CAFE

식생(풀, 나무)

[무환자나무목 단풍나무과] 단풍, 당단풍, 중국단풍 _ 이쁘고 아름답다 그리고 종류도 참 많다.

작성자사노라면 (박래현, 교육위원)|작성시간24.10.14|조회수794 목록 댓글 0

* 들어가는 글
무더운 여름 짙은 초록이 지나면
단풍의 계절 가을이 어느새 다가온다.

가을은
선선한 공기의 흐름으로
높고도 청명한 하늘색으로
그리고 여러색의 단풍으로
소리 소문없이 다가와서는
이내 낙엽비를 선사한다.

다 잘아는 단풍나무지만
잎이 갈라지는 수가 다르기도 하고
수형이 영 다르기도 하다.
불려지는 이름도
단풍이란 단어는 들어가지만
단풍,당단풍, 중국단풍, 공작단풍 등
제각각이기도 하다.

이것만으로도 복잡스러운데
신나무, 고로쇠나무, 복자기나무 등
형제들도 많다.
이 들에 대해 공부해 보고자 한다.

* 생김새
대개 거리나 공원에선 단풍나무가
산에서는 당단풍나무가 있으며
중국단풍은 전국에 식재되어 있다
잎의 갈라짐은
3개는 중국단풍나무, 5~7개는 단풍나무
9~11개는 당단풍나무다.

단풍나무
당단풍나무
중국단풍

_ 천연기념물의 단풍
1. 정읍 내장산 단풍나무
내장산은 온 산이
단풍나무로 유명하기도 하며
많은 단풍나무들중
천연기념물로 지정된 단풍나무도 있다.

2. 고창 문수사 단풍나무숲

_ 산의 계곡 단풍
1. 설악산
설악산 어느 계곡을 가더라도
단풍물결을 만날 수 있다.

천불동계곡 단풍이다

2. 지리산
설악산과 마찬가지로 어느 계곡에서나
단풍의 물결을 만날 수 있다.

뱀사골계곡의 단풍이다

3. 설악산, 지리산외에도
단풍으로 이름난 산이 너무너무 많다
오대산, 대둔산, 한라산, 치악산 등등
어느 산이라도 나름의
멋진 단풍이 펼쳐진다
서울의 북한산, 청계산, 관악산 등에도
단풍을 즐길 포인트는 있다.

대둔산 단풍이다

_ 걷기 편한 단풍트레킹 명소
1. 오대산 선재길

2. 남산 단풍길

3. 독립기념관 단풍길

* 해설포인트
첫째, 단풍과 색과의 만남
_ 붉은색도 농도에 따라
옅기도, 짙기도, 적당하기도 하며 뽐낸다.
_ 단풍이 들기 시작하는 푸른잎이
붉은 잎으로 서서히 물들기도 하고
_ 한 나무에 달린 잎들중에는 단풍드는 시기가 달라 붉은색과 푸른색잎이
동시에 보이기도 하고
_ 단풍나무숲에서도 나무별로도
시기를 달리하며 온 산을
형형색색을 만들기도 한다.

둘째, 단풍과 주변과의 만남
_ 푸르고도 청명한 하늘과 어울리기도
_ 또 때론 회색의 흐림속에서도
_ 촉촉한 가을비속에도
_ 도시의 빌딩들 속에서도
_ 고궁의 옛 건물들 속에서도
_ 산속 사찰에서도
_ 길에서도
_ 호수에서도
_ 그리고 산세와 어울리기도 한다.

세째, 단풍과 사람과의 만남
_ 사랑하는 연인과
_ 사랑하는 가족들과
_ 격의없는 동창생들과
_ 산, 길, 숲 등 취미공유 동료들과
단풍세계를 같이 나누기도 한다

네째, 왜 단풍드는가
여름내내 열심이도 일을 하며
열매를 키워내던 잎사귀들이
제 할 일을 끝내고 겨울채비를 한다.

나는 추위를 이겨낼 수가 없어
난, 이제 할 일이 끝났어.
열매도 잘 키워냈고
또 때론 나를 희생하여
곤충의 애벌래들도 살게도 해주고
무더운 여름엔 시원한 그늘까지 주었으니
이제 마지막으로
너희들에게 이쁜 모습 보여주려 해.

빨갛게도, 노랗게도
마지막 모습을 보여주고
줄기나 가지와의 인연을 끊고
겨우내 잠자는 듯한 나무가
춥디추운 겨울을 이기도록 도와줘야지

이래, 저래
빚을 흡수하고, 반사하고
가시광선, 적외선, 자외선
그리고 무슨 무슨 작용에 관심 갖지마
내가 알아서 잘 할께
너희들은 그냥 이쁨을 즐겨
그럼 그냥 나도 좋아, 즐거워!

단풍은
가을철 낮·밤의 온도 차가 심한 곳에서
볼 수 있는 것이 단풍이다.
남반구에서는
남아메리카 남부의 일부 지역에서만,
북반구에서는
동아시아, 유럽 남서부 및 북아메리카
동북부 지방에서 나타난다.

