[☆(판매 마감)]5월 13일, 냉동생선, 활 암꽃게, 숫꽃게, 먹갈치, 배말, 가자미, 참돔, 준치, 갯가재, 아귀, 참조기, 간재미, 죽상어, 마른생
작성자탁선장작성시간24.05.13조회수956 목록 댓글 101폴paul명종수님 센토사님 다희아빠님 kurt님 조국통일님 9137903님 묘량활님 대자연님 생일 축하드립니다.
늘 건강하시고 좋은 일 많이 생기길 바랄게요.
"생일 이벤트" 오늘 생선구매시 5,000원 할인됩니다.
택배는 오늘까지 하고 모레까지 쉽니다.
목요일 뵙겠습니다.
항상 건강하세요.
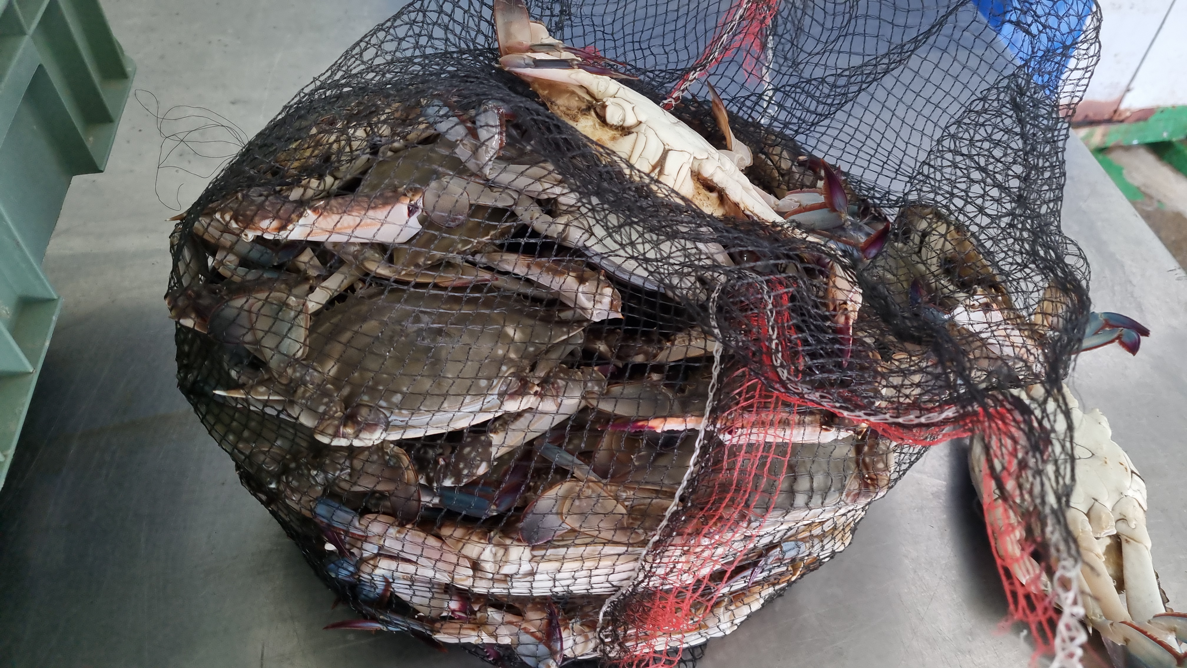
※ 알찬 활 암꽃게
살아있는 상태에서 어제 5월 12일 냉동하였습니다.
게장, 무침, 삶아서 드세요.
배송중에 다리 떨어지니까 이해 부탁 드립니다.
더 자세한 안내는 동영상에서 확인 가능 하십니다.
(예금주: 탁광필 010 3167 7150 국민)
(예금주: 탁광필 356-1296-6176-33 농협)
1kg 4마리 반 정도 됩니다.
