CAFE

[오아후]하와이... 천국과 지옥을 맛보다. 7월 7일 오아후 2일차 ( 하나우마베이 )

작성자누룽지 사랑|작성시간10.07.15|조회수1,458 목록 댓글 33

 

 역시나 5시가 넘으니 눈이 떠지네요. 어젯밤 너무 피곤해서 호텔에 들어오자 마자 잠들었던지라 아침에 부랴부랴

하나우마에 갈 짐들을 챙겼어요.  창문을 여니 밤새 비가 왔는지 도로가 젖어 있더라구요. 하나우마베이를 갈지 오아후

일주를 할지 잠시 고민하고 일단 하나우마로 가보자 싶었죠. 역시 변덕쟁이 하와이. 하나우마에 가니 날씨가 다시 개네요.

7시쯤 도착했느데 사람이 아직은 많지 않았어요.  6시 전에 도착해서 스노클링하고 2시까지 코올리나 비치에 가는게 계획인데

아무래도 수정해야 될것 같았어요. 그동안 무리한 일정으로 몸도 피곤해서 오늘은 여유있게 보내기로 했죠.

영화 보기를 기다리며 줄 서있는데 역시 오아후엔 동양인이 많네요. 한국인, 중국인, 일본인 (완전 압도적 )들이 심심찮게

보여요. 입장료는 1인당 $7.5이예요.

 

 7시 해변의 모습이예요. 아직은 한적하죠. 첨엔 물도 좀 찬 느낌이예요. 마우인 6시라도 따뜻했는데

하나우마는 듣던데로 오전에 차네요. 어제 먹다 남은 데리야끼 립아이를 먹는데요.  마우이에선 예쁜 새들만

보이더니 여기엔 비둘기도 있네요.  비둘기한테 고기 몇 조각 던져줬는데 갑자기 사방에서 비둘기들이

저희를 포위하며 좁혀오기 시작하더군요.  비둘기들이 시크하게 안 보는 척하면서 계속 우릴 주시하고 있었나봐요.ㅎㅎㅎ

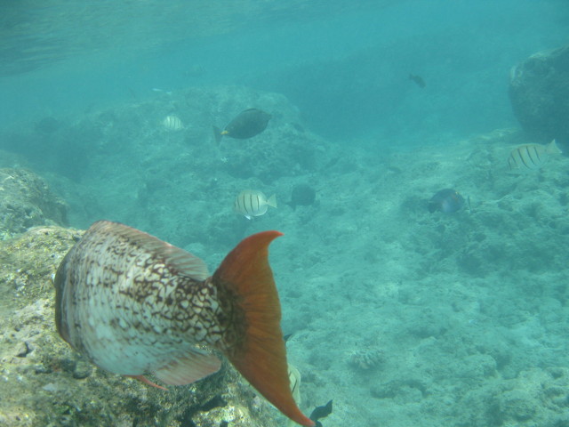
 아주 큰 물고기예요. 남자 팔뚝만행. 표정이 재밌죠? 눈 마주치고 깜놀하는 표정.ㅋㅋㅋㅋㅋ

사실 스노클링 사진은 전부 남편이 찍었어요. 저는 제몸 하나 간수하기도 바빴죠.ㅎㅎㅎ

 

 

 

 

 요녁석도 꽤 커요. 저는 해변가에만 있었구요. 남편은 꽤 깊은곳까지 들어갔는데요. 아마도 밥 부인님이

말씀하신 곳 근처까지??  남편은 하나우마에서도 지윽을 한번 경험했데요. 깊은 곳으로 가니까 파도가 심해서 하마터면

산호초 바위에 머리를 부딪힐뻔 했데요.  하와이 사랑 회원님들도 조심하세요. 하나우마는 마우이에 비해 물살이 세서요.

해변가에 그냥 떠 있어도 물살에 몸 가누기가 힘들었어요. 저는 겁나서 해변에만 있었어요. 산호초도 밟으면 안되니까

계속 조심하게 되더라구요.  얕은 곳에만 있어서 자신감 붙어서 수영도 꽤 했어요. 진짜 태어나서 첨으로 제 혼자 힘으로

물에 떠다녔네요.ㅎㅎㅎ  산호초가 많아서 다리도 여러군데  멍들었어요. 하나우마 바닥에 산호초 때문에 맨말로 다니기

상당히 힘들어요.  이왕이면 긴바지 입으시고 아쿠아 슈즈도 챙겨 신으세요.  지금도 멍이 안 가라않네요. 

 

참 해변 근처에 물고기 10여마리 아지트가 있어요. 간혹 팔뚝만한 녀석도 급 출현하고...  저처럼 수영 못하는 분들 해변에서도

잘 보심 물고기 구경 꽤 하실수 있어요.  남편처럼 깊은데 가심 물고기 꽤 많다구요. 팔뚝만한 해삼 사진도 찍었어요.

