CAFE

◈ 농산물장터

[판매종료]숭어만큼 저렴하네요!!자연산 활 감성돔/활 참소라/신안 홍어/두절 파조기/파굴비

작성자청년수산|작성시간26.03.30|조회수179 목록 댓글 5

판매기간 : 당일부터 소진시까지

채 취 일 : 26년 03월 30일

용량표시 : 하단 참조

판매할총량 : Kg

재배여부 : 재배() 자연산(v) 수입산은 판매 할 수 없음

판매자실명 : 김아름

판매지역 : 전남 목포시

판매자전화 : 010.8801.8511

계좌번호(예금주) : 농협 351 1098 4321 63(김아름:목포청년수산)

택 배 비 : 착불() 선불(v)

기타사항

 

사업자 등록번호 : 130-94-19871

통신판매 등록번호 : 제 2019-전남목포-0347호

 

계좌번호 : 농협 351 1098 4321 63 (김아름:목포청년수산)

 

문의사항은 010-8801-8511로 전화주세요

 

안녕하세요

목포청년수산입니다

휴일을 제외한 매일 목포선어위판장, 목포활어판장

타 지역 어판장에서 당일 위판받은 싱싱한 제철 수산물을 판매합니다

 

저희 청년수산은 100% 국내산, 자연산만 취급합니다

더불어 당일 경매를 받아 당일 발송 원칙으로 운영합니다

 

 

※ 로젠택배로 발송됩니다 ※

(CJ택배도 가능합니다 말씀없으시면 로젠 택배로 발송드립니다)

(도서 산간이나, 우체국 택배 발송을 원하시면 추가요금 3,000원 발생되오니 참고바랍니다)

 

 

 

 

 

▣ 오늘 판매 상품 ▣

활 참소라/ 활 감성돔

신안 홍어(암치)/ 파 참굴비/ 두절 파조기

준비했습니다

꼼꼼히 살펴 보시고 구매하시길 바랍니다

◆ 합배송시 택배비는 한번만 부담되세요 ◆

 

 

 

 

 

