CAFE

┌ 오늘 판매생선

[☆(판매 마감)]11월 15일, 동백하, 생새우, 자연산회, 바라조기, 먹갈치, 갈치젓, 병어, 자랭이, 갑오징어, 중하새우, 통치, 자연산돌굴, 물메

작성자탁선장|작성시간22.11.15|조회수2,581 목록 댓글 261

써니님 여왕개미님 심해스님 꽃집아제님 생일 축하드립니다.

늘 건강하시고 좋은 일 많이 생기길 바랄게요.

"생일 이벤트" 오늘 생선구매시 5,000원 할인됩니다.


 

동백하 생새우

참새우이며 받으시면 무침으로 드시고 나머지 냉동해두었다가 김장에 사용하세요.

 

더 자세한 안내는 동영상에서 확인 가능 하십니다. 

 

(예금주: 탁광필 356-1296-6176-33 농협)

 

3kg 판매가 : 26,000원 (32) dkblmh님 복수니님(2) 타쬬님 김나두님(3) 소리샘0503님 아들사랑님  하얀마녀님 fishlee님 만리향님 녹슨천사님 권승주님 목화초원님 서보삼님(3) 백재광님 5063님 아침구름님 산천수라님 이영순님 정이근님 이영순님 3382님(2) 김미연님(2) 커피쟁이님 이미경님(3) 이다은님 

... 

 

 

