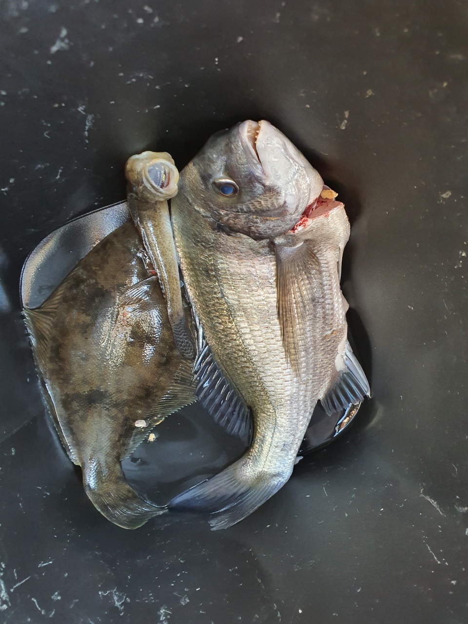
도다리!! 감성돔~^^ 작성자오혜림|작성시간21.11.10|조회수847 목록 댓글 0 글자크기 작게가 글자크기 크게가 안녕하세요!소경도 해상펜션입니다.오늘은 도다리와 감성돔 사진을 들고 왔어요!!궂은 날씨 속에서도 멋진 조과를 올리셨네요!!멋진 사진 감사합니다^^ 다음검색 현재 게시글 추가 기능 열기 북마크 공유하기 신고 센터로 신고 댓글 댓글 0 댓글쓰기 답글쓰기 댓글 리스트