CAFE

판매자게시판

시세 최저가! 특대먹갈치/횟감병어/자연산손질참돔/손질아귀 판매합니다

작성자목포 물좋은수산|작성시간26.03.24|조회수42 목록 댓글 0

안녕하세요
물좋은수산 장유정입니다

오늘 갈치조업현황이 아주 좋네요
이시기에는 큰사이즈 갈치들이 나오기때문에
큰사이즈 좋아하시는 분들께 강력추천입니다^^
이시기는 큰사이즈들이 거의 바탕이기때문에
중간사이즈와 작은사이즈가
오히려 더 경매가가 비싸답니다 ㅠㅠ

오늘
특대먹갈치
생물아귀
3단횟감병어
40미 참돔
준비해보았습니다

오늘 좋은가격에 판매하오니
필요하신분은 오늘 구매 추천드려요^^



농협 356-0242-6725-43 박건곤
010-8734-9359

💙 목포 특대먹갈치<머리꼬리내장무료손질>
2마리 2.4키로 91.000+택배비4000

목포 먹갈치
어제 빠른 매진에 이어 다시경매받아왔습니다
마리당 1.2키로이상
특대사이즈 먹갈치입니다
이가격 강력추천합니다

이가격 이품질 강력추천합니다^^
갈치가 요때 나오고 또 언제 안나올지 모르니
저장하시기에도 추천드려요~
한정수량이니 필요하신분은 주문주세요~

 

💙3단횟감병어<원물발송>
1키로 내외 (4미) 25.000+택배비4000
2키로 내외(8미) 48.000+택배비4000

싱싱한 횟감 3단병어입니다
병어의 단가가 중국 바이어들의 영향으로
많이 높아졌었는데 오늘 사이즈 좋은 병어 좋은가격에
가져와 판매합니다

같은 3단병어 사이즈라도 1키로에 몇마리가 들어가는게
사이즈 비교에 좋습니다 ^^

냉동보관했다가 언제든 요리하시기 좋은
요리했을때 생선 비린내없는 생선 중 하나이죠
가성비최고의 병어입니다

믿고 저장해두시는걸 추천드립니다
싱싱해서 회/조림/구이 드시기 좋습니다^^

 

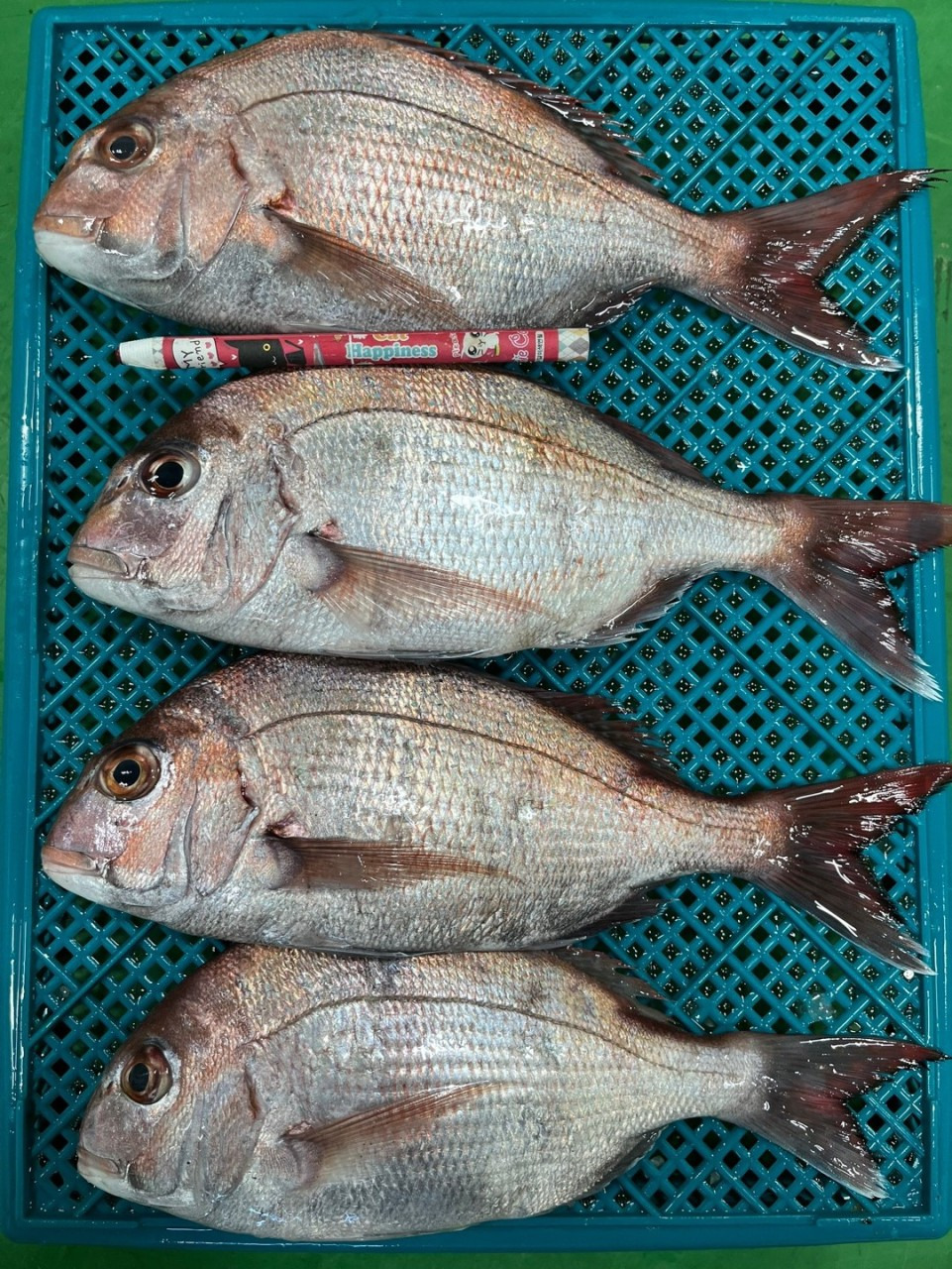
💙구이조림용 생물참돔>>비늘내장 무료손질
1.8키로 4마리
20.000+택배비 4000

받으시는 분들이 100프로 만족하시는
손질 참돔입니다

구이용 찌개용으로 딱 좋은사이즈입니다
작년에 정말 인기많았던 참돔입니다

싱싱한 참돔인만큼
아가미색이 붉은 선홍색을띄네요
내장제거/비늘제거 해서 보내드립니다
맛있게요리해드세요
생물이다보니 사이즈 차이가 있을수있습니다

 

💙 당일경매 싱싱한
✅2마리 5키로 내외 > 아귀입/ 이빨/내장 무료손질
29.000원+택배비4000
✅4마리
56.000+택배비4000

정말 오랫만의 아귀판매입니다
그동안 마음에 드는 아귀가 없어
경매받아오지 못했어요 ~

싱싱하고 살밥통통한 아귀!
이시기의 아귀가
정말 맛있지요

국내산 생물 아귀!
뜨끈한 아귀수육이나 찜으로 드시면
얼마나 맛있게요~~

아귀입이랑 내장을 손질해 통으로
손질해 발송해드립니다
생물이기에 크기가 다를수있습니다
무게로 담아서 보내드려요
생물이다보니 씨알크기 차이있습니다^^

다음검색
현재 게시글 추가 기능 열기

댓글

댓글 리스트
맨위로

카페 검색

카페 검색어 입력폼