반건조백조기 손질 및 건조전 2kg 20미내외 1세트 1만2천원 아주 저렴하게 있어요~!!

작성자진도생선마을|작성시간20.06.07|조회수278 목록 댓글 0

* 판매제품 명칭:  반건조생선
* 품종(모델)명: 반건조생선

* 생산자(제조자) 이름: 
* 집주소(번지까지 기재) : 전남 진도군 임회면 십일시길 32 진도생선마을 
농장(공장)주소(번지까지 기재) : 전남 진도군 임회면 십일시길 32 진도생선마을 

* 판매자 본인의 사진

* 농장(공장/회사)전경사진 2장: 




* 간단한 자기 소개: 진도해역의 수산물을 저렴하게 전해드리고자 노력하는 진도생선마을입니다

* 판매제품 소개서(6하원칙으로 상세히 기재) 

안녕하세요~ 진도생선마을입니다

맛있게 반건조한 백조기를소개합니다~





반건조백조기

손질 및 건조전 2kg 20미내외

1세트 1만2천원입니다

크기는 일정하지 않은 점

참고부탁드려요~

비늘 손질해서

소금간 해서 직접 반건조했어요~

(크기가 고르지 않은 점 참고부탁드려요~~~)

부담없이!! 맛나게 드세요^^

반건조 우럭을 소개합니다






반건조 우럭


손질 및 건조전 3미 1.6kg 내외

1세트 2만원입니다

깔끔하게 손질하여 소금간 후

직접 반건조해서 보내드려요~


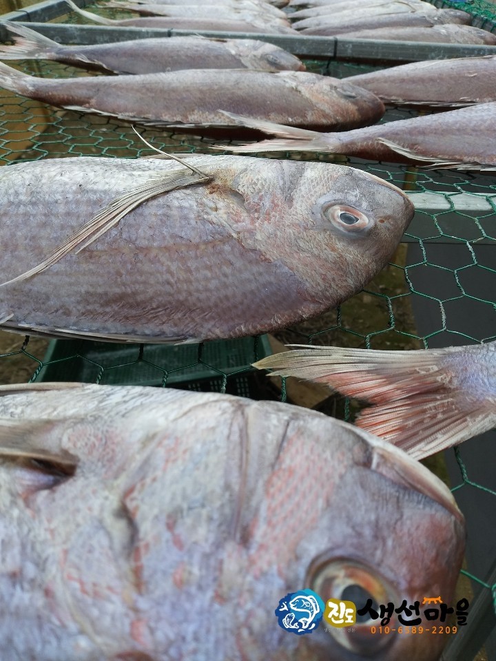
반건조참돔을 소개합니다





반건조 참돔(대)

손질 전 1미 1kg내외

2미 1세트 2만원입니다

깔끔하게 손질하여 소금간 후

직접 반건조해서 보내드려요~


맛있는 반건조 병어를 소개합니다~!!




반건조 병어

손질 및 건조전 1kg 5~6미내외

1세트 1만8천원입니다


구이용으로 깔끔하게 손질후

소금간하여 직접 반건조했어요~^^


반건조 민어를 소개합니다





반건조 민어

손질전 3미 2kg내외

1세트 2만8천원입니다


민어 맛있는거 아시죠~?? ^^

사진처럼 구이용으로 손질후

소금간 해서 직접 반건조해서 보내드려요~^^


맛있는 반건조 농어를 소개합니다




반건조농어

손질 및 건조전 3미 3.5kg 내외로

3미 1세트 2만원입니다


반건조 간재미도 소개합니다~





반건조 간재미

손질 및 건조전 2kg 3~4미내외

1세트 1만 6천원입니다

손질비는 무료입니다!!

간재미는 전라도맛집에서는 아주 유명하죠 

깔끔하게 손질 후 

직접 반건조했어요~

찜으로 드시면 맛나요~^^





택배비는 우체국택배로 별도4천원입니다

정성껏 포장해서 보내드리겠습니다~!


(판매제품의 사진 아래에 제품가격을 표시)


* 입금 계좌번호 및 에금주명: 농협 352 1488 4408 73 장은경(진도생선마을)
* 판매자 휴대전화번호: 010 6589 2209
위 전화 불통시 비상연락전화: 061-544-6667

* 판매시 취득한 귀농사모 회원님의 주소 및 전화번호등 개인정보는 택배발송 이외에 개인 물건 홍보등의 다른용도로 사용하지 않으며 판매종료 및 규정위반강퇴 및 활동중지시 취득한 개인정보는 카페지기에게 보낸 후 폐기하며 이를 타인에게 누설하거나 유출 및 분실시 발생하는 민형사상 모든 책임은 제가 집니다.
9층 '판매제안서 쓰는곳'의 공지된 판매 규정과 아래 내용을 준수하고 위반시 무통보강퇴해도 됩니다.

* 주문방법
1) 아래 주문서를 작성하여 댓글이나 비밀댓글을 쓰시면 됩니다.
2) 댓글로 '주문합니다'라고 만 적으시고 휴대번화 문자나 쪽지로 아래 주문서를 보내셔도 됩니다
2) 댓글을 달지 않고 쪽지나 휴대전화 문자 만 보내면 댓글 닉네임과 문자 이름이 다른 경우가 많아 배송문제 발생시 대응이 불가하거나 늦어 집니다. 그런경우 책임지지 않습니다.
3) 준회원이신 경우엔 쪽지와 메일 보내기가 안됩니다. 댓글이나 비밀뎃글 또는 문자로 주문서 보내주세요.

[물품주문서]
ㆍ구매 상품명:
ㆍ수 량:
ㆍ입금액:
ㆍ입금자명:
입금자 휴대전화번호:

ㆍ 택배수령자 이름:
ㆍ수령자 휴대전화번호:
ㆍ수령자 주소:
ㆍ 남기실 말씀:

        



다음검색
현재 게시글 추가 기능 열기

댓글

댓글 리스트
맨위로

카페 검색

카페 검색어 입력폼