CAFE

가격 좋습니다!!특大먹갈치/신안 홍어/가자미/특大병어/반건조 생선

작성자청년수산|작성시간25.03.03|조회수244 목록 댓글 16

사업자 등록번호 : 130-94-19871

통신판매 등록번호 : 제 2019-전남목포-0347호

 

계좌번호 : 농협 351 1098 4321 63 (김아름:목포청년수산)

 

문의사항은 010-8801-8511로 전화주세요

 

안녕하세요

목포청년수산입니다

매일매일 목포선어위판장, 목포활어판장

타 지역 어판장까지 당일 위판받은

싱싱한 제철 수산물을 판매합니다

 

100% 국내산, 자연산, 당일경매, 당일발송으로

휴일을 제외한 매일 새벽5시부터 경매 입찰하여

중간 마진 없이 저렴하게 회원님들에게

배송될수 있도록 열심히 달려볼게요!!

 

 

 

※ 로젠택배로 발송됩니다 ※

(CJ택배도 가능합니다 말씀없으시면 로젠 택배로 발송드립니다)

(도서 산간이나, 우체국 택배 발송을 원하시면 추가요금 3,000원 발생되오니 참고바랍니다)

 

 

 

 

 

▣ 오늘 판매 상품 ▣

생물 특大먹갈치/ 생물 특大병어

생물 신안 홍어/ 자연산 돌굴

반건조 大가자미/ 건조 민어

햇곱창김/ 반건조 두절 파조기

준비했습니다

꼼꼼히 살펴 보시고 구매하시길 바랍니다

◆ 합배송시 택배비는 한번만 부담되세요 ◆

 

 

 

 

첫번째 판매상품

★ 생물 특大먹갈치 ★

3미(2.9kg내외) : 98,000원

(택배비 4,000원 별도)

사이즈 좋고 신선도 아주 좋은

특大사이즈의 먹갈치 준비했습니다

한동안 나오질 않다가 오늘 특大먹갈치가

제법 많이 나왔습니다

마리당 900g 내외로 좋습니다

안강망 어선의 먹갈치라서 사이즈도 좋고

신선도가 빳빳하니 아주 싱싱합니다

특大 사이즈 기다리신분들은 요거 하시면

만족하실듯 합니다

구이용이나 선물용으로 좋습니다

두께,선도 모두 훌륭합니다!!

손가락 4지급으로 사이즈 좋습니다

생물이기에 사이즈 차이가 있습니다

한마리가 크면 나머지 한마리는

더 작을 수 있습니다 양해부탁드립니다

먹갈치는 그물로 조업되기에 비늘이 벗겨지거나

약간의 상처가 있을 수 있습니다 참고바랍니다

기본 손질[머리/꼬리/내장제거] 해서 발송됩니다

토막손질 필요시 따로 말씀해주세요

 

 

두번째 판매상품

★ 신안 생물 홍어(암치) ★

한마리(8kg내외) : 92,000원

-------------------------------------------------------

한마리(7kg내외) : 81,000원

(택배비 4,000원별도)

사이즈 좋고 싱싱한 大사이즈

신안 생물 암치 홍어입니다

홍어철이 끝나가는 모양이네요

가격이 계속 오르네요

키로단가 11,000원이 조금 넘는 가격이네요

신안 인근 만재도 흑산 해역에서 어획된

홍어입니다, 바코드만 없는 신안 홍어입니다

물만 잘 빼서 드시면 흑산홍어만큼

찰지고 맛이 일품입니다

4등분으로 손질 후 껍질 제거해서 발송됩니다

※ 숙성방법 

진공포장된 홍어살을 빼서 키친타올이나

두꺼운 행주타올로 감싸서 락앤락 통안에 담아서

김냉에 보관하시면서 드시면 됩니다

이틀에 한번씩 타올을 교체해 주면서

드시면 더욱 찰진맛이 좋아집니다

홍어애와 탕거리까지 모두 발송됩니다

홍어 살은 진공포장 약하게 해서 발송드립니다

 