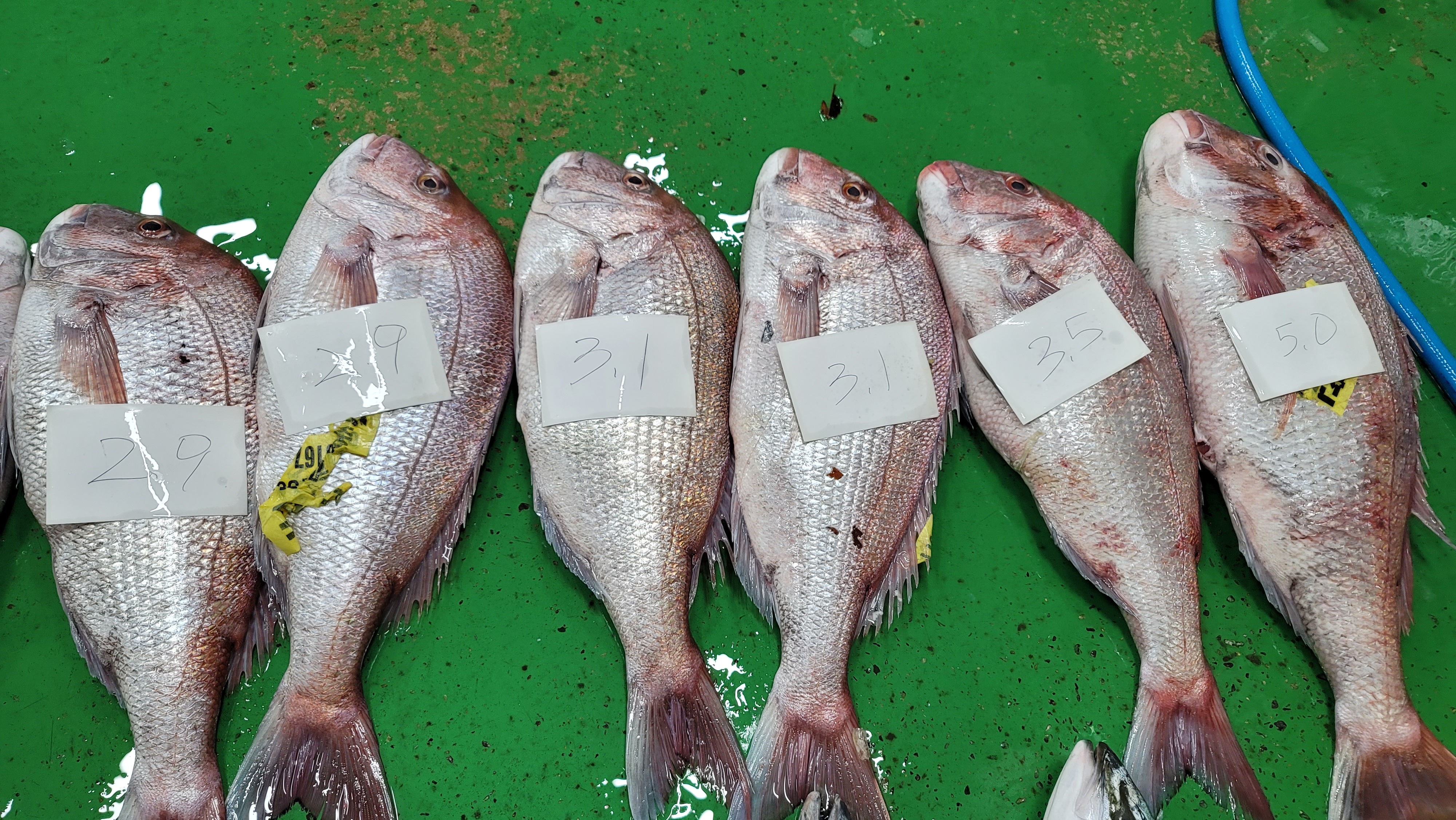
※ 자연산 회

석장뜨기해서 보내드리오니 받으시면 썰어 드세요. 

 

더 자세한 안내는 동영상에서 확인 가능 하십니다. 

 

(예금주: 탁광필 356-1296-6176-33 농협)

 

참돔 5.0kg 판매가 : 70,000원 나이테님

참돔 3.5kg 판매가 : 51,000원 orion님

참돔 3.1kg 판매가 : 47,000원  (2) 옹달님 cokcok33님

참돔 2.9kg 판매가 : 44,000원  (2) purole님 오주영님

참돔 2.6kg 판매가 : 40,000원  (3) 권승주님 푸른블루님 붕어다님

참돔 2.5kg 판매가 : 39,000원 조영현님

참돔2미 1.2kg 우럭 1.0kg 판매가 : 35,000원 김재기님

삼치 3.1kg 판매가 : 30,000원 한일형님

방어 3.1kg 판매가 : 30,000원 별걍님

능성어 1.5kg 판매가 : 69,000원 이승우님

돌돔3미 900g 800g 700g 판매가 : 59,000원 박태용님

...

 

※ 안강망 바라조기

바라조기란? 크기 차이가 심한 참조기를 상자에 담은 것 입니다.

 

사진은 속씨알 입니다.

 

씨알 큰 것을 생각하고 주문하시면 안됩니다. 

 

더 자세한 안내는 동영상에서 확인 가능 하십니다. 

 

(예금주: 탁광필 356-1296-6176-33 농협)

 

16~20cm이상인데 큰 것은 몇마리 안됩니다. 

10kg 163마리 내외 판매가 : 79,000원 (49)  김선욱님 안광임님 정점진님 송영주님(손질) 김영임님 위계찬님 현미쌀님 옹달님 박용은님 

...

 

※ 먹갈치

배가 3분의 1정도 터졌지만 택배 배송중에 더 터지니까 이해 부탁드립니다. 

파갈치는 손질해서 보내드리며 3.8kg은 배가 더 터졌어요.

 

더 자세한 안내는 동영상에서 확인 가능 하십니다. 

 

(예금주: 탁광필 356-1296-6176-33 농협)

 

5미 4.2kg 판매가 : 157,000원 (1) 성준오님

10미 4.6kg 판매가 : 119,000원 (2) 성준오님(2)

10미 4.3kg 판매가 : 112,000원 (4) 양은정님 만리향님 

10미 3.9kg 판매가 : 105,000원 (2) 이은주님(손질)

11미 4.5kg 판매가 : 115,000원 (1) 

파갈치 36미 10.0kg 반상자 판매가 : 57,000원 (2) 송인희님

15미 4.8kg 판매가 : 76,000원 (1) 이경남님(손질) 

15미 4.5kg 판매가 : 72,000원 (3) 김태윤님 맨발애님(손질) 산소산소님 

15미 4.2kg 판매가 : 67,000원 (4) 이경숙님

15미 3.8kg 판매가 :  55,000원 (12) 정이근님 

 

손질요청시 1만원 추가하세요. 

...

 

※ 갈치젓

국내산 천일염으로 소금간해서 보내드립니다.

받으시면 김장봉투 2장 준비해서 옮겨 담으시고 국물이 올라올때까지 2~3일에 한번씩 비늘을 다시 묶어 주세요. 

 

더 자세한 안내는 동영상에서 확인 가능 하십니다.

 

(예금주: 탁광필 356-1296-6176-33 농협)

 

오늘 부족하면 내일 작업하여 보내드립니다.

