백과사전 연관이미지
알기 쉬운 말벌 분류법
"쌍살벌편"
서론

월동준비중인 뱀허물 쌍살벌
말벌에 대한 사진 또는 글들이 인터넷상에 종종 올라오곤 합니다. 하지만 비공식명칭 사용, 다른종과 혼동, 분류방법의 미숙, 학명오류, 생태오류, 정보부족 등으로 말벌에 대해 제대로 알아보려고 하는 일반인들이나 학생들에게 잘못된 정보를 주입시키고 있습니다. 심지어는 신뢰받는 도감이나 온라인 백과사전에서 버젓히 오류섞인 정보가 포함되있는 경우도 있습니다.
게다가 도감에 항상 나열되는 말벌의 생김새 특징에 대한 정보는 일반인들이 이해하기엔 너무 테크니컬한 구석(몇명이나 되는 일반인들이 "머리방패"나 "가두리" 같은 용어를 이해하겠습니까)이 없지 않아 접근성이 매우 떨어집니다. 이에 벌에 관심이 있는 일반인들과 학생들이 보다 알기쉽게 말벌을 구분하는데 조금이라도 도움이 되게 하고자 이글을 씁니다. 본문은 上편격인 "쌍살벌편" 과 下편격인 "말벌편"으로 나누어 집니다 그리고 생태정보용으로 작성된것이 아니기 때문에 생태관련 정보는 최소화 하였습니다 이점 착오없으시기 바랍니다
기초지식: 말벌은 어디에 속하나?
벌목(하이메놉테라:Hymenoptera)은 크게 꿀을 모으는벌(Bee), 꿀을모으지 않는벌(Wasp), 그리고 개미(Ant) 이렇게 분류될수 있습니다.

벌목(Hymenoptera)
Bee(꿀벌)
꿀을 모으는벌은 영어로 비(Bee) 라고 합니다. Bee 종류에는 꿀벌, 호박벌, 가위벌, 떡벌등등 다양합니다. 이들의 공통된 특징을 요약하면
1. 꿀은 성충의 주식->채밀을 위해 대부분 긴 대롱같은 혀를 가지고 있음
2. 꽃가루는 애벌레의 영양공급원->꽃가루를 운반하도록 뒷다리에 꽃가루 받이 또는 하복부에 짙은털
3. 비교적 쌀쌀한 날씨에도 활동가능(특히 호박벌)->다른벌종류보다 털이 길거나 많음
4. 몇몇종은 배마디에서 밀랍생산가능->Apis 꿀벌 과 Bombus 호박벌
Wasp(말벌)
꿀을 모으지 않는벌은 영어로 워스프(Wasp) 라고 합니다. Wasp의 개념은 매우 넓어서 Bee를 제외한 모든 벌은 Wasp 라고 부릅니다. Wasp 종류에는 말벌, 쌍살벌, 사냥말벌(나나니벌, 대모벌), 기생말벌(맵시벌), 등등으로 정말 다양합니다. 워낙에 다양한 종류가 존재하다보니 말벌(Wasp) 관련 오역(잘못된 번역)이 제일 빈번합니다. 이들의 공통된 특징을 요약하면

1. 애벌레의 영양공급원은 다른곤충이나 애벌레->성충은 대개 전문 사냥꾼
2. 꿀을 전문적으로 모으지 않음-> Bee 와 같은 긴 대롱혀 대신 액체를 핧아먹는 짧은혀
3. 꽃가루를 모으지 않음->뒷다리에 꽃가루 받이 없음, Bee 보다 상대적으로 적은털
4. 몇몇종은 타액과 외부물질을 사용하여 둥지건설->Vespidae 말벌
Ant(개미)
개미는 벌목중에서 번식계급만이 날개가 있거나 대부분 침이 없는과로 영어로 앤트(Ant) 라고 합니다. 역시 매우 다양한 종류의 개미들이 지구상에 퍼져있습니다. 이들의 공통된 특징을 요약하면

