용담호 붕어즙6박스할인판매(한달분10만원)3박스남음(완료)

작성자용담호 어부|작성시간22.02.24|조회수501 목록 댓글 26

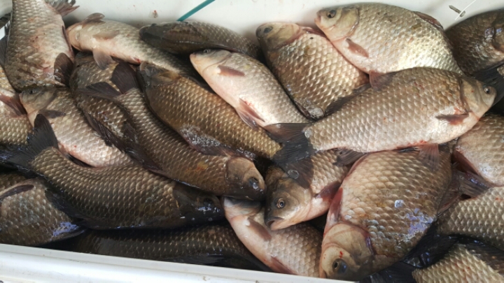
* 판매제품 명칭:토종붕어(판매완료)
* 품종(모델)명:붕어즙

* 생산자(제조자) 이름:황영신
* 집주소(번지까지 기재) : 진안군 상전면 외송길20
농장(공장)주소(번지까지 기재) :

* 판매자 본인의 사진

* 농장(공장/회사)전경사진 2장:

* 간단한 자기 소개:전북 진안 용담호에서 직접고기잡는어부입니다

* 판매제품 소개서(6하원칙으로 상세히 기재)

* 생산과정 사진5장 이상:

* 제품포장전 내용물의 사진:

* 포장 후 발송전 박스의 사진:

* 판매가격:붕어즙1달분65봉:100000원
(판매제품의 사진 아래에 제품가격을 표시)

* 입금 계좌번호 및 에금주명:황영신 농협517~12~117092
* 판매자 휴대전화번호:010~4656~9792
위 전화 불통시 비상연락전화:

* 판매시 취득한 귀농사모 회원님의 주소 및 전화번호등 개인정보는 택배발송 이외에 개인 물건 홍보등의 다른용도로 사용하지 않으며 판매종료 및 규정위반강퇴 및 활동중지시 취득한 개인정보는 카페지기에게 보낸 후 폐기하며 이를 타인에게 누설하거나 유출 및 분실시 발생하는 민형사상 모든 책임은 제가 집니다.
9층 '판매제안서 쓰는곳'의 공지된 판매 규정과 아래 내용을 준수하고 위반시 무통보강퇴해도 됩니다.

* 주문방법
1) 아래 주문서를 작성하여 댓글이나 비밀댓글을 쓰시면 됩니다.
2) 댓글로 '주문합니다'라고 만 적으시고 휴대번화 문자나 쪽지로 아래 주문서를 보내셔도 됩니다
2) 댓글을 달지 않고 쪽지나 휴대전화 문자 만 보내면 댓글 닉네임과 문자 이름이 다른 경우가 많아 배송문제 발생시 대응이 불가하거나 늦어 집니다. 그런경우 책임지지 않습니다.
3) 준회원이신 경우엔 쪽지와 메일 보내기가 안됩니다. 댓글이나 비밀뎃글 또는 문자로 주문서 보내주세요.

[물품주문서]
ㆍ구매 상품명:
ㆍ수 량:
ㆍ입금액:
ㆍ입금자명:
입금자 휴대전화번호:

ㆍ 택배수령자 이름:
ㆍ수령자 휴대전화번호:
ㆍ수령자 주소:
ㆍ 남기실 말씀:

[유의사항]
- 이곳은 카페의 정기모임과 판매자워크숍에 참석하기 어려운분들의 요청으로
- 입점비를 정하고 판매하겠다는 요청으로 만든 방입니다.
- 9층 직거래장터의 기존 판매자들의 물품과 중복되지 않는 제철, 단품, 소량, 긴급매각등의 농림축산 수산식품 만 판매 가능 합니다.
- 담당자에게 미리 전화로 판매상담을 하시고 글을 작성 해 주시기 바랍니다. 010-7345-3344

붕어가 제법잡혀서 한달분65봉 한박스에 10만원씩 할인판매합니다 6박스만 판매할께요 1박스에 붕어8키로하고 십전대보약재와 생강 마늘 메주콩넣어서 잘다려드릴께요 주문 입금하시면 다음주에 발송가능합니다^^


저멀리 마이산이보시시나요?

붕어즙은 한박스가 한달분65봉정도~두박스는 두달분130봉정도 나옵니다 가격은 1박스10만원에 드릴께요^^

다음검색
현재 게시글 추가 기능 열기

댓글

댓글 리스트
  • 해당 댓글은 작성자와 운영진만 볼 수 있습니다.
  • 해당 댓글은 작성자와 운영진만 볼 수 있습니다.
  • 해당 댓글은 작성자와 운영진만 볼 수 있습니다.
  • 해당 댓글은 작성자와 운영진만 볼 수 있습니다.
  • 해당 댓글은 작성자와 운영진만 볼 수 있습니다.
댓글 전체보기
맨위로

카페 검색

카페 검색어 입력폼