2kg 판매가 : 59,000원 맛있는수산물님(배말합포) 박해례님 5443님 당미경님
3kg 판매가 : 84,000원 영실님 김병국님 백소영님 몽리님 유옥진님 솜사탕님 바닐라님
...
※ 활 숫꽃게
살아있는 상태에서 어제 5월 12일 냉동하였습니다.
무침, 삶아서 드세요.
배송중에 다리 떨어지니까 이해 부탁 드립니다.
더 자세한 안내는 동영상에서 확인 가능 하십니다.
(예금주: 탁광필 010 3167 7150 국민)
(예금주: 탁광필 356-1296-6176-33 농협)
1kg 4마리 정도 됩니다.
3kg 판매가 : 43,000원 (30kg) 조정임님 꽈님 0519님 이현정님 수미님 노현정님 송연순님 솜사탕님 바닐라님 순도99님 박지영님
...
※ 5미 대 먹갈치
5월 3일 금요일 냉동하였습니다.
더 자세한 안내는 동영상에서 확인 가능 하십니다.
(예금주: 탁광필 010 3167 7150 국민)
(예금주: 탁광필 356-1296-6176-33 농협)
4.7kg 판매가 : 163,000원 (2)
4.5kg 판매가 : 158,000원 sye2287님
4.4kg 판매가 : 155,000원 (3)
...
※ 배말
냉동하였으니 받으시면 삶아 드세요.
크기 차이 있습니다.
더 자세한 안내는 동영상에서 확인 가능 하십니다.
(예금주: 탁광필 010 3167 7150 국민)
(예금주: 탁광필 356-1296-6176-33 농협)
다른 생선과 합포장으로 판매합니다.
배말만 주문시 택배비 7,000원 추가하세요.
1kg 판매가 : 22,000원 맛있는수산물님
...
※ 가자미 - 손질
5월 3일 금요일 손질해서 냉동하였습니다.
더 자세한 안내는 동영상에서 확인 가능 하십니다.
(예금주: 탁광필 010 3167 7150 국민)
(예금주: 탁광필 356-1296-6176-33 농협)
10미 8.5~8.8kg 판매가 : 77,000원
15미 8.1kg 판매가 : 71,000원
15미 7.7~7.8kg 판매가 : 67,000원
15미 7.3kg 판매가 : 65,000원
...
※ 참돔(냉동)
4월 2일 냉동하였습니다.
구이,조림,찜,탕,말려서 반찬하세요.
더 자세한 안내는 동영상에서 확인 가능 하십니다.
(예금주: 탁광필 010 3167 7150 국민)
(예금주: 탁광필 356-1296-6176-33 농협)
40미 15.0kg 10마리 판매가 : 44,000원
...
※ 5미 준치회
어제 5월 9일 냉동하였습니다.
회,초무침,조림,반찬하세요.
크기 차이 있습니다.
더 자세한 안내는 동영상에서 확인 가능 하십니다.
(예금주: 탁광필 010 3167 7150 국민)
(예금주: 탁광필 356-1296-6176-33 농협)
2.5kg 판매가 : 34,000원
2.0kg 판매가 : 30,000원
1.8kg 판매가 : 28,000원
1.6kg 판매가 : 26,000원
...
※ 갯가재(쏙대기)
살아있는 갯가재를 4월 26일 냉동하였습니다.
암, 수 섞여 있으며 삶아드시고 무쳐 드시고 장담궈 드세요.
3kg 판매가 : 42,000원 (00) 강남규님 양기설님
...
※ 아귀
5월 3일 금요일 냉동하였습니다.
더 자세한 안내는 동영상에서 확인 가능 하십니다.
(예금주: 탁광필 010 3167 7150 국민)
(예금주: 탁광필 356-1296-6176-33 농협)
4미 9.5~9.9kg 판매가 : 37,000원 5455님
4미 8.5~8.9kg 판매가 : 34,000원
...
※ 안강망 바라조기(냉동)
한상자 실량 18~20kg정도 450마리 이상이며 마리당 15cm 내외 입니다.