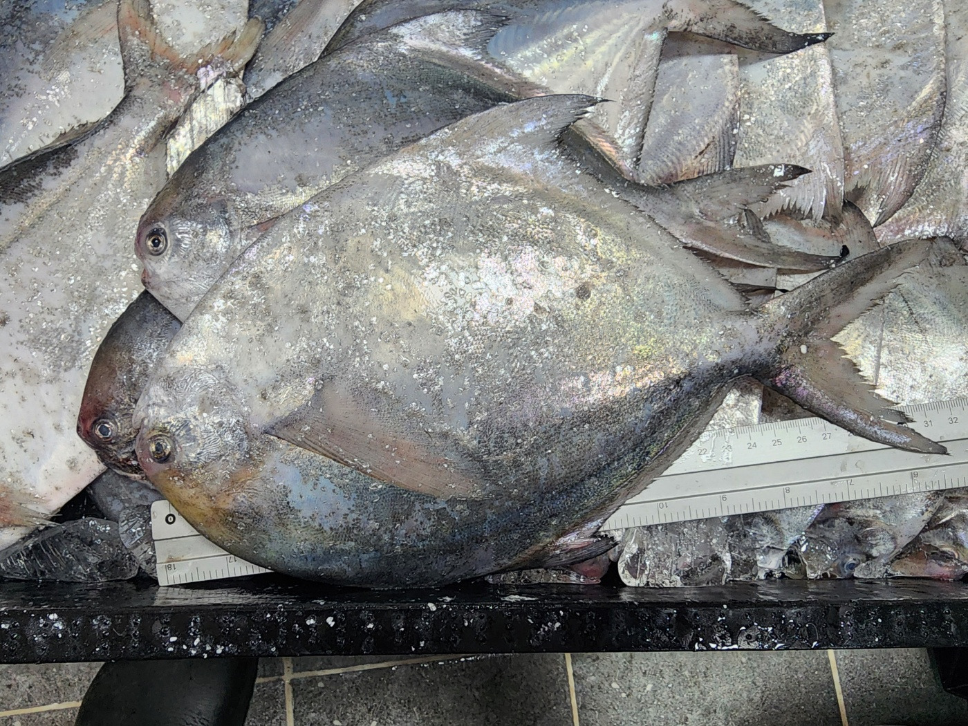
세번째 판매상품

★ 생물 20미 특大병어 ★

5미(1.9kg내외) : 93,000원

(택배비 4,000원 별도)

목포 어판장에서 첫번째로 큰씨알

한상자 20미 담아지는 특大병어입니다

며칠 조업하지 않아서 신선도가

아주 좋네요 빳빳하고 단단합니다

살집도 아주 좋습니다

제찬용으로 사용하셔도 좋고

선물용으로도 좋습니다

마리당 평균 380g내외입니다

생물이기에 크기 차이 있습니다

중량 맞춰서 발송드릴게요

사진 보시면 은빛 비늘이 많이 붙어

아주 싱싱하고 좋습니다

 

 

네번째 판매상품

★ 생물 특大가자미 ★

3미(3kg이상) : 34,000원

(택배비 4,000원 별도)

신선도 좋은 생물 가자미 입니다

목포쪽에선 이 가자미를 참가자미라

부르기도 합니다, 원래 이름은 물가자미입니다

특大사이즈와 大사이즈가 약간 섞였습니다

알이 거즘 가득 차 있네요

알배기 가자미라 살이 아주 통통합니다

제철이므로 맛이 고소하니 맛있고

비릿내 전혀 없습니다

매운탕이나 구이로 드시면 맛있어요

기본손질 해서 발송드립니다

 

 

다섯번째 판매상품

★ 자연산 돌굴 ★

2봉지(850g내외) : 25,000원

(택배비 4,000원 별도)

자연산 돌굴입니다

어머님들이 직접 돌에 붙어 있는

굴을 채취한것이라

양식굴에 비해 알이 작고 향이 좋습니다

깨끗히 작업을 해도 쩍이 있을 수 있으니

채반에 한번 걸러서 드세요

 

 

여섯번째 판매상품

★ 생물 왕 특大 파 먹갈치 ★

한상자 (4미 4.9kg내외) : 137,000원

------------------------------------------------------------------

한상자 (3미 4.9kg내외) : 139,000원

(택배비 4,000원 별도)

사이즈 좋고 배터짐 없는

A급 파 먹갈치 준비했습니다

꼬리가 살짝 짧거나 비늘이 좀 벗겨지고

살짝 상처 있는 파 먹갈치입니다

신선도가 빳빳하니 아주 싱싱합니다

먼저 보신분 임자입니다^^

손가락 5지급 이상으로 사이즈 좋습니다

생물이기에 사이즈 차이가 있습니다

기본 손질[머리/꼬리/내장제거] 해서 발송됩니다

토막손질 필요시 따로 말씀해주세요

 

 

일곱번째 판매상품

★ 반건조 大가자미 ★

2미 : 25,000원

4미 : 48,000원

(택배비 4,000원 별도)