어떤 분은 하나우마에 물고기 별로 없다셨는데 저희 커플 간날은 물고기 구경 실컷 했네요.

 

글구 8시가 넘으면서 사람들이 엄청 몰려와요. 이왕 가실거면 늦어도 7시 전에 도착하심이 어떨지요.

확실히 사람들이 많아지니까 모래도 많이 일어나고 스노클링 하려니 시야가 뿌얘져서 별로예요.

 

저흰 11시까지 있었던거 같아요. 날씨가 오락가락 해서 물 밖에 나오니 춥네요. 물도 좀 차긴 해도 그래도 물속에 있는게

더 따뜻해요.

 11시 경의 해변 모습이에요. 사람이 꽤 많아졌죠?  참 저흰 한국에서 은박 돗자리를 챙겨갔거든요. 거기에 짐 두었구요.

카메라나 자동차키는 해변에 보심 물품 보관소가 있어요. $5이예요. 거기에 보관해두고 놀았어요.

저도 가기 전엔 중요한 소지품을 어디다 둘지 고민했는데 다행히 물품 보관소가 있네요.

 

 요건 하나우마에 있는 닭들 증명사진 .ㅋㅋㅋㅋ  물놀이 하고 초쉐한 모습이라 올릴 사진이 없네요.

여행 가기전에 화장품 잔뜩 챙겨갔는데 빡빡한 일정과 계속 되는 물놀이로 화장할 시간이 없네요.

계속 쌩얼의 연속이네요. 신혼 여행을 갔으나 일정이나 사진을 보면 그저 빡센 극기훈련용 여행이었네요.

 

 다른 분들은 하나우마 베이 사진 정말 멋지게 올리시던데 저는 색감이 잘 안잡히네요. 구도도 그렇고.

그나마 괜찮은 사진 두장이예요. 사진에 보심 산호초들 보이시죠? 물고기는 물빛 예쁜 곳보다 저렇게 산호가 있는

곳에 많이 있어요. 산호가 물고기 먹이다 보니 붙어서 계속 뜯어먹고 있더라구요. 하나우마 녀석들은 은근 사람 눈치도 봐요.

저랑 눈 마주치니까 딴데로 갔다가 안 보면 다시 산호 뜯어먹고. 귀여운 녀석들.ㅎㅎㅎㅎ

 사람들 줄 서있는거 보이시죠? 11시 좀 안되니 영화보려고 이렇게 줄서서 기다리네요. 그러니 오전에 서두르세요.

주차장도 꽉 차있어요.

 와이키키로 돌아오자 마자 바로 치즈케익 팩토리로 달려왔어요. 원래 마리포사가려했는데

코올리나도 안가는 터라 가까운 곳에서 먹자고 여기로 왔네요. 참 주차는 강변?에 무료주차 공간이 있어요.

보통 현지인들만 알고 주차하는 곳인데요. 다행히 자리가 있길래 주차했죠. 저희는 이틀간은 거기다 무료로 주차했네요.

어제 주차비만 $17 써서 아까웠는데 이틀간은 무료로 주차해서 그나마 위안 삼았죠. 예전에 우연히 하와이로 검색하다

알게 된 블로근데 무료 주차 가능한 지역을 지도에 표시해뒀더라구요.  여기도 주차 경쟁 완전 치열해요. 한 차 빠지면 또 바로

들어와요.

 피치 스무디예요. 양도 완전 많고 색상 예술이죠. 맛도 상큼하고 신선한 느낌이예요.

 요건 인기 메뉴인 데리야끼 치킨이예요. 양념이 어찌나 감칠맛 나던지요. 남편이 너무 좋아하네요.

구운 바나나와 구운 파인애플도 같이 나오는데요. 바나나 완전 꿀맛이네요. 위에 설탕 시럽을 뿌리고 구웠는지

설탕과자맛도 나요. 바나나를 구우니 향도 더 좋아져요. 구운 바나나 첨 먹어보는데 집에서도 해피콜 직화오븐에

구워봐야 겠어요. ㅎㅎㅎ

 요건 연어와 스테이크예요. 연어도 구워서 나오는데 보통 먹는 훈제연어완 또 다른 맛이네요. 아~~주 부드러워요.

스테이크도 맛있긴 한데 치킨 데리야끼가 워낙 맛있어서요. 치킨 데리야끼 완전 강추예요.

딸기 치즈 케익은 포장해서 왔는데요. 소문대로 치즈 케익 짱인데요.  쇼핑하고 돌아와서 혼자 다 먹었네요.

 치즈 케익 팩토리에서 든든하게 식사를 마치고 호텔에서 잠시 낮잠을 잤어요. 완전 꿀잠이네요. 

