[판매완료] 제철 보양식!!자연산 활 갯장어(하모)/특大병어/大전복/반건조 참조기

작성자청년수산|작성시간24.07.22|조회수255 목록 댓글 3

* 농장(공장/회사)전경(사진 2장):

* 판매제품 소개서(6하원칙으로 자유기재)


* 판매제품 동영상 (3분이내)
 
*생산/재배과정(사진5장 이상)

* 제품(택배)포장전 내용물의 사진:
* 가공품의 경우 가공전 및 가공후 사진 :
* 포장전 (택배)포장 후 박스의 사진:
* 제품(제조) 인허가 및 인증서:
* 각종 등록증:

* 판매 제품의 품목별 사진(사진 아래에 제품가격을 각각 표시)

* 판매가격:
(위 품목별 사진 아래에 제품가격을 표시)
 
* 위 판매 가격일람표(품목이 많은 경우기재)

* 판매계좌번호/은행명/예금주명 : 계좌번호 : 농협 351 1098 4321 63 (김아름:목포청년수산)
* 판매자 휴대전화번호: 010-8801-8511

* 판매시 취득한 귀농사모 회원님의 주소 및 전화번호등 개인정보는 택배발송 이외에 문자발송 카톡발송등 개인 물건 홍보등의 다른용도로 사용하지 않으며, 판매종료 및 규정위반강퇴 및 활동중지시 위에 취득한 개인정보는 카페지기에게 보낸 후 폐기합니다. 이를 타인에게 누설하거나 유출 및 분실시 발생하는 민형사상 모든 책임은 제가 집니다.

* 주문방법
1) 아래 주문서를 작성하여 '반드시 댓글이나 비밀댓글'로 주문해 주시면 됩니다.
  쪽지나 문자로 보내지 마세요.
  댓글로 해야 근거가 남기때문에 문제발생시 처리 근거가 명확하여 분쟁이 최소화 됩니다.
2) 댓글을 달지 않고 문자 만 보내면, 택배 발송시 누락등의 문제가 발생할 때 대응이 불가하거나 늦어 집니다. 그런경우 책임지지 않습니다.
[주문서] 
ㆍ구매 상품명: 
ㆍ수 량: 
ㆍ입금액: 
ㆍ입금자명:
  입금자 휴대전화번호: 

ㆍ 택배수령자 이름: 
ㆍ 수령자 휴대전화번호: 
ㆍ 수령자 주소:

 

사업자 등록번호 : 130-94-19871

통신판매 등록번호 : 제 2019-전남목포-0347호

 

계좌번호 : 농협 351 1098 4321 63 (김아름:목포청년수산)

 

안녕하세요

목포청년수산입니다

매일매일 목포선어위판장, 목포활어판장

타 지역 어판장까지 당일 위판받은

싱싱한 제철 수산물을 판매합니다

 

100% 국내산, 자연산, 당일경매, 당일발송으로

휴일을 제외한 매일 새벽5시부터 경매 입찰하여

중간 마진 없이 저렴하게 회원님들에게

배송될수 있도록 열심히 달려볼게요!!

 

 

 

로젠택배로 발송됩니다

(도서 산간이나, 우체국 택배 발송을 원하시면 추가요금 3,000원 발생되오니 참고바랍니다)

 

 

 

 

 

▣ 오늘 판매 상품 ▣

24년산 최상품 신안 참새우젓(육젓)

완도 활 전복/ 생물 특大병어

자연산 활 갯장어

반건조 참서대/ 반건조 참조기

달병어포/ 반건조 부세조기

건조 황석어(깡다리)

준비했습니다

꼼꼼히 살펴 보시고 구매하시길 바랍니다

◆ 합배송시 택배비는 한번만 부담되세요 ◆

 

 

 

 

