CAFE

조황정보

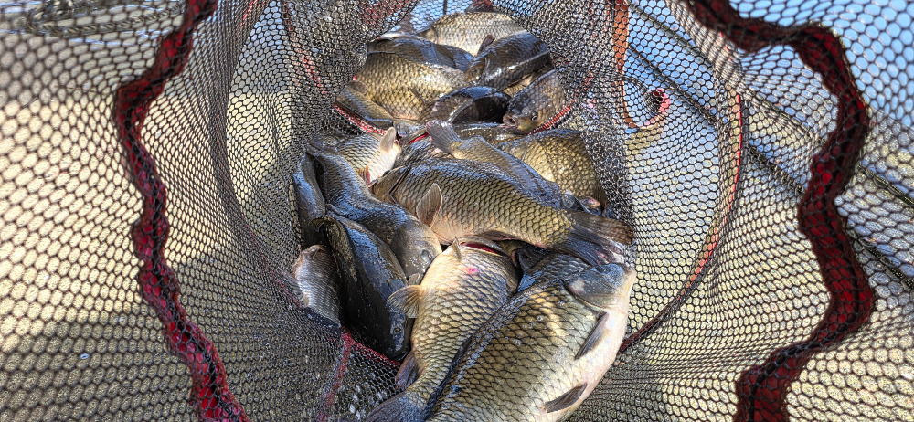
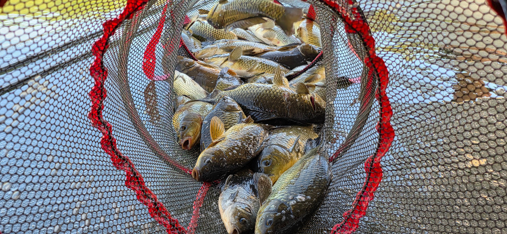
2025. 10. 19. 정안 저수지, 고성 낚시터 조황 소식입니다.

작성자대박|작성시간25.10.19|조회수169 목록 댓글 1

 

 

안녕하세요.

 고성 낚시터입니다.

 

 

 

 

간만에 

쾌청한 하늘을 

선물 받았습니다.

 

 

 

 

 

 

 

 

 

 

 

 

 

 

 

 

 

 

 

 

 

 

 

 

 

 

 

 

 

 

 

 

 

 

 

 

 

 

 

 

 

 

 

 

 

 

 

 

 

 

 

 

 

쾌적하고 안전한

낚시터를 추구합니다.

 

사전 협의되지 않은

비 낚시인의 방문과 동반은

노지와 좌대

모두

정중히 사절합니다.

 

안전한 낚시터를 위해

적극 협조 바랍니다.

 

 

조금 더,

 

노력할 것을 약속드립니다. 

 

감사합니다.

 

 2025. Enjoy your life in goseng fishing!!

 

 

-白波-

 

 

 

 

다음검색
현재 게시글 추가 기능 열기

댓글

댓글 리스트
  • 작성자JD6145R | 작성시간 25.10.19
    댓글 이모티콘
댓글 전체보기
맨위로

카페 검색

카페 검색어 입력폼