마우이 하얏트 침대도 편했지만 모아나 서프라이더의 해븐리 베드는 정말 환상이네요. 제가 보통 누으면

한시간 정도 뒤척이다 잠드는데 해븐리 베드는 완전 눕자마자 스르륵 잠들어요. 너무 포근하고 좋아요.

우리집에도 해븐리 베드 있으면 좋겠어요.ㅜㅜ

 

한시간 정도 자고 일어나 챙겨서 ROSS로 향했죠.쇼핑 물품을 담기에 우리 캐리어는 너무 작은거죠.

입구에 캐리어가 바로 진열되어 있네요. 잔뜩 기대했는데 확 와닿는 건 없구요. 샘소나이트도 있긴 한데

너무 크거나 너무 작거나. 딱 원하는 사이즈가 있으면 색상이 엄하거나...  결국 레드 색상으로 2개 샀어요.

한 개는 샘소나이트구요. 한개는 브랜드는 첨 보는데 4발짜리라 편하더라구요. 수납도 괜찮고.

두개 합해서 $120정도 였는데요. 점원이 카드를 보더니 어느 나라 환율로 계산할지 물어보더라구요.

무심결에 한국걸로 계산한다 했는데 돌아와서 확인해 보니 이날 국내 환율이 1200원 초반이었는데 1260원으로 계산됐네요.

회원님들도 물어보심 그냥 달러로 그대로 계산하세요. 제껀 정확히 어떻게 계산한건지 모르겠는데 1$당 1260원으로 계산해서

한화로 바로 카드 계산됐구요. 거기다 외국에서 계산했으니 카드 수수료도 별도로 더 붙어서 만원 넘게 손해 본거 같아요. 참 로스에서는 캐리어 말고도 남편 벨트랑 신발이랑 몇가지 샀어요. 총 $300 좀 안되게 샀어요.

 

1층에 여성 용품과 캐리어, 향수, 시계 있구요.

전 몰랐는데 향수가 엄청 싸다네요. 사 올걸...ㅜ ㅜ  로스는 대부분 동양인들로 가득했어요. 옷이나 신발들이 진짜 오래된 재고 상품

같았어요. 제눈에는....  대충 휙 둘러보고 남편이 있는 2층으로 올라갔죠. 울 남편 완전 신났네요. 어제 와이켈레에서만 해도 시큰둥해 하더니 로스 여기 완전 별천지라고 신나서 물건 담고 있네요. 여자건 별거 없는데 남자건 그래도 살게 있나봐요. 케네스콜이랑 타미 가죽 벨트 6개정도 샀어요. 30이나 32는 잘 없고 완전 큰 사이즈가 잔뜩 있어요.  잘 고르심 괜찮은 거 꽤 있어요. 개당 $10정도?

개집 탐나는 거 완전 많았는데 부피가 커서 못 샀어요. 제사랑 누룽지 ( 코카 여아 12키로 나가는 우량견 공주) 한테 맞는

집이 잘 없어요. 옷도 9세용 반팔 티셔츠 입힐 정도. 맞는 개옷도 없네요.  미국은 큰 개가 많아서 그런지 큼직하고

부티나는 개집도 많네요. 완전 탐나요. 호피무늬, 지브라 스타일 등등...

 

로스에서 산 짐들은 바로 캐리어에 넣어서 트렁크에 실었어요. 다음 목적지는 NODSTROM RACK이예요.

여기가 은근 찾기 어렵네요. GPS로도 못찾겠고. NODSTROM 근처에 있다고 해서 한참 돌았어요. 바로 근처는 아니구요.

큰 블럭을 지나면 대형 극장이 있는데 그 근처예요. 저희도 지나가는 사람한테 물어물어 겨우 찾았어요.

 

또 비가 오네요. 주차장도 꽉 차있고.  짜증이 나려다가 그래도 찾았다는 기쁨에 가벼운 발걸음으로 들어갔죠..

생각보단 별로예요. 물론 로스보단 제품들 상태가 괜찮지만 그렇다고 확 와닿는 것도 없네요. 케네스콜 캐리어 완전 멋진거

발견했는데 $120이네요.  위 사진이 여기서 찍은 건데요. 저렇게 깔끔하게 진열돼 있는 구두들도 있어요. 코치,버버리,페라가모 같은

고급 브랜드 제품들도 있는데 굽이 너무 높거나 디자인이 오묘해서 소화하기 힘들거나 뭐 그래요. 핫핑크색 예쁜 코치 플랫슈즈도

봤는데 사고 싶었지만 신으니까 발볼이 왜이렇게 넓어 보이는지...  저희는 아디다스 운동화 하나씩 샀어요.  저렴한 신발이

많긴 한데 괜찮은 브랜드들인지 알길도 없고 그냥 왔어요. 사전 조사 좀 했으면 건질게 많았을 지도 몰라요. 브랜드에 대해

모르다 보니 뭘 어떻게 사야할지 막막했어요. 쇼핑광님 진심 존경합니다. 저도 본 받아 다음에 다시 가면 원없이

지르고 와야겠어요.  어제에 이어 오늘도 매장 문닫을 때까지 쇼핑하고 나왔네요. 뭐가 모를 이 뿌듯함이 뭔지. ㅎㅎㅎㅎ

 오늘의 마지막 코스 월마트예요. 마카다미아넛 리필 큰거 4봉지, 코나 커피 4봉지, 초로켓 4상자랑 기타 음료들 샀어요.