1. 애벌레의 먹이는 종에 따라 곤충부터 씨앗, 곰팡이까지 다양(종에 따라 다양한 먹이)
2. 번식계급의 교미후 날개 거(날개의 일시적 사용)
3. 대부분의 개미종은 독침대신 개미산 사용
본문에서 다루려는 말벌은 우리나라에 서식하는 Wasp중에서 사회생활을 영위하는 종(말벌류:Vespinae , 쌍살벌류:Polistinae)만 다룰것입니다. 단독생활하는 말벌류는 본문에서 취급되지 않으니 착오없으시기 바랍니다.
기초지식: Vespidae 말벌
Wasp중 Vespidae 말벌은 말벌, 쌍살벌, 호리병벌류를 포함합니다. 이중 말벌류(Vespinae)와 쌍살벌류(Polistinae)는 사회성 말벌이며 나무펄프로 둥지를 만듭니다. 이들은 단독생활 말벌류와는 달리 어미벌이 불임성 딸들과 같이 한둥지에서 생활을 영위하는 특징이 있습니다. 봄철에 겨울잠에서 깨어난 사회성 Vespidae 말벌 여왕벌들은 전부 혼자서 둥지를 시작해서 나중에 일벌들과 함께 번성해 나갑니다.

산란중인 말벌(Vespa crabro)여왕벌
Vespidae 말벌의 공통적 특징: (타액+ 외부물질) 사용하여 둥지 건설한다는 점입니다. 이는 나나니벌이나 대모벌처럼 땅을파는 사냥말벌류나 맵시벌처럼 집이 없는 기생말벌류와 구별이 되는 매우 중요한 특징입니다. 아래는 그들의 특징이 나열되어 있는데 대부분 공통적으로 나타나는 특징들이지만 예외도 존재하오니 착오없으시기 바랍니다.
말벌류(Vespinae):
무른 썩은목재(rotten wood) + 타액을 사용해서 둥지건설, 다층둥지, 외벽건설, 사회성

쌍살벌류(Polistinae):
단단한 나무껍질(bark) + 타액을 사용해서 둥지건설, 단층둥지, 외벽없음, 사회성

호리병별류(Eumeninae) :
진흙(clay) + 타액 사용해서 둥지건설, 단독생활

우리가 흔히 말벌이라 부르면 광의적으론 앞서 설명드린 Wasp 전체를 뜻하지만 협의적인 의미론 학명이 Vespa로 시작하는 사회성 말벌들(Vespinae 말벌류) 만 뜻합니다.
쌍살벌류(Polistinae)

쌍살벌은 주로 인가근처에 집을 짓는 경우가 많아서 우리주변에서 가장 흔하게 발견되는 말벌의 일종입니다. 쌍살벌은 비행중 맨 뒷다리를 축 늘어뜨리고 비행합니다. 이를 보면 마치 살(대나무살/창살의 살)을 쌍으로 들고 다니것처럼 보여 쌍살벌이라 칭합니다.

뱀허물 쌍살벌의 비행모습(늘어진 뒷다리 주목)
쌍살벌은 가까운 친척인 말벌들에 비해 둥지에 개체수도 적고 덜 공격적입니다. 말벌들은 둥지근방에 접근한 사람도 공격하지만 쌍살벌은 둥지에 아주 가까이 접근하거나 둥지를 직접 해하지 않는한 절대로 사람을 공격하지 않습니다. 거의 모든 곤충들을 닥치는대로 사냥하는 말벌들과는 달리 쌍살벌들은 주로 나방이나 나비의 애벌레같은 말랑말랑한 곤충을 자신들 애벌레의 주식으로 삼습니다.