다섯째, 어떤 날씨에 이쁘게 만들어질까?
날씨가 아주 맑고
공기 중에 물기가 적으며,
싸늘해질 때쯤 만들어지기 시작하니
햇빛이 많을 때 더 많이 만들어진다.
따라서,
구름낀 날이 많은 가을에는
단풍이 잘 들지 않는다.

※ 단풍이 드는 이유
가장 단순히 설명하면
(학자들은 맘에 안 들겠지만)
잎은 햇빛을 받아 광합성을 하여
설탕과 같은 물질을 만들어
나무의 각 필요한 부분으로 보내주는데​

가을이 와서
잎이 떨어지기 전
잎자루는 떨켜가 만들고
이 떨켜에 의해 잎에서 만들어진
설탕성분이 다른 곳으로 옮겨지지 않고
잎 속에 쌓이기 때문에
이 설탕성분이 다른 물질로 바뀌어
단풍이 들게 된다는 것이다.​

※ 해설참고자료

1. 공작단풍, 애기단풍, 설탕단풍 등
(단풍명이 들어간 단풍나무)
_ 공작단풍
세열단풍, 수양단풍이라고도 하며
가지가 땅을 기거나 아래로 쳐진다
접목에 의해서만 생산이 가능하며
보통의 단풍나무보다 가늘다.
한국과 일본 등지에 분포한다.

_ 아기단풍 또는 애기단풍
당단풍나무의 이명이기도 하다.
주로 당단풍중 잎이 적을 것을 말한다.

_ 설탕단풍나무
캐나다국기에 들어 있는 나무이다.
원산지에서는 설탕을 빼고 있으나
우리나라에서는 당량이 적어
경제적효용이 낮다.

2. 또 다른 단풍나무 형제들은
_ 신나무
_ 고로쇠나무
_ 복자기나무
_ 시닥나무
_ 산겨릅나무 등
* 각 개별내용은 별도로 공부해 보려합니다.

3. 단풍이 좋은 다른 나무들은
_ 화살나무
_ 붉나무
_ 남천
_ 은행나무 등등
* 각 개별내용은 별도로 공부해 보려합니다.

* 일반사항
_ 학명은
단풍나무는 Acer palmatum Thunb.
당단풍나무는
Acer pseudosieboldianum (Pax) Kom.
중국단풍은 Acer buergerianum Miq.
_ 개화기는 4, 5월
_ 꽃색은
단풍나무가 검붉은색이고
당단풍나무는
백색, 붉은색, 자주색, 노란색이며
중국단풍은 노란색이다
_ 형태는 낙엽 활엽 소교목
_ 크기는
당단풍이 높이 8m내외이며
단풍과 중국단풍은 15m정도이다
_ 분포는
단풍은 한국(전라도, 제주도), 일본
당단풍은 한국, 중국(동북부), 극동러시아
중국단풍은 한국, 중국이다

* 생태 _ 형태별 모습
_ 잎은
단풍, 당단풍, 중국단풍이 다 같이
마주나기하고,
원형에 가까운 손바닥 모양인데
잎의 갈라짐은 서로다르다.

중국단풍이 3갈레,
단풍이 5~9갈레,
당단풍이 9~11갈레이니
잎의 갈라짐만 보면 구분이 가능하다.

단풍든 잎의 색도 조금 다른데
단풍, 당단풍은 빨간색이고
중국단풍은 연한 노란색이다.

단풍든 잎의 색과 갈라짐

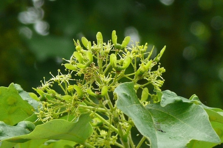
_ 꽃은
꽃피는 시기는 중국단풍이 4월,
당단풍은 4~5월, 단풍은 5월이니
약간의 차이가 있다.

꽃색은 단풍나무가 검붉은색이고
당단풍나무는 백색, 붉은색, 자주색,
노란색이며 중국단풍은 노란색이다.

단풍나무 꽃
당단풍나무 꽃
중국단풍의 꽃

_ 열매는
단풍, 당단풍은
시과에 날개가 벌어지고
중국단풍은
분과로 날개가 벌어지지 않는다.

성숙시기는
중국단풍이 8월 중순~10월 중순이며
당단풍은 9월 중순-10월 중순이고
단풍이 10월 중순-10월 말로
약간의 차이가 있다.

단풍나무 열매
당단풍나무 열매
중국단풍 열매

_ 나무껍질은
단풍은 적갈색이고 털이 없다.
당단풍은잿빛이며
일년생가지는 녹색 또는 자록색이며,
흰털이 성글게 있고,
묵은 가지는 흰가루로 덮인다.
중국단풍은 갈색으로,
벗겨지고 가지에 털이 없다.

왼쪽 위부터 시계방향으로 단풍, 당단풍, 공작단풍, 중국단풍이다

중국단풍의 나무껍질만 지저분스럽게
벗겨져보이며 다른 단풍나무는 매끈하다.

다음검색
현재 게시글 추가 기능 열기

댓글

댓글 리스트
맨위로

카페 검색

카페 검색어 입력폼