첫번째 판매상품

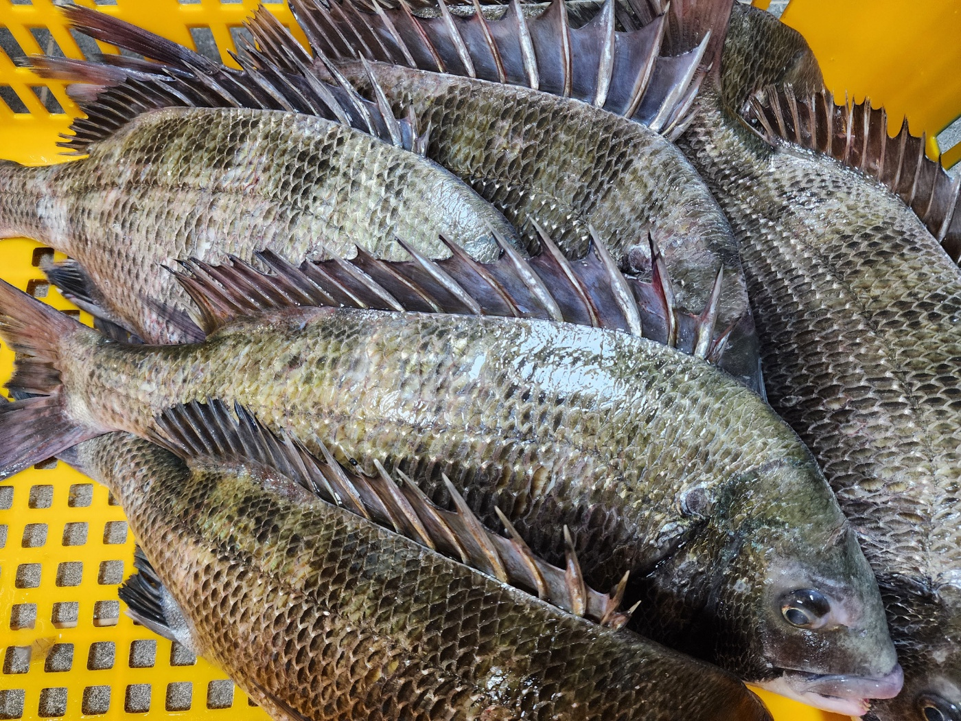
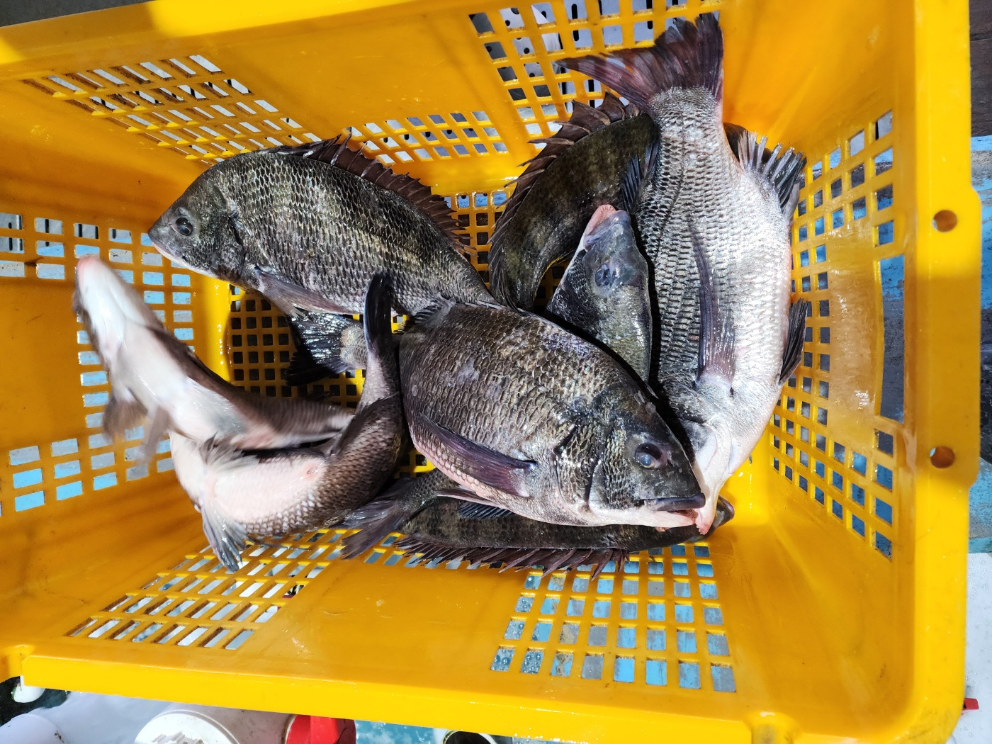
★ 자연산 활 감성돔 ★

한마리 3.2kg : 61,000원

한마리 2.9kg : 55,000원

한마리 2.4kg : 46,000원

한마리 2.0kg : 38,000원

-----------------------------------------------

한마리 1.9kg : 27,000원

한마리 1.8kg : 25,000원

한마리 1.5kg : 21,000원

한마리 1.2kg : 17,000원

한마리 1.1kg : 15,000원

(택배비 4,000원 별도)

고급횟감인 자연산 활 감성돔입니다

오늘 위판 가격 폭락했네요

숭어만큼 저렴한거 같네요

아직 산란철이 되려면 멀었는데도

이렇게 가격이 떨어진것은 처음인듯 싶네요

그만큼 위판량이 어마어마 많이 나왔네요

요맘때 감성돔은 기름지고 맛이 일품입니다

大사이즈는 키로당 19,000원

中사이즈는 키로당 14,000원 입니다

키로당 2인분 정도 됩니다

수령 후 하루 이틀 뒤에 드셔도 좋습니다

바로 썰어만 드실 수 있게 석장뜨기해서

서더리뼈와 같이 발송드립니다

두번째 판매상품

★ 신안 생물 홍어(암치) ★

한마리 (6kg 이상) : 90,000원

(택배비 4,000원별도)