 

15kg 판매가 : 51,000원 (00) 강용범님 이영인님 김연순님 김혜인님

...

 

덕대 8미 2.8kg

 

더 자세한 안내는 동영상에서 확인 가능 하십니다.

 

(예금주: 탁광필 356-1296-6176-33 농협)

 

오늘 부족하면 내일 작업하여 보내드립니다.

 

판매가 : 69,000원 그래님

...

 

※ 갑오징어

크기 차이 있으며 삶아서 드세요.

찜으로 삶을때 15분정도 삶으시면 됩니다.

여러상자라서 마릿수 차이 있으니 이해해주세요. 크기차이 있습니다

 

더 자세한 안내는 동영상에서 확인 가능 하십니다. 

 

(예금주: 탁광필 356-1296-6176-33 농협)

 

5kg 24마리 내외 판매가 : 53,000원 (11) 맥심66님 황동진님(2) 이선명님 orion님 김나두님 최영일님 박성기님

...

 

 

※ 병어

회,조림,찜,반건조, 탕으로 드세요. 

크기 차이 있습니다. 

 

더 자세한 안내는 동영상에서 확인 가능 하십니다.

 

(예금주: 탁광필 356-1296-6176-33 농협)

 

30미 9.0kg 10마리 판매가 : 63,000원 (2) 하얀마녀님 

40미 10.1kg 한상자 판매가 : 176,000원 

반상자 판매가 : 94,000원 

10마리 판매가 : 52,000원 

3단 12.5kg 61마리 한상자 판매가 : 189,000원 박형진님 

반상자 판매가 : 100,000원 

...

 

※ 자랭이 병어 

회,조림,찜,반건조, 탕으로 드세요. 

크기 차이 있습니다. 

 

더 자세한 안내는 동영상에서 확인 가능 하십니다.

 

(예금주: 탁광필 356-1296-6176-33 농협)

 

5kg 58미내외 판매가 :  25,000원 (18) 나비야다님 언제나님 야로2님 최장길님 꿍이님 유영자님 행복한꽃각시님(2) 이환순님(2) 해피맘님 김성길님(2)

...

 

※ 중하새우

바람타서 검게 변한게 섞여 있는데 냄새 나는 것 아닙니다.

선도 약간 떨어지니까 머리 떼고 껍질 벗겨서 요리하세요.

 

더 자세한 안내는 동영상에서 확인 가능 하십니다.

 

(예금주: 탁광필 356-1296-6176-33 농협)

 

5kg 판매가 : 39,000원 34,000원 (7) 김필자님(2) 김정신님(2) 정이근님 최순호님

...

 

※ 통치 (민어) 

 

더 자세한 안내는 동영상에서 확인 가능 하십니다.

 

(예금주: 탁광필 356-1296-6176-33 농협)

 

2미 3.0kg 판매가 : 34,000원 백운산님

3미 4.3kg 판매가 : 48,000원 

6미 5.3kg 판매가 : 59,000원 황소3님(손질)

16미 7.2kg 판매가 : 87,000원 송영주님

18미 8.1kg 판매가 : 89,000원 김민배님

8미 3.2kg 판매가 : 48,000원 muchacha님 

...

 

붕장어 36미 13.6kg

 

더 자세한 안내는 동영상에서 확인 가능 하십니다.

 

(예금주: 탁광필 356-1296-6176-33 농협)

 

구이용으로 손질해서 4셋트로 나눠서 보내드립니다.  

1셋트 판매가 : 39,000원 (4) 버섯동이님 새가지님 귀요미님(2) 

...

 

※ 붉은메기 

 

더 자세한 안내는 동영상에서 확인 가능 하십니다.

 

(예금주: 탁광필 356-1296-6176-33 농협)

 

15미 14.7kg 판매가 : 48,000원 

22미 9.3kg 판매가 : 37,000원 진연미님 

28미 14.3kg 판매가 : 43,000원 아차산님

...

 

물메기 

선도 차이 있으니 이해 부탁드립니다.

 

더 자세한 안내는 동영상에서 확인 가능 하십니다.

 

(예금주: 탁광필 356-1296-6176-33 농협)

 

15미 14.6~15.7kg 판매가 : 49,000원 (2) 리사문님 아차산님(손질)

13미 11.3kg 판매가 : 44,000원 이재식님

...

 

서대, 가자미 5미 2.8kg 

 

더 자세한 안내는 동영상에서 확인 가능 하십니다.