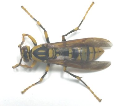
쌍살벌(좌측)과 말벌(우측)의 형태차이
쌍살벌의 머리는 몸에 비해 작아서 전체적으로 길쭉한 느낌이 듭니다만 말벌은 쌍살벌에 비해 얼굴이 비율적으로 커서 약간 짧아 보이는 몸매를 가지고 있습니다. 또한 쌍살벌의 가슴은 뒤로 갈수록 패이고 배의 가슴과 연결되는 부분은 잘록하다가 점차 두꺼워지기 때문에 허리가 많이 잘록해 보입니다. 말벌의 가슴은 거의 정육면체에 가깝고 배가 가슴에 바짝 달라붙어있는 형태라 얼핏 허리가 두꺼워 보입니다만 쌍살벌이나 말벌이나 실제로 연결되는 허리는 둘다 매우 잘록합니다.
아래는 우리나라에서 발견되는 7종의 쌍살벌입니다. 이중 우리 주위에 흔히 발견되는 종으로는 별쌍살벌, 두눈박이 쌍살벌, 등검정쌍살벌, 뱀허물쌍살벌4종이 있습니다. 나머지종들도 지역에 따라 흔한경우도 있고 드문경우도 있지만 위의 4종은 정말 우리들이 가장 흔하게 만나는 쌍살벌들입니다. 이중 가장 구분하기 쉬운것이 두눈박이와 뱀허물 입니다. 본문에서는 편의상 뱀허물과 왕바다리 2종의 아종인 큰뱀허물쌍살벌과 제주왕바다리는 취급하지 않았습니다.
중형 Polistes 쌍살벌 4종
두눈박이 쌍살벌 Polistes chinensis antennalis



두눈박이 쌍살벌 둥지
14~18mm의 중형 쌍살벌로 두눈박이라는 말그대로 배위에 마치 눈처럼 노란점이 2개 선명하게 찍혀있어 두눈박이 쌍살벌이라고 부릅니다. 주로 낮은 풀숲이나 나뭇가지에 둥지를 만들지만 인가근처에도 자주 둥지를 틉니다. 둥지는 주로 둥근 원형으로 균일하게 사방으로 확장을 하는 습성이 있습니다. 둥지색상은 옅은 회색에 가깝고 주기둥과 지붕에 타액을 많이 덧발라 둥지를 튼튼하게 합니다. 가을의 개체수는 60~90마리 정도입니다.
별쌍살벌 Polistes snelleni

별쌍살벌 둥지
12~19mm의 중형 쌍살벌로 짙은 고동색, 갈색, 노란색이 화려하게 색상이 잘 조합되어 있는 쌍살벌입니다. 주로 낮은 나무가지나 풀숲 또는 인가의 창가에도 둥지를 만듭니다. 도시화 하는 환경에 매우 잘적응하는 쌍살벌로 아파트 베란다 같은곳 둥지가 자주 발견되곤 합니다. 둥지 지붕과 주기둥에 타액을 아주 많이 발라 지붕이 구리빛으로 번질번질 할정도 입니다.
쌍살벌은 말벌과는 달리 이미 만들어진 둥지의 지붕이나 기둥에 타액을 덧발라서 둥지의 강도를 강화하는 습성이 있습니다. 그래서 그 가느다란 기둥 하나에 그 큰 둥지와 수많은 벌들이 달라붙어 있어도 떨어지지 않는것입니다. 또한 타액이 덧발라진 둥지부분은 우수한 방수효과를 지니므로 외벽을 따로 만들지 않는 쌍살벌들에겐 비바람이 들이닥칠땐 꼭 필요한 기능입니다. 말벌의 둥지 강화는 펄프자체를 더 추가해서 외벽을 더 만든다던가 기둥을 두껍게 하거나 기둥을 더 많이 만드는 방법을 사용합니다.

타액으로 기둥을 강화하는 왕바다리
별쌍살벌의 육아방 확장은 주로 한쪽으로 계속 치우쳐져서 확장되어 둥지가 오래되면 오래된 빈육아방이 애벌레로 가득찬 새육아방의 무게에 점점 눌려 찌그러지는 현상을 보입니다. 가을에 개체수는 40~80마리 정도입니다.
어리별쌍살벌 Polistes mandarinus


어리별쌍살벌 둥지
12~18mm의 중형 쌍살벌로 별쌍살벌과 매우 흡사한 형태와 색상을 가지고 있습니다만 별쌍살벌이 배주위에 노란색을 띄는데 반해 어리별쌍살벌의 배의 색상은 짙은 고동색과 갈색의 조합이라서 별쌍살벌보다 색상이 어둡고 수수합니다. 둥지는 별쌍살벌처럼 한쪽으로 극단적으로 확장하지 않고 보다 비교적 균일한 방향으로 둥지를 확장합니다. 고치의 색상이 흰색이 아닌 노란색을 띄는 특징이 있습니다. 가을에 개체수는 20~30마리정도입니다.
꼬마쌍살벌 Polistes japonicus