마우이 블랙티도 5통 샀는데 마우이가 또 그립네요. 그리고 갈릭 솔트도 2통 샀는데요. 추천 후기 보고 따라 사긴

했는데 어떻게 먹어야 할지 고민이예요.  참 코나 커피 종류 많더라구요. 골드색으로 세일 상품 있어서 그걸로 샀어요.

행사가가 $8 조금 넘었구요. 코나 10%짜리는 $3 좀 넘었어요.

 

와이키키로 돌아오니 또 10시 반이 넘었네요. 낮에 주차했던 길가 무료주차하는 곳에 또 주차했어요.

한바퀴 쭉 돌아보니 빈 자리가 있긴 하네요. 쇼핑하느라 저녁은 호텔에 돌아와서 샌드위치로 떼웠어요.

원래 계획은 Fook Yuen인데 위치까지 봐두고 시간에 쫓겨 맛없는 샌드위치로....

 

아 그리고 한가지 ...  마우이에서 스팸 무수비가 너무 먹고 싶었는데 분면 ABC에 있다 들었는데 아무리 찾아도

없다네요. 마우이는 주유소에 있는 편의점에서만 판매하구요. 가격도 $2 넘어요. 오아후는 abc에 어디서나 판매하고

가격은 $1.8정도였어요. 다만 밤 늦게는 다 팔리고 없는 곳도 종종 있어요. 오늘 먹을랬더니 없다네요.

 

주차한 곳에서 호텔까지 5분거리였어요. 일반 쇼핑백을 들고 돌아다니는 것 보단 캐리어에 넣어 오니

편하기도 하고 심적으로 안심이 되네요.  11시전이라 그런지 어제보다 덜 무서웠어요.

하와이가 관광지라고 번화가를 제외하곤 약간 변두리는 겁나더라구요.  다른 분들도 너무 늦게 다니지 마세요.

우린 계속 강행군을 하다 보니 늘 밤늦게 돌아왔네요.

 

다음검색
현재 게시글 추가 기능 열기

댓글

댓글 리스트
  • 답댓글 작성자밥 부인 | 작성시간 10.07.17 마우이에서 보트 탈때 선장님이 그러셨는데요, 스노쿨링 할때 뿌옇게 되는건 물안경이 문제가 아니라, 제대로 호흡을 못해서.. (한마디로 내 탓.. ) 그런거 라고 하더 라구요.. ㅜ.ㅜ
  • 답댓글 작성자누룽지 사랑 작성자 본인 여부 작성자 | 작성시간 10.07.17 저도 괜한 장비탓만 했나요? ㅎㅎㅎ 밥 부인님 역시 지식이 많으셔요. ^ ^*
  • 작성자단호박구름 | 작성시간 10.08.26 우와..하나우마베이 사진 넘 멋져요~~저도 캐논 똑딱이인데..dslr을 가져가기는 무겁고 짐스럽고...똑딱이만으로도 넘 멋진 사진이네요! ㅎ참..글구 스노클링 개별적으로 신청하셨나용??장비는 다 사신거구요..?저희는 스노클링 조인에 신청할까말까 고민중이거든요^^
  • 답댓글 작성자누룽지 사랑 작성자 본인 여부 작성자 | 작성시간 10.09.01 저는 전체 일정이 자유였어요. 차는 전일 렌트했어요. 그래서 스노클링 장비 월마트에서 사고 차타고 고고씽~~~~ ㅎㅎㅎ 저희는 장비 싼걸로 샀는데요.중국산이라 그런지 조금의 하자가..... 이왕 살거 좀더 좋은 거 살건데
    아쉬워요. 단호박님도 사실거면 좋은걸로 사셔서 오래오래 쓰세요. 우리나라 제주도 함덕해수욕장만 해도 물도 깨끗하고 얕은곳에 물고기들 막 무리지어 다녔던 기억이.....
  • 작성자단호박구름 | 작성시간 10.09.07 아..장비사두면 제주도에서도 할 수 있겠네요ㅋ오리발땜에 짐이 많아질까봐 걱정되긴하네용ㅋㅋㅋ
댓글 전체보기
맨위로

카페 검색

카페 검색어 입력폼