[☆(판매 마감)]7월 5일, 자연산회, 쫄복어, 병어, 먹갈치, 밴댕이, 잡어, 간재미, 죽상어, 황석어젓, 반건조(먹갈치,황석어,민어,참돔,참조기).
작성자탁선장작성시간23.07.05조회수1,563 목록 댓글 280빡쭈님 생일 축하드립니다.
늘 건강하시고 좋은 일 많이 생기길 바랄게요.
"생일 이벤트" 오늘 생선구매시 5,000원 할인됩니다.
※ 자연산 회
석장뜨기해서 보내드리오니 썰어서 접시에 올리세요.
광어 뼈, 껍질은 버릴게요.
더 자세한 안내는 동영상에서 확인 가능 하십니다.
(예금주: 탁광필 010 3167 7150 국민)
(예금주: 탁광필 356-1296-6176-33 농협)
광어 8.5kg 판매가 : 105,000원 몽리님
광어 7.5kg 판매가 : 95,000원 안영기님
광어 5.2kg 판매가 : 75,000원 수니수니수니님
광어 4.2kg 판매가 : 62,000원 2913님
광어 2.3kg 판매가 : 39,000원 큰길님
광어 2.0kg 판매가 : 36,000원 하눌이님
광어 1.8kg 판매가 : 34,000원 큰길님
광어 1.7kg 판매가 : 33,000원 강양희님
광어 1.4kg 판매가 : 24,000원 목포아빠님
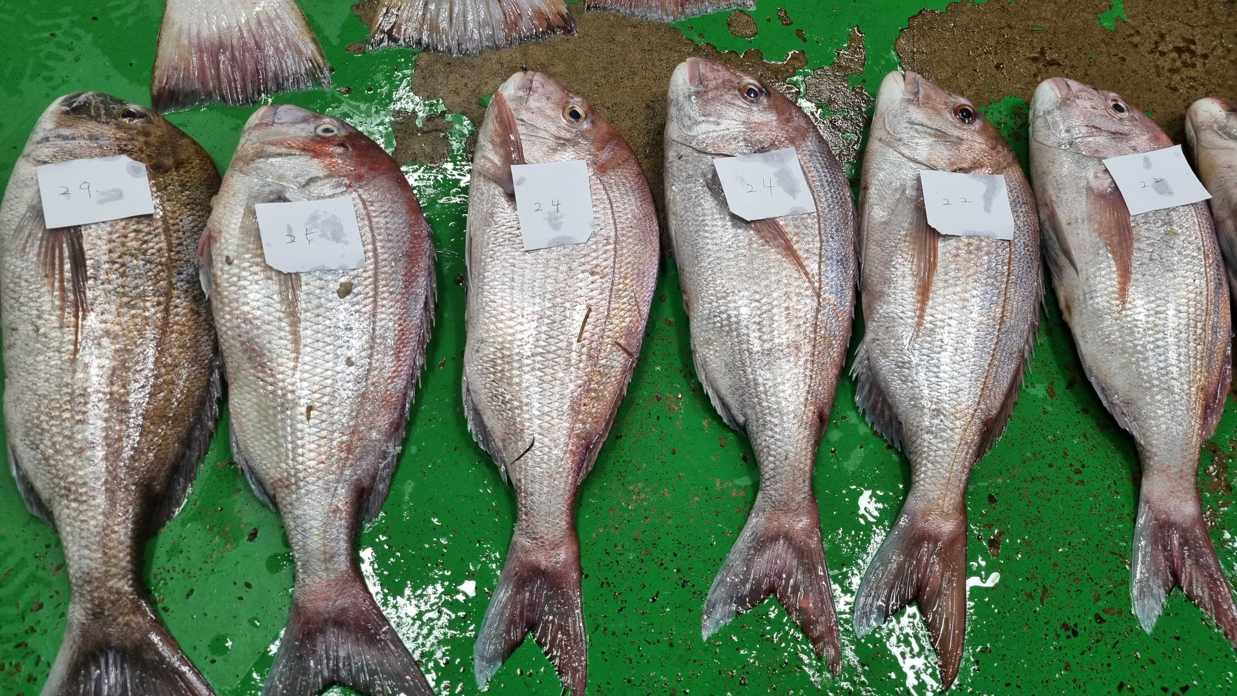
참돔 2.9kg 판매가 : 45,000원 조재경님
참돔 2.5kg 판매가 : 40,000원 재무신님
참돔 2.4kg 판매가 : 39,000원 (2) 홍기표님 박원근님참돔 2.2kg 판매가 : 37,000원 (2) 판게아님 이재현님
참돔 2.1kg 판매가 : 36,000원 (2) neosh6님 폰토스님
참돔 2.0kg 판매가 : 35,000원 모락님
참돔 1.9kg 판매가 : 34,000원
참돔 1.5kg 판매가 : 25,000원 유정희님
참돔 1.4kg 판매가 : 24,000원
...