꼬마쌍살벌 둥지구조
12~22mm의 중형 쌍살벌로 별쌍살벌과 비슷한 형태와 색상을 가지고 있습니다만 별쌍살벌보단 배끝에 갈색빛이 적고 밝은 황갈색이 있고 어리별쌍살벌보단 전체적으로 밝은색상을 띄고 있습니다. 둥지는 크게 발전하는 경우가 드물고 확장성은 일정한 방향이 없이 균일하게 확장하는 습성이 있습니다. 주로 숲속에 집을 짓고 흔한종류가 아니어서 자주 발견되는 쌍살벌종은 아닙니다.. 가을에 개체수는 20~30마리정도 입니다.
중형 Polistes 쌍살벌 4종 비교

꼬마쌍살벌 어리별쌍살벌 별쌍살벌 두눈박이쌍살벌

쌍살벌 둥지의 다양한 형태
(1. 두눈박이쌍살벌 2. 등검정쌍살벌 3. 어리별쌍살벌 4. 별쌍살벌 5. 뱀허물쌍살벌)
대형 Polistes 쌍살벌 2종
등검정쌍살벌 Polistes jadwigae


등검정쌍살벌 둥지
20~26mm의 대형 쌍살벌로 주택가에서 흔하게 발견되는 쌍살벌종입니다. 크기와 형태가 비슷한 왕바다리와 자주 혼동되는 쌍살벌이지만 가슴에 비교 포인트가 있습니다. 가을에 개체수는 40~80마리입니다.
등검정이나 왕바다리 같은 대형쌍살벌들은 이른봄에 여왕들이 다수 힘을 합쳐 둥지를 시작하는 경우가 흔합니다. 다른 소형쌍살벌들은 혼자서 둥지를 시작하려고 하는 경향이 심하지만 대형쌍살벌들은 둥지를 만들다가 일이 잘 안풀리면 쉽게 자신의 둥지를 버리고 다른 강한 여왕이 미리 만들어놓은 둥지에 힘을 합치는 습성이 있습니다. 항상은 아니지만 보통 둥지 아주 초기때부터 같이 시작하는 여왕들은 작년에 같은 둥지 출신의 피가 섞인 자매들인 경우가 많다고 합니다.
보통 4~5마리의 여왕이 같이 시작하는 경우가 일반적이지만 심한경우 10마리가 넘는 여왕이 같이 시작하는 경우도 있습니다. 이렇게 알을 낳는 여왕이 한둥지 다수 있는 경우 여왕벌 사이에 지배구조가 생기는데 알을 제일 많이 낳는 알파 여왕이 있고 2인자인 베타 여왕이 있습니다. 쌍살벌 둥지를 잘 관찰해 보시면 배를 이리저리 힘차게 흔드는 벌을 보실수 있는데 바로 절대권력자인 알파여왕입니다. 알파여왕을 둥지에서 제거하면 베타여왕이 알파여왕의 자리에 등극합니다.

몇몇의 여왕들이 같이 시작한 등검정쌍살벌의 초기둥지
여왕이 혼자서 시작해서 5~6마리 정도의 일벌을 거느린 경우와 여왕이 5~6마리 같이 시작한 경우를 알아내는 방법은 간단합니다. 둥지에 고치가 있었던 흔적(백색 고치 뚜껑)전혀 없고 어린 애벌레와 알만 있는데 성충벌이 여러마리 존재하면 이는 전부 여왕벌들입니다. 그렇지 않고 어린애벌레, 나이든 애벌레, 고치, 뚫린 고치흔적이 둥지에 전부 알맞게 있으면서 성충이 여러마리인 경우는 여왕벌 1마리와 일벌 체제입니다.
여왕이 다수 존재하는 이런 1인자-2인자-약자여왕-일벌 구조는 알파여왕의 딸들이 많이 태어나면서부터 흔들리기 시작합니다. 아무리 알파여왕의 영향력이 막강해도 몰래 알을 낳는 다른 여왕들을 완벽히 콘트롤하지 못하기 때문입니다. 그간 그들의 노동력을 이용하기 위해 약자여왕들의 몰래 알낳기를 눈감아주며 참아왔던 알파여왕은 자신에 충성하는 일벌들이 많아지면 다른 여왕들을 핍박하며 하나둘 몰아내기 시작합니다. 그리고 둥지는 완전히 알파여왕의 세상이 됩니다.
대형쌍살벌들이 소형쌍살벌들보다 이렇게 초기둥지에서 다수의 여왕체제가 나타나는 정확한 이유는 아직 밝혀지지 않았습니다. 다만 대형쌍살벌들의 초기의 둥지 유실 위험이 소형쌍살벌들보다 크고(둥지가 상대적으로 커서 잘 발견됨) 등검정쌍살벌과 왕바다리의 대표적인 천적인 꼬마장수말벌의 공격으로부터 둥지초기때부터 보다 효과적으로 방어를 해보려는 의도일수도 있습니다.(하지만 둥지말기에 일벌들의 수가 많아 둥지의 방어력이 막강한 시기라도 꼬마장수말벌의 공격을 막아낼수 없습니다)