싱싱한 반건조 大가자미입니다

매입 당일 반건조 하여

아주 깨끗하고 싱싱합니다

거기다 가격이 아주 저렴할때

매입해서 작업한것이라 받아보시면

가격대비 사이즈가 아주 좋을듯합니다

현재 알배기 철이라 살집이

통통하고 아주 좋습니다

마리당 평균 39~42cm 정도 됩니다

조림이나 찜으로 드시면 맛있습니다

구이로 드실땐 기름 두르고 튀기듯

구워드시는게 맛있습니다^^

한마리씩 진공포장해서 발송드립니다

약간 크기 차이 있으니 참고바랍니다

2년이상 간수 빠진 신안 철일염으로

삼삼하게 소금간 하였으니 바로 드셔도 됩니다

 

여덟번째 판매상품

★ 건조 민어 ★

한마리 : 27,000원

(택배비 4,000원 별도)

사이즈 좋은 자연산 민어입니다

생물일때 마리당 2.5~3키로 내외정도 되는

사이즈 좋은 민어를 건조 하였습니다

건조 과정이 조금 길어서 색은 이쁘지 않지만

맛은 기가막히게 쫀득하니 좋네요

찜이나 지리탕으로 드시면 됩니다

양념장 올려서 찜으로 드시면 맛있습니다

구이로 드실거면 쌀뜨물에 약 15분정도만

담궜다가 구이로 드시면 타지 않고 맛있습니다

수령하시면 냉동 보관하시면 됩니다

 

 

아홉번째 판매상품

★ 반건조 두절 파조기 ★

1kg(1팩) : 27,000원

2kg(2팩) : 52,000원

(택배비 4,000원 별도)

올해 위판된 햇 참조기로

작업한 반건조 두절 참조기입니다

일괄 손질 후 냉풍건조기로

작업해서 깨끗합니다

살이 단단하고 맛이 좋아요

반찬용으로 드시기 딱 좋은 사이즈입니다

받으시면 바로 구워드셔도 됩니다

건조 후 1kg 21~22미 내외입니다

반건조 두절참조기 중에는 가장 큰 사이즈입니다

2년이상 간수 빠진 신안 천일염으로

삼삼하게 소금간 하였습니다

 

 

열번째 판매상품

★ 지주식 햇 곱창김 ★

1톳 : 34,000원

2톳 : 66,000원

(택배비 4,000원 별도)

어렵게 구한 마지막 물량입니다!!

어렵게 구한 마지막 물량입니다!!

매년 많은 분들께서 찾아주신 햇 곱창김입니다

재구매율이 상당히 높았습니다

올해도 직접 산지로 찾아가서

직접 확인하고 맛도 보고 가져왔습니다

믿고 드셔도 좋습니다

올해는 수온이 높아서 물김 양이 부족하다 하네요

그래서 가격이 작년대비 조금 올랐습니다

무안군 도리포 앞바다에서 원초로 가공한

최상품 지주식 햇 곱창김입니다

청청 게르마늄 갯벌에서

좋은 햇살과 해풍을 맞고 자랐기에

곱창김의 향이 아주 좋고 맛도 아주 달아요

곱창김 즐겨 드시는분들은 드셔보시면 아실거에요

질이 떨어지는 곱창김인지 아닌지

그만큼 최상품입니다

곱창김은 생물과 합포장이 어렵습니다

양해부탁드립니다

한톳 평균 400그램 내외입니다

 

 

 

농협 351 1098 4321 63

(김아름:목포청년수산)

 

 

*궁금하신 사항은 010. 8801. 8511 전화 or 문자 주시면 감사하겠습니다

 

 

주문양식 - 비밀댓글로 문의 부탁드립니다

 

주문자 : (이름 전화번호) :

받는사람 : (이름 전화번호) :

주소 :

상품명 수량 :

입금자명 :

추가말씀 :

다음검색
현재 게시글 추가 기능 열기

댓글

댓글 리스트
  • 해당 댓글은 작성자와 운영진만 볼 수 있습니다.
  • 해당 댓글은 작성자와 운영진만 볼 수 있습니다.
  • 해당 댓글은 작성자와 운영진만 볼 수 있습니다.
  • 해당 댓글은 작성자와 운영진만 볼 수 있습니다.
  • 해당 댓글은 작성자와 운영진만 볼 수 있습니다.
댓글 전체보기
맨위로

카페 검색

카페 검색어 입력폼