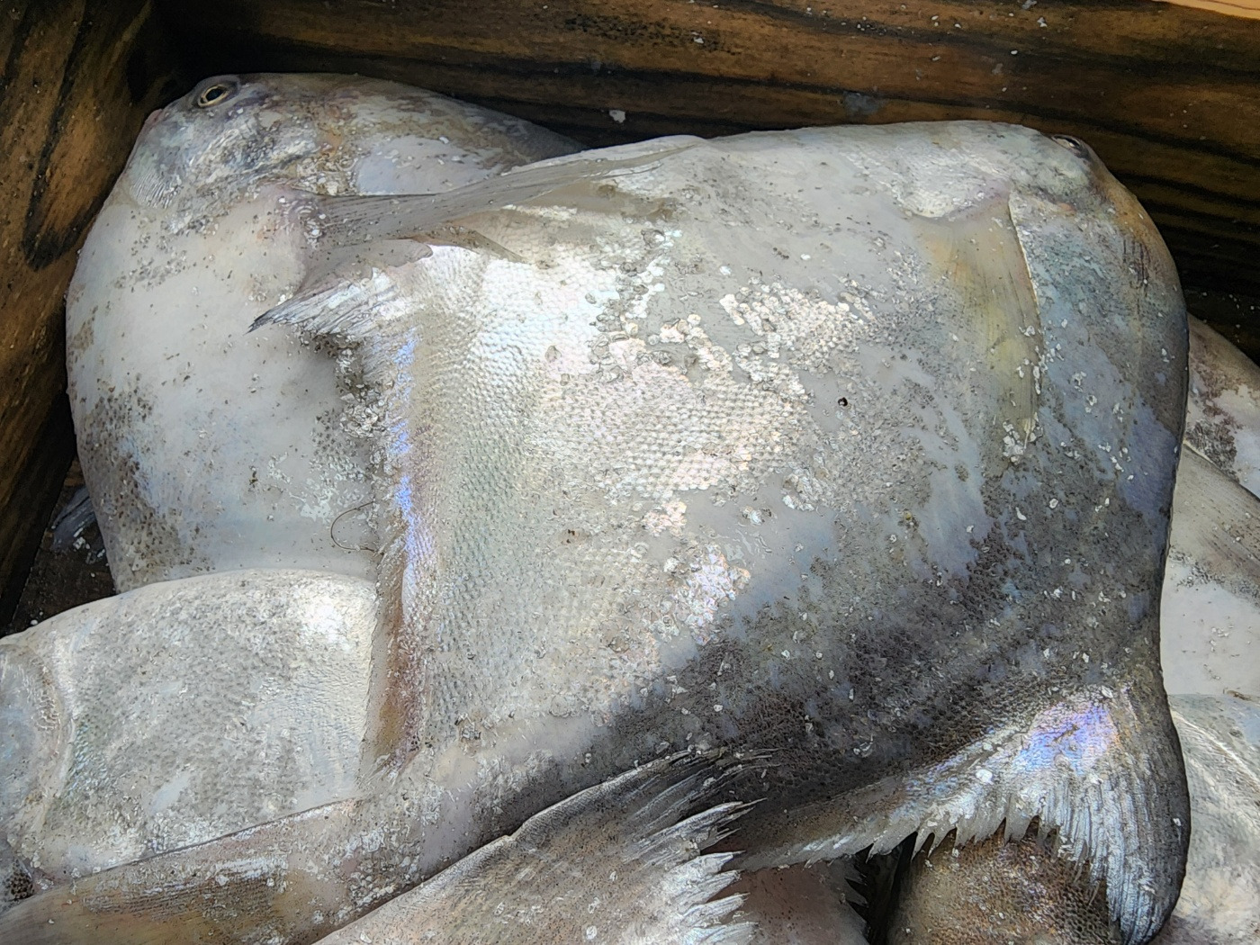
첫번째 판매상품

★ 생물 10미 특大병어 ★

2미(1.3kg내외) : 57,000원

(택배비 4,000원 별도)

목포 어판장에서 가장 큰씨알

한상자 10미 담아지는 특大병어입니다

20미 병어중에서도 가장 큰 사이즈로

담아지는 10미 병어입니다

이렇게 큰 병어는 저도 몇번 보질 못했네요

그만큼 크기가 좋습니다

안강망 어선의 특大병어라 선도가 더욱 좋습니다

제찬용으로 사용하셔도 좋고

선물용으로도 좋습니다

마리당 평균 500~700g내외입니다

생물이기에 크기 편차가 있습니다

큰사이즈에 비해 작은거 한마리

들어갈수 있습니다 참고하세요

사진 보시면 은빛 비늘이 많이 붙어

아주 싱싱하고 좋습니다

 

 

두번째 판매상품

★ 자연산 활 大갯장어 ★

2kg(3미 내외) : 31,000원

(택배비 4,000원 별도)

지금 제철, 여름 보양식으로 드시면 좋은

자연산 활 갯장어입니다

샤브샤브나 탕으로 드시면 제철이라

아주 고소하니 맛이 좋습니다

기본손질 후 잔 칼질해서 발송드릴게요

샤브샤브나 탕으로 드세요

갯장어는 붕장어와 다르게 잔가시가

많은 생선이니 이점 참고하시고 구매하세요

 

세번째 판매상품

★ 大 활전복 ★

1kg : 34,000원

2kg : 66,000원

(배송비 포함된 금액입니다)

금일 오후 1시까지 주문주시면

오늘 발송됩니다

1kg기준 8~9미 大사이즈입니다

오늘 완도 산지에서 특별한 가격으로

준비했습니다

전복회 또는 찜 볶음 등등으로

맛있게 드세요

선물용으로도 손색없는 사이즈입니다

해수와 함께 산소포장으로 발송됩니다

모두 살아서 도착합니다

전복은 타 물품과 합포장이 어렵습니다

 

 

네번째 판매상품

★ 반건조 참조기(굴비) ★

2팩 40미(2.2kg) : 38,000원

4팩 80미(4.4kg) : 74,000원

(택배비 4,000원별도)