※ 쫄복어
손질 할 줄 아시는 분께서만 주문 하세요.
씻지 않고 보내드리오니 생선 냄새 약간 나니까 씻으면 냄새 안납니다.
더 자세한 안내는 동영상에서 확인 가능 하십니다.
(예금주: 탁광필 010 3167 7150 국민)
(예금주: 탁광필 356-1296-6176-33 농협)
5kg 판매가 : 21,000원 (10) 두레박님 바람님 복실이님
...
※ 40미 병어
회,초무침,조림,구이,말려서 반찬 하세요.
크기 차이 있습니다.
더 자세한 안내는 동영상에서 확인 가능 하십니다.
(예금주: 탁광필 010 3167 7150 국민)
(예금주: 탁광필 356-1296-6176-33 농협)
12.0~12.1kg 한상자 판매가 : 396,000원 (2)
반상자 판매가 : 206,000원 김용걸님
10마리 판매가 : 108,000원 딸기와키위님 강미자님 정경애님 강성숙님 이재현님
11.8kg 한상자 판매가 : 390,000원
반상자 판매가 : 203,000원
10마리 판매가 : 106,000원
10.0~10.1kg 한상자 판매가 : 352,000원 (2)
반상자 판매가 : 184,000원
10마리 판매가 : 97,000원 맛으로여행님
...
※ 먹갈치
지금은 산란철이라 쉽게 터지며 얼음 포장해서 택배 배송중에 더 터지니 이해 부탁 드립니다.
크기는 3지 내외이며 배 터진게 3분의 1정도 입니다.
7월부터 금어기 들어가고 총 어획량의 10%만 잡을 수 있으니 참고하세요.
더 자세한 안내는 동영상에서 확인 가능 하십니다.
(예금주: 탁광필 010 3167 7150 국민)
(예금주: 탁광필 356-1296-6176-33 농협)
20미 4.3~4.6kg 판매가 : 56,000원 (13) 남도찬방님 정경희님 황미자님 이희언님 이영선님 이순덕님 정기순님
...
※ 손질 먹갈치
2지반~3지 이하 입니다.
손질해서 보내드리며 크기 차이 있습니다.
7월부터 금어기 들어가고 총 어획량의 10%만 잡을 수 있으니 참고하세요.
더 자세한 안내는 동영상에서 확인 가능 하십니다.
(예금주: 탁광필 010 3167 7150 국민)
(예금주: 탁광필 356-1296-6176-33 농협)
손질 전 무게 입니다.
5.0kg 26~28마리 판매가 : 31,000원 (00) 리디아님 엘리준님 0706님 위정희님 고인숙님 3197님
...
※ 밴댕이
회, 초무침, 구이, 조림, 찜, 반건조해서 반찬으로 드세요.
크기 차이 있습니다.
더 자세한 안내는 동영상에서 확인 가능 하십니다.
(예금주: 탁광필 010 3167 7150 국민)
(예금주: 탁광필 356-1296-6176-33 농협)
5kg 판매가 : 29,000원 (2) 까만소님 문영희님
...
※ 통치 15미 6.2kg
손질해서 보내드립니다.
조림, 구이, 찜, 반건조해서 반찬으로 드세요.
크기 차이 있습니다.
더 자세한 안내는 동영상에서 확인 가능 하십니다.
(예금주: 탁광필 010 3167 7150 국민)
(예금주: 탁광필 356-1296-6176-33 농협)
판매가 : 69,000원 심순용님
...
※ 덕대4미 1.1kg
회, 초무침, 구이, 조림, 찜, 반건조해서 반찬으로 드세요.
크기 차이 있습니다.
더 자세한 안내는 동영상에서 확인 가능 하십니다.
(예금주: 탁광필 010 3167 7150 국민)
(예금주: 탁광필 356-1296-6176-33 농협)
판매가 : 33,000원 송영주님
...