 

(예금주: 탁광필 356-1296-6176-33 농협)

 

판매가 : 29,000원 dkblmh님

...

 

※ 아귀 2미 4.7kg 

한마리 내장 선도 나쁘니까 가위로 자르세요. 

 

더 자세한 안내는 동영상에서 확인 가능 하십니다.

 

(예금주: 탁광필 356-1296-6176-33 농협)

 

판매가 : 17,000원 (1)  

...

 

※ 등택어3미 6.2kg

 

더 자세한 안내는 동영상에서 확인 가능 하십니다.

 

(예금주: 탁광필 356-1296-6176-33 농협)

 

판매가 : 34,000원

...

 

※ 자연산 돌굴

대야에 물 받아 놓고 부어서 손으로 가만히 건져 올리고 가라 앉은 쩍은 버리세요.

 

더 자세한 안내는 동영상에서 확인 가능 하십니다. 

 

(예금주: 탁광필 356-1296-6176-33 농협)

 

수분을 많이 빼느냐? 적게 빼느냐?에 따라 무게가 달라집니다. 

무게에 민감하신 분께서는 주문하시면 안됩니다. 

두 봉지 (약 900내외) 판매가 : 30,000원 (5) 김나두님(3) 

...

 

※ 각굴(석화) 10kg

 

더 자세한 안내는 동영상에서 확인 가능 하십니다. 

 

(예금주: 탁광필 356-1296-6176-33 농협)

 

받으시면 일부 입이 벌어져 있거나 벌어져서 알이 마른 것도 있을 수 있습니다.

배송중 수분이 빠져서 약간 감량 나옵니다. 

판매가 : 28,000원 (1) 

...

 

※ 활가리비 

 

더 자세한 안내는 동영상에서 확인 가능 하십니다. 

 

(예금주: 탁광필 356-1296-6176-33 농협)

 

받으시면 일부 입이 벌어져 있거나 벌어져서 알이 마른 것도 있을 수 있습니다.

배송중 수분이 빠져서 약간 감량 나옵니다. 

1kg 32마리 내외  3kg 판매가 : 26,000원 (3) 이광표님

...

 

※ 참새우젓 2kg

 

더 자세한 안내는 동영상에서 확인 가능 하십니다. 

 

(예금주: 탁광필 356-1296-6176-33 농협)

 

2kg 1통 판매가 : 28,000원 (00) 무초님 이경남님 맨발애님 아들사랑님 황상구님

4kg 2통 판매가 : 52,000원 서보삼님 

...

 

※ 각손질 한 모습입니다.

...

 

 국내산 홍어(암치)

회,찜,조림,반찬 하세요.

 

자세한 안내는 동영상에서 확인 가능하십니다.

 

(예금주: 탁광필 356-1296-6176-33 농협 )

 

오늘은 통으로 보내드립니다.

각손질(10,000원). 회(20,000원) 추가 되며 내일 보내드립니다.

 

9.3kg 판매가 : 177,000원 (2) 이미자님(각손질)
8.7kg 판매가 : 157,000원  (2)  리사문님 
8.6kg 판매가 : 155,000원
8.5kg 판매가 : 153,000원
8.4kg 판매가 : 152,000원
8.2kg 판매가 : 148,000원 

...

 

※ 반건조 민어

 

더 자세한 안내는 동영상에서 확인 가능 하십니다. 

 

(예금주: 탁광필 356-1296-6176-33 농협) 

 

소금간하여 반건조 하였습니다. 

구이보다는 찜으로 드시는 것 추천합니다. 

 

3마리 판매가 : 33,000원 (00) 

...

 

※ 반건조 농어

 

더 자세한 안내는 동영상에서 확인 가능 하십니다. 

 

(예금주: 탁광필 356-1296-6176-33 농협) 

 

소금간하여 반건조 하였습니다. 

구이보다는 찜으로 드시는 것 추천합니다. 

 

3마리 판매가 : 22,000원 (00) 

...

 

※ 낙지 

어제 냉동실에 넣었어요.

 

더 자세한 안내는 동영상에서 확인 가능 하십니다. 

 

(예금주: 탁광필 356-1296-6176-33 농협)

 

2kg 5~6마리 판매가 : 50,000원

...

 

※ 냉동 병어

 

더 자세한 안내는 동영상에서 확인 가능 하십니다. 

 

(예금주: 탁광필 356-1296-6176-33 농협) 

 

큰 씨알이며 크기 차이 있습니다.

