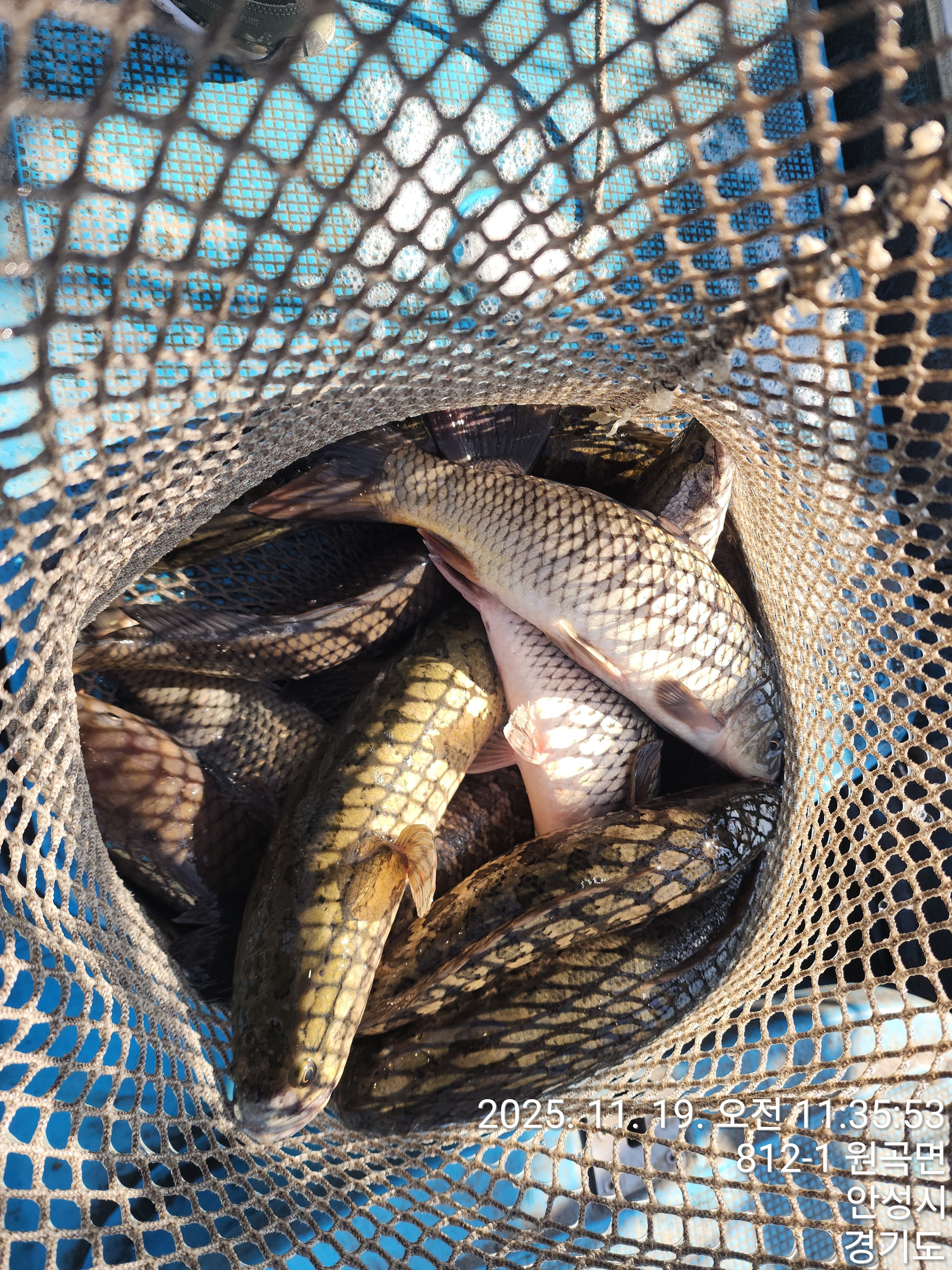
얹그제 들어간 잉어와 가물치.....

그리고 붕어....

 

\

이번주  처음이자 마지막사진...ㅋㅋ

제가 좌대 공사로 조금 바쁜 나날을 보내고 있어요~~~

남달리 따스함을 자랑하는 커플좌대의 모습이구요~

날씨에 따라 조황차이가 있긴 하지만 꾸준하게 방류된 덕에

저수지 안에는 

많은 생명체가 살고 있다 자부합니다

그럼 ,,,

짧은 조황정보 마칩니다.....

 

다음검색
현재 게시글 추가 기능 열기

댓글

댓글 리스트
맨위로

카페 검색

카페 검색어 입력폼