※ 참돔5미 2.2kg
조림, 구이, 찜, 반건조해서 반찬으로 드세요.
크기 차이 있습니다.
더 자세한 안내는 동영상에서 확인 가능 하십니다.
(예금주: 탁광필 010 3167 7150 국민)
(예금주: 탁광필 356-1296-6176-33 농협)
판매가 : 34,000원 김유한님
...
※ 서대1미 군평선이8미 2.9kg
서대는 비닐 벗기고 포 떠서 데쳐 드세요.
크기 차이 있습니다.
더 자세한 안내는 동영상에서 확인 가능 하십니다.
(예금주: 탁광필 010 3167 7150 국민)
(예금주: 탁광필 356-1296-6176-33 농협)
판매가 : 50,000원 김미정님
...
※ 백조기
조림, 구이, 찜, 반건조해서 반찬으로 드세요.
크기 차이 있습니다.
더 자세한 안내는 동영상에서 확인 가능 하십니다.
(예금주: 탁광필 010 3167 7150 국민)
(예금주: 탁광필 356-1296-6176-33 농협)
20미 5.2kg 판매가 : 38,000원 조순정님
28미 5.2kg 판매가 : 34,000원 1624님
65미 8.0kg 판매가 : 39,000원 이명순님
...
※ 간재미
회, 초무침, 조림, 찜, 말려서 반찬으로 드세요.
크기 차이 있습니다.
더 자세한 안내는 동영상에서 확인 가능 하십니다.
(예금주: 탁광필 010 3167 7150 국민)
(예금주: 탁광필 356-1296-6176-33 농협)
12미(암) 8.8kg 판매가 : 39,000원 임기택님
12미(암) 8.3kg 판매가 : 36,000원 (2) 김순자님 주청용님
12미(암) 7.5~7.6kg 판매가 : 33,000원 (2)
12미(암) 5.9kg 판매가 : 27,000원
11미(암) 7.1kg 판매가 : 32,000원
10미(수) 6.4kg 판매가 : 29,000원
...
※ 죽상어
살짝 데쳐서 드시거나 잔칼질해서 말려서 드시거나 잘게 토막내서 삶아서 수분빼서 구워 드셔도 맛있습니다.
더 자세한 안내는 동영상에서 확인 가능 하십니다.
(예금주: 탁광필 010 3167 7150 국민)
(예금주: 탁광필 356-1296-6176-33 농협)
13.4kg 판매가 : 31,000원 임기택님
9.3~9.9kg 판매가 : 23,000원 (3) bys267님
7.2~7.6kg 판매가 : 20,000원 (2)
...
※ 황석어 젓
씨알 잘아요.
김장 봉투 2장 겹쳐서 옮겨 담으시고 국물이 위에 올라 올때까지 3일에 한번씩 비닐을 다시 묶어 주고 위에 무거운 것(돌) 얹어 놓으세요.
더 자세한 안내는 동영상에서 확인 가능 하십니다.
(예금주: 탁광필 010 3167 7150 국민)
(예금주: 탁광필 356-1296-6176-33 농협)
15kg 판매가 : 39,000원 (31) 구순덕님 김수영님 강순아님 김은숙님 장윤성님(2) 심순용님 3406님 조정임님 임명숙님 4223님 임채인님 박지은님 우영욱님 염광호님 권준희님 안정희님 오례님 김현순님 두둥님 윤채영님 복수니님 배향자님 이설인님(2)
...
※ 반건조 먹갈치
조림, 튀김으로 드세요.
크기 차이 있습니다.
더 자세한 안내는 동영상에서 확인 가능 하십니다.
(예금주: 탁광필 010 3167 7150 국민)
(예금주: 탁광필 356-1296-6176-33 농협)
30마리 판매가 : 36,000원 (00) 이미자님(2합포) ok122님(2합포) 김영순님 이현정님 강현수님 황명순님 조영자님 황봉녀님 박지은님 이혜경님
...
※ 반건조 황석어
조림, 튀김으로 드세요.
몆일전에 반건조 하였습니다.
더 자세한 안내는 동영상에서 확인 가능 하십니다.
(예금주: 탁광필 010 3167 7150 국민)
(예금주: 탁광필 356-1296-6176-33 농협)
1kg 판매가 : 30,000원 (00) 5218님 k1ii님(6합포) 이재우님 3656님(5합포) 8173님 김민정님 뫼사랑님(2합포) 김재기님
...