쌍살벌들의 악몽 꼬마장수말벌
다른벌집을 습격하면 일단 다 죽여버리고 시작하는 장수말벌과는 달리 꼬마장수말벌은 습격한 쌍살벌집의 성충벌을 섬멸하는데에는 별로 관심이 없습니다. 방어하기 위해 자신에게 덤비는 벌들만 물어서 제압하거나 쫓아낼뿐 자신에게 덤비지 않는 벌들은 굳이 죽이지는 않는 자비를 베풉니다.
소수의 애벌레만 부분적으로 강탈한 꼬마장수말벌은 자신의 둥지로 날라갑니다. 그후 그 쌍살벌집은 지속적으로 해당 꼬마장수말벌이 제집 드나들듯 하며 조금씩 애벌레와 번데기를 빼앗아 갑니다. 마치 강대국에게 정복당한후 주기적으로 공물을 바쳐야 하는 약소국의 주민들처럼 쌍살벌들은 애벌레를 눈뜨고 빼앗깁니다.
꼬마장수말벌의 입장에선 애써 찾아낸 쌍살벌집을 한번에 섬멸시켜 버리느니 장시간 두고두고 키워가면서 조금씩 약탈하는것이 자신에게 유리할수도 있습니다. 그러니 꼬마장수말벌의 자비는 진정한 자비라기 보단 정복당한 쌍살벌들을 자신의 먹이를 기르는 종으로 부려먹으려는 마치 나중에 도살할 가축들을 지금은 살찌우는 목장주의 욕심어린 여유일 뿐입니다.
왕바다리 Polistes rothneyi



왕바다리 둥지
20~26mm의 대형 쌍살벌로 등검정쌍살벌과 비슷한 크기 색상 형태로 자주 혼동받는
쌍살벌입니다. 아종으로는 제주왕바다리가 있습니다. 왕바다리의 둥지는 천정이 경사지면서 아래쪽 육아방의 평면은 평편한 편입니다. 그래서 중앙의 육아방일수록 깊이가 한없이 깊어지는 경향이 있고 아직 우화도 안한 고치위에 여왕이 알을 낳아버려 번데기가 우화를 못하고 어린 애벌레에게 나올길이 막혀버려 그대로 죽어버리는 어이없는 경우가 발생합니다. 가을에 개체수는 40~80마리입니다.

우화도 안한 고치위에 어이없게 산란된 알과 이미 부화한 애벌레
등검정쌍살벌과 왕바다리의 비교 포인트는 앞가슴등판의 색상에 있습니다. 왕바다리의 앞가슴등판은 밝은 노란색으로 등검정 쌍살벌의 짙은 고동색과 확연히 차이가 납니다.