사이즈 좋고 싱싱한 大사이즈

신안 생물 암치 홍어입니다

오늘은 주낚으로 잡은 최상품 신안 홍어입니다

홍어전문집에서 말하길 홍어는 6,7,8키로대가

가장 부드럽고 맛있는 사이즈라 합니다

지금 시기엔 9~10키로 이상대는 뼈가 조금 억셉니다

물론 9~10키로대도 부드러운 시기가 있습니다

지금 시기엔 6,7,8키로대 드시는게 좋습니다

신안 인근 만재도 흑산 해역에서 어획된

홍어입니다, 바코드만 없는 신안 홍어입니다

물만 잘 빼서 드시면 흑산홍어만큼

찰지고 맛이 일품입니다

손질 후 껍질 제거해서 발송됩니다

혹시 껍질 붙힌걸 원하시면 따로 말씀주세요

※ 숙성방법 

손질된 홍어살을 빼서 키친타올이나

두꺼운 행주타올로 감싸서 락앤락 통안에 담아서

김냉에 보관하시면서 드시면 됩니다

이틀에 한번씩 타올을 교체해 주면서

드시면 더욱 찰진맛이 좋아집니다

아래 사진처럼 각 손질해서 해동지에 감싸서

발송드리고 홍어애와 탕거리도 같이 발송드립니다

 

세번째 판매상품

★ 신안 활 참소라 ★

2kg(10~12미 내외) : 33,000원

(택배비 4,000원 별도)

당일 채취해서 싱싱한

신안 앞바다 참소라입니다

지금부터 참소라가 아주 맛있는

제철입니다 바지락을 먹고 자라서

단맛이 일품입니다

지금 이시기에 참소라는 전복보다도

맛이 좋습니다

숙회, 무침등등 요리로 드세요

대사이즈와 중사이즈 섞였다고 보시면 되세요

크기 차이 약간 있습니다 사진 참고하세요

 

네번째 판매상품

★ 1+1 이벤트 ★

※ 파 참굴비 ※

2두릅(40마리)

판매가 : 32,000원

(택배비 4,000원 별도)

마리당 65~70g/ 17~18cm 내외입니다

한두릅(20마리) 기준 1.3kg 내외입니다

지난 몇 년간 참조기가 참 귀합니다

참조기 가격이 떨어지지 않네요

그래서 오늘 준비한 파 굴비는 정품작업중에

배가 터지거나 상처가 있는 조기만

따로 엮어서 만든 상품입니다

목포 참조기를 영광에서 섶간해서 건조시킨

파 굴비입니다, 가격 저렴하고 맛도 좋습니다

가정에서 반찬으로 드시기 아주 좋을듯 싶네요

 

 

다섯번째 판매상품

★ 반건조 두절 파조기 ★

1kg(1팩) : 28,000원

2kg(2팩) : 56,000원

(택배비 4,000원 별도)

올해 위판된 햇 참조기로

작업한 반건조 두절 참조기입니다

일괄 손질 후 냉풍건조기로

작업해서 깨끗합니다

살이 단단하고 맛이 좋아요

반찬용으로 드시기 딱 좋은 사이즈입니다

받으시면 바로 구워드셔도 됩니다

건조 후 1kg 21~22미 내외입니다

반건조 두절참조기 중에는 가장 큰 사이즈입니다

2년이상 간수 빠진 신안 천일염으로

삼삼하게 소금간 하였습니다

 

농협 351 1098 4321 63

(김아름:목포청년수산)

 

 

*궁금하신 사항은 010. 8801. 8511 전화 or 문자 주시면 감사하겠습니다

 

 

주문양식 - 비밀댓글로 문의 부탁드립니다

 

주문자 : (이름 전화번호) :

받는사람 : (이름 전화번호) :

주소 :

상품명 수량 :

입금자명 :

추가말씀 :

다음검색
현재 게시글 추가 기능 열기

댓글

댓글 리스트
  • 작성자삼선재 | 작성시간 26.03.30 활감성돔1.5키로주문합니다
  • 해당 댓글은 작성자와 운영진만 볼 수 있습니다.
  • 해당 댓글은 작성자와 운영진만 볼 수 있습니다.
  • 해당 댓글은 작성자와 운영진만 볼 수 있습니다.
  • 해당 댓글은 작성자와 운영진만 볼 수 있습니다.
댓글 전체보기
맨위로

카페 검색

카페 검색어 입력폼