더 자세한 안내는 동영상에서 확인 가능 하십니다.
(예금주: 탁광필 010 3167 7150 국민)
(예금주: 탁광필 356-1296-6176-33 농협)
판매가 : 95,000원 박경옥님
...
※ 간재미(냉동)
4월 19일 냉동실에 넣었습니다.
회,초무침,구이,탕,찜,말려서 반찬하세요
크기 차이 있습니다.
더 자세한 안내는 동영상에서 확인 가능 하십니다.
(예금주: 탁광필 010 3167 7150 국민)
(예금주: 탁광필 356-1296-6176-33 농협)
수12미 6.1~6.4kg 판매가 : 24,000원
수12미 5.6~5.8kg 판매가 : 22,000원 (3) 최인숙님
...
※ 등택어(암) (냉동)
4월 30일 냉동 하였습니다.
회,초무침,구이,조림,찜,말려서 반찬 하세요.
더 자세한 안내는 동영상에서 확인 가능 하십니다.
(예금주: 탁광필 010 3167 7150 국민)
(예금주: 탁광필 356-1296-6176-33 농협)
2미 5.9~6.1kg 판매가 : 28,000원 (3) 먹고사니조아님
2미 5.4~5.6kg 판매가 : 26,000원 (3)
2미 5kg 판매가 : 24,000원
3미(암) 6.5~6.8kg 판매가 : 27,000원 (5)
3미(암) 6.0~6.4kg 판매가 : 25,000원 (12)
3미(암) 5.1kg 판매가 : 23,000원
7미(암) 7.5kg 판매가 : 26,000원
5미(수) 7.0~7.4kg 판매가 : 24,000원 (2)
5미(수) 5.6kg 판매가 : 21,000원
...
※ 죽상어
5월 1일 냉동하였습니다.
더 자세한 안내는 동영상에서 확인 가능 하십니다.
(예금주: 탁광필 010 3167 7150 국민)
(예금주: 탁광필 356-1296-6176-33 농협)
6.2kg 판매가 : 24,000원
5.5kg 판매가 : 22,000원
4.2kg 판매가 : 20,000원
4미 6.5kg 판매가 : 25,000원
...
※ 반건조 자연산 민어
소금간해서 말렸으니 약한 불에 굽거나 조림, 탕으로 드세요.
생물일때 2kg 이상이며 50~60cm정도 입니다.
박스에 안들어 가면 꼬리 자릅니다.
더 자세한 안내는 동영상에서 확인 가능 하십니다.
(예금주: 탁광필 010 3167 7150 국민)
(예금주: 탁광필 356-1296-6176-33 농협)
1마리 판매가 : 32,000원 최은주님(6합포)
...
※ 반건조 알배기 참조기 (택배비 별도)
한상자 75미짜리를 비닐 벗겨서 소금간해서 말렸어요.
더 자세한 안내는 동영상에서 확인 가능 하십니다.
(예금주: 탁광필 010 3167 7150 국민)
(예금주: 탁광필 356-1296-6176-33 농협)
70%정도 알 차 있습니다.
다른생선과 합포장으로 판매 합니다.
참조기만 주문시 택배비 7,000원 추가하세요.
택배비 7,000원 추가하세요.
마리당 30cm 이상 한마리 판매가 : 35,000원 (10미)
마리당 28~30cm 두마리 판매가 : 40,000원 (22미)
마리당 25~27cm 두마리 판매가 : 30,000원 (00)
...
※ 반건조 참조기 100~105미
마리당 15cm 내외 입니다.
비닐 벗겨서 소금간해서 말렸어요.
더 자세한 안내는 동영상에서 확인 가능 하십니다.
(예금주: 탁광필 010 3167 7150 국민)
(예금주: 탁광필 356-1296-6176-33 농협)
100~105마리 판매가 : 39,000원 (00) 김문수님 박명호님(2) 신동태님 권혜숙님 정수희님 서명희님
...