등검정 쌍살벌(위)과 왕바다리(아래)의 차이
중형 Parapolybia 쌍살벌
뱀허물쌍살벌 Parapolybia varia


뱀허물쌍살벌 둥지
14~22mm의 중형쌍살벌로 Parapolybia라는 학명에서 볼수 있듯(다른 쌍살벌들은 모두 학명이 Polistes) 쌍살벌 종류중 관계가 제일 먼 친척입니다. 아종으로는 큰뱀허물쌍살벌(Parapolybia indica)이 있습니다. 집의 형태도 매우 극단적이어서 다 완성된 둥지는 마치 뱀이 허물을 벗어놓은 것 같은 형상이어서 벌의 이름도 뱀허물 쌍살벌입니다. 가을에 개체수는 60~150마리 정도로 쌍살벌중 상당히 많은 개체수를 자랑합니다.
쌍살벌들은 둥지의 지붕과 주기둥을 강화하기 위해 타액을 계속 쳐바르는데 이는 매우 접착성이 강해서 집의 강도를 올려줍니다. 또한 타액이 마르면 방수의 역활도 해주기 때문에 외피를 따로 만들지 않는 쌍살벌의 둥지가 비에 노출이 되어 있어도 어느정도 집이 젖는것을 방지해줍니다. 쌍살벌중 타액을 매우 많이 바르는 별쌍살벌의 둥지의 주요 지붕과 기둥은 매우 단단합니다. 뱀허물 쌍살벌은 둥지의 지붕에 그다지 타액을 쳐바르지 않기때문에 집의 구조가 취약해서 둥지가 밑으로 늘어지는 경향이 있습니다.
둥지가 거의 완벽한 구형을 취하는 두눈박이쌍살벌이나 등검정 쌍살벌 둥지에선 알파여왕이 베타여왕이나 다른 약자 여왕을 감시하기가 용이합니다. 중앙에서 감시하다가 자신대신 알을 낳으려는 다른 여왕벌의 버르장머리를 고치기 쉽기 때문입니다.
하지만 둥지의 길이가 밑으로 깊게 늘어지는 뱀허물 쌍살벌의 둥지는 알파여왕이 둥지를 효과적으로 감시하기 힘들게 만듭니다. 쌍살벌 알파여왕은 보통 둥지내에서만 머물면서 둥지내에 배밑에서 분비되는 자신의 냄새를 발라서 둥지의 대표냄새가 자신의 냄새가 되게 하는데 노력하고 둥지내 개체들을 일일히 만나면서 가장 적극적으로 영양교환을 하며 이들의 충성도 여부를 일일히 체크합니다. 그 다음 냄새 남기기와 사회활동이 활발한 개체는 베타여왕입니다. 그외 약자여왕들과 일벌들은 사회활동보단 육아와 둥지관리에 시간 할애를 더 많이 합니다.

쌍살벌 어록: 권력은 그냥 얻어지는것이 아니다.
쌍살벌의 둥지초기엔 다른 여왕들의 냄새가 공존하는것에 대해 매우 관대하지만 가을이 되고 번식계급(새여왕과 수펄)들이 나올시기가 되면 둥지는 매우 냄새에 민감해집니다. 이 시기 쌍살벌들은 알파여왕이 낳은 알이 아닌경우 알을 핍박하거나 애벌레를 끄집어 내어 죽이고 심지어는 이미 우화중인 번데기까지 공격하는 경우가 있습니다.
그러나 공격대상은 일벌애벌레의 경우 그냥 넘어가지만 주로 번식계급(새여왕과 수펄)의 애벌레인 경우 가차없이 공격합니다. 이는 아무리 피가 다른벌이라도 일벌은 둥지의 발전에 도움이 되어 살려두어도 무방하지만 피가 다른 번식계급에 대한 핍박은 자신의 피만 후대에 전달하고픈 알파여왕의 유전자적 욕구를 반영하는것이라 볼수 있겠습니다.
댓글
댓글 리스트-
작성자고구마깡(박계순) 작성자 본인 여부 작성자 작성시간 08.11.27 네이버에서 옮겨 왔습니다. 길어서 읽기 힘들지만...
-
작성자늘푸른 작성시간 08.11.27 그림이 하나도 안보이네요.
-
답댓글 작성자고구마깡(박계순) 작성자 본인 여부 작성자 작성시간 08.11.27 그러네요;; 옮길때는 보이더구만,,,, 글만 보시구려^^
-
작성자장대장 작성시간 08.11.28 꼬마장수말벌 때문에 쌍살벌들 힘들겠네요!
-
작성자금송 윤은주 작성시간 08.11.28 글만 볼랑께 겁나 퍽퍽한디요^^ㅋㅋ