※ 반건조 자연산 민어
조림,구이, 반찬하세요.
소금간하여 반건조 하였으며 뱃살 상한 것 섞여 있어서 잘라 낸 것도 있습니다.
더 자세한 안내는 동영상에서 확인 가능 하십니다.
(예금주: 탁광필 010 3167 7150 국민)
(예금주: 탁광필 356-1296-6176-33 농협)
마리당 35~43cm 정도 입니다. (랜덤 발송)
3마리 판매가 : 32,000원 (00) 금토산님
...
※ 반건조 참돔
소금 간하여 말렸어요
구이보다는 찜으로 드시기를 추천 드립니다.
구이로 하실때는 물 뿌리고 약한 불로 구워주세요.
더 자세한 안내는 동영상에서 확인 가능 하십니다.
(예금주: 탁광필 010 3167 7150 국민)
(예금주: 탁광필 356-1296-6176-33 농협)
생물일때 20미 짜리 입니다.
크기 차이 있어요.
3마리 판매가 : 22,000원 (00) 높은구름님(2합포) 시절인연님(5합포) 들소님(5합포) 이재현님
...
※ 반건조 알배기 참조기 (영하55도 급속냉동)
크기 차이 있으며 국내산 천일염으로 소금간하여 말렸습니다.
찜, 구이로 드세요.
사진에는 두마리 모두 알이 있지만 알이 있거나 없을 수 있어요.
10마리중에 약 3~4마리는 알이 없다고 보셔야 합니다.
더 자세한 안내는 동영상에서 확인 가능 하십니다.
(예금주: 탁광필 010 3167 7150 국민)
(예금주: 탁광필 356-1296-6176-33 농협)
33cm~ 한마리 판매가 : 50,000원 ( )
30cm~32cm 한마리 판매가 : 27,000원 ( )
25cm~29cm 세마리 판매가 : 57,000원 ( )
...
※ 냉동 활꽃게 (냉동)
살아있는 상태로 도착하여 무게재고 냉동실에 넣었습니다.
앞전주에 냉동실에 넣은 것도 포함되어 있습니다.
얼음포장으로 배송중에 다리가 떨어지니까 이해 부탁드립니다.
간장게장, 찜, 무침으로 드세요.
더 자세한 안내는 동영상에서 확인 가능 하십니다.
(예금주: 탁광필 010 3167 7150 국민)
(예금주: 탁광필 356-1296-6176-33 농협)
수,암 섞인것(암꽃게 많지 않습니다.) 3kg 18~23마리 정도 판매가 : 42,000원 (10) 박영숙님 김한철님(2합포) a12s님 김효숙님 차순애님
...
※ 5kg 갑오징어 (냉동)
크기 차이 있으며 삶아서 드세요.
찜으로 삶을때 약한 불에 15분정도 더 삶으시면 됩니다.
먹물 제거는 소금물로 하시고 말려서 드세요.
더 자세한 안내는 동영상에서 확인 가능 하십니다.
(예금주: 탁광필 010 3167 7150 국민)
(예금주: 탁광필 356-1296-6176-33 농협)
5kg 14~16미 판매가 : 59,000원 글로벌님
5kg 18~20미 판매가 : 52,000원
5kg 22~24미 판매가 : 49,000원 (4) 글로벌님 강계숙님 차순애님
5kg 26~28미 판매가 : 46,000원
5kg 31~40미 판매가 : 43,000원
5kg 44~46미 판매가 : 40,000원
...
※ 젓갈 쌈장
갈치67%입니다 (사진에 양념 표시 되어 있어요)
받으시면 냉장보관하세요
드실때 덜어서 취향대로 쪽파,깨소금 넣어서 드세요.
1kg은 그릇에 담고, 4kg은 봉지에 담겨져 있고, 16kg은 1깡 입니다.
더 자세한 안내는 동영상에서 확인 가능 하십니다.
(예금주: 탁광필 010 3167 7150 국민)
(예금주: 탁광필 356-1296-6176-33 농협)
1kg 판매가 : 18,000원 박영숙님 엘리준님 4223님
4kg 판매가 : 51,000원 명연순님 기성짱님
16kg 판매가 : 160,000원 정이장님
...
맛있게 드시고 건강하세요.
감사합니다.
. 주문자 : (이름 / 전화번호) :
. 받는사람 : (이름 / 전화번호) :
. 주소 :
. 상품명 / 수량 :
. 입금자명 :
. 추가말씀 :