※ 반건조 병어 (합포장으로 판매)
제가 소금간해서 말렸습니다.
약한 불에 구워드세요.
더 자세한 안내는 동영상에서 확인 가능 하십니다.
(예금주: 탁광필 010 3167 7150 국민)
(예금주: 탁광필 356-1296-6176-33 농협)
다른 생선과 합포장으로 판매 합니다.
병어만 주문하시면 택배비 7,000원 추가 하세요.
29~31cm 1마리 판매가 : 27,000원 (11)
26~28cm 1마리 판매가 : 22,000원 (42)
...
※ 가자미(반건조)
머리 떼고 소금간해서 말렸으니 약한 불에 구워 드시거나 조림으로 드세요.
크기 차이 있습니다.
더 자세한 안내는 동영상에서 확인 가능 하십니다.
(예금주: 탁광필 010 3167 7150 국민)
(예금주: 탁광필 356-1296-6176-33 농협)
생물일때 무게 입니다.
20미 6.5~6.9kg 판매가 : 43,000원 (00) 아재훈님 이경선님
...
※ 반건조 참농어
횟감으로 판매했었고 소금간 했으니 약한 불에 구워서 드세요.
생물일때 마리당 3~4kg짜리 였어요.
포장시 박스에 안들어가면 꼬리 ,머리 짤라서 보내드립니다.
더 자세한 안내는 동영상에서 확인 가능 하십니다.
(예금주: 탁광필 010 3167 7150 국민)
(예금주: 탁광필 356-1296-6176-33 농협)
1마리 판매가 : 35,000원
...
※ 반건조 부세 조기
손질해서 소금간해서 말렸어요.
작 것 한 두마리 섞일 수 있습니다.
더 자세한 안내는 동영상에서 확인 가능 하십니다.
(예금주: 탁광필 010 3167 7150 국민)
(예금주: 탁광필 356-1296-6176-33 농협)
마리당 20cm 내외 20마리 판매가 : 43,000원 (00)
...
※ 멸치액젓
생멸치75% 국내산 천일염25%
3년 숙성으로 맛이 좋습니다.
유통기한은 25년 8월이며 작업할때 수시로 바뀝니다.
더 자세한 안내는 동영상에서 확인 가능 하십니다.
(예금주: 탁광필 010 3167 7150 국민)
(예금주: 탁광필 356-1296-6176-33 농협)
10kg 판매가 : 38,000원
...
※ 젓갈 쌈장
갈치67%입니다 (사진에 양념 표시 되어 있어요)
받으시면 냉장보관하세요
드실때 덜어서 취향대로 쪽파,깨소금 넣어서 드세요.
1kg은 그릇에 담고, 4kg은 봉지에 담겨져 있고, 16kg은 1깡 입니다.
더 자세한 안내는 동영상에서 확인 가능 하십니다.
(예금주: 탁광필 010 3167 7150 국민)
(예금주: 탁광필 356-1296-6176-33 농협)
1kg 판매가 : 18,000원
4kg 판매가 : 51,000원 김영자님
16kg 판매가 : 160,000원
...
맛있게 드시고 건강하세요.
감사합니다.
. 주문자 : (이름 / 전화번호) :
. 받는사람 : (이름 / 전화번호) :
. 주소 :
. 상품명 / 수량 :
. 입금자명 :
. 추가말씀 :
댓글
댓글 리스트-
해당 댓글은 작성자와 운영진만 볼 수 있습니다.
-
해당 댓글은 작성자와 운영진만 볼 수 있습니다.
-
작성자탁선장 작성자 본인 여부 작성자 작성시간 24.05.13 ..........................................................판매 마감합니다...........................................................
......................................................즐거운 연휴 보내세요............................................. -
작성자솜사탕 작성시간 24.05.13 혹시저희암꽃게3키로숫꽃게3키로주문해서127000원입금했는데확인하셨나요?
-
답댓글 작성자탁선장 작성자 본인 여부 작성자 작성시간 24.05.14 네