 

한상자 40마리 판매가 : 310,000원 

반상자 20마리 판매가 : 161,000원 

10마리 판매가 : 87,000원 정점진님 이향현님

3마리 판매가 : 32,000원 

...

 

※ 활 암,수 꽃게 (냉동)

알이 많이 차거나 적게 차 있습니다. 

그리고 삶아 먹었는데 한마리가 속이 텅 빈 것 있었습니다. 

속이 텅 빈 것 섞일 수 있어요. 

 

더 자세한 안내는 동영상에서 확인 가능 하십니다. 

 

(예금주: 탁광필 356-1296-6176-33 농협) 

 

3kg(암,수) 18마리 내외 판매가 : 44,000원 (00) 

...

 

※ 멸치액젓

3년 이상 숙성으로 맛이 좋습니다.

 

더 자세한 안내는 동영상에서 확인 가능 하십니다. 

 

(예금주: 탁광필 356-1296-6176-33 농협) 

     

10kg 판매가 : 35,000원 (00) 김선희님 맨발애님 박정숙님 황군자님

5kg 판매가 : 22,000원 (00) 신용숙님 박정숙님(2) 조순정님

...

 

 젓갈 쌈장 

갈치67%입니다 (사진에 양념 표시 되어 있어요)

받으시면 냉장보관하세요 

드실때 덜어서 취향대로 쪽파,깨소금 넣어서 드세요. 

1kg은 그릇에 담고, 4kg은 봉지에 담겨져 있고, 16kg은 1깡 입니다. 

 

더 자세한 안내는 동영상에서 확인 가능 하십니다.

 

(예금주: 탁광필 356-1296-6176-33 농협)

 

1kg 판매가 : 16,000원 무초님 맨발애님

4kg 판매가 : 52,000원 

16kg 판매가 : 151,000원 

...

 

 쫄복어(냉동)

손질 할 줄 아시는 분 께서만 주문하세요

 

더 자세한 안내는 동영상에서 확인 가능 하십니다.

 

(예금주: 탁광필 010 3167 7150 국민)

(예금주: 탁광필 356-1296-6176-33 농협)

 

5kg 판매가 : 39,000원 (00) 

...

 

 활 갯가재(냉동)

4월 4일 냉동하였습니다.

목이 하얀것은 암컷이고 없는 것은 숫컷이며 섞여 있어요.

장으로 담굴때는 암컷으로 담궈야 더 맛있어요.

삶아 드시거나 무침 또는 장으로 담궈드세요.

더 자세한 안내는 동영상에서 확인 가능 하십니다.

 

(예금주: 탁광필 010 3167 7150 국민)

(예금주: 탁광필 356-1296-6176-33 농협)

 

2kg 판매가 : 27,000원 (0) 

...

 

 

 

 

 

맛있게 드시고 건강하세요.

감사합니다.

 

 

. 주문자 : (이름 / 전화번호) :

. 받는사람 : (이름 / 전화번호) :

. 주소 :

. 상품명 / 수량 :

. 입금자명 :

. 추가말씀 :

다음검색
현재 게시글 추가 기능 열기

댓글

댓글 리스트
  • 작성자보람이엄마 | 작성시간 22.11.15 받는사람 : (이름 / 전화번호) :정덕희/010 2021 7585

    . 주소 :서울특별시 서초구 원지동10-56

    . 상품명 / 수량 :자연산 돌굴

    . 입금자명 :정덕희

    . 추가말씀 :농협 입금 했습니다.
  • 답댓글 작성자탁선장 작성자 본인 여부 작성자 | 작성시간 22.11.16 네 오늘 보내드리겠습니다
    맛있게 드시고 건강하세요
  • 작성자글로벌 | 작성시간 22.11.15 주문자 : (이름 / 전화번호) :배종인 01027455867

    . 받는사람 : (이름 / 전화번호) :

    . 주소 : 서울특별시 성동구 행당로82 119동403호

    . 상품명 / 수량 : 갑오징어

    . 입금자명 :배종인

    . 추가말씀 :

  • 답댓글 작성자탁선장 작성자 본인 여부 작성자 | 작성시간 22.11.16 네 오늘 보내드리겠습니다
    맛있게 드시고 건강하세요
  • 작성자kim미 | 작성시간 22.12.15 붕장어 1셋트 있음 주세요
댓글 전체보기
맨위로

카페 검색

카페 검색어 입력폼