싱싱하고 소금간이 기가막힌

반건조 참조기입니다

요즘처럼 참조기가 귀할까요

품귀현상이 있을정도로 구하기가 힘듭니다

굴비의 고장 영광에서 전통방식인

섶간으로 소금간을 해서 더욱 맛이 좋습니다

한번 맛보시면 다시 찾게 되실거에요

맛이 없으면 말씀해주세요!! 그만큼 맛이 좋습니다

이번에 운좋게 대량으로 매입했으니

아주 저렴한 가격으로 판매할께요

1팩 기준 20마리 담아지며 중량은 1.1kg이상입니다

마리당 18cm내외입니다

받으시면 겉에만 살짝 헹궈서 구우셔도 되고

그냥 바로 구우셔도 됩니다

 

 

다섯번째 판매상품

★ 건조 황석어(국내산)★

1팩(1kg내외) : 25,000원

2팩(2kg내외) : 48,000원

(택배비 4,000원 별도)

잘 건조된 황석어 입니다

건조 과정이 너무나 힘들고

시간이 걸리는 작업이라 왠만해서

구하기 힘든 건조 황석어 입니다

이번 상품은 건조 상태가 아주 좋네요

조림이나 반찬으로 드시면 맛있습니다

황석어 아랫턱 뼈는 조금 단단하여

때고 드시면 더욱 뼈채 드시기 편합니다

아래 사진 잘보시고 구매하시기 바랍니다

 

 

여섯번째 판매상품

★ 자연산 반건조 특大박대(참서대) ★

◆ 건조 후 900g내외 5미 ◆

1세트 (5미 900g내외) : 34,000원

2세트(10미 1.8kg내외) : 66,000원

(택배비 4,000원 별도)

조림이나 찜으로 드시면 맛있는

고급 생선 반건조 박대(참서대)입니다

당연히 국내에서 어획된 자연산 입니다

신안 지도어판장에서 매입 후

당일 건조 작업해서 아주 싱싱합니다

이번 작업한 박대는 가장 큰사이즈로 생물일때

마리당 230그람 내외정도로 특大사이즈입니다

박대는 성어가 되도 마리당 1키로가 넘어가는

사이즈는 없습니다 그만큼 작은 어종이에요

박대는 작아도 살이 통통해서 먹을게 많습니다

한마리씩 진공포장해서 발송드립니다

생물로 작업하여 크기 차이 있습니다

 

 

일곱번째 판매상품

★ 반건조 부세조기 ★

5마리 : 33,000원

10마리 : 64,000원

(택배비 4,000원 별도)

정성들여서 준비한 반건조 부세조기입니다

직접 비늘치고 소금간 해서 냉풍건조기에서

작업한 상품 부세조기입니다

일반 보리굴비보다는 덜 건조된 상태이고

일반 반건조 참조기보다는 조금 더

건조된 상태입니다

직접 건조하여 가격이 아주 저렴합니다

어제 몇마리 시식했는데 특유의 고소한

맛이 좋았습니다

구이로 드셔도 되고 양념장 올려서

찜으로 드셔도 맛있습니다

원물은 중국산입니다 참고하세요

마리당 30센치 내외로 작은 사이즈 아닙니다

한마리면 두분이서 드실만 합니다

한마리씩 진공포장해서 발송드립니다

 

여덟번째 판매상품

★ 달병어 포(냉동) ★

1kg(1팩) : 18,000원

2kg(2팩) : 34,000원

(택배비 4,000원 별도)

일명 달고기라고 하는 생선이구요

흰살 생선이라 비릿내가 없습니다

명절에 전감으로 사용하셔도 좋고

아이들 이유식,생선가스 등등으로

드시면 좋습니다

한장씩 냉동 된것이라 드시기 편리합니다

 

 

아홉번째 판매상품

★ 2024년산 최상품 신안 육젓 ★

1통(2kg이상) : 49,000원

2통 : 98,000원

3통 : 145,000원

4통 : 190,000원

(택배비 4,000원 별도)

올해도 마찬가지로 언제나 최상급으로

준비했습니다, 매년 새우젓을 준비해드리면서

느끼는거지만, 최상급!! 즉 가격이 비싼 새우젓은

그만큼 제 값을 하는거 같습니다 씨알도 고르고

사이즈도 크고 그렇습니다... 올해는 새우젓

어획량이 좋은만큼 작년보다 가격이 저렴해졌습니다

올해도 질 좋은 새우젓을 준비해드린만큼

충분히 만족하실거 같습니다^^

6월18일 입찰받은 빨간 막대 2개!!

최상품의 신안 참새우 육젓입니다

목포 새우젓 위판장에서 입찰 받은 상품으로

가장 최상위급의 새우젓은 빨간 막대 2개

쌍대라고 표현을 하고 그 다음 상급은 빨간 막대1개를

꼽아 상급으로 표현합니다

최상급과 상급,중급,하급으로 나누어지는 새우젓은

드럼 하나당 가격 차이가 몇 백만원 이상이 차이가 나고

최상급의 육젓은 씨알이 고르고 간수를 일절 넣지 않고

새우젓 국물만 담겨져 있습니다

통 상단 까지 육젓으로 가득 채워 보내드립니다

육젓은 씨알도 좋고 오로지 천일염으로만

젓을 담그기에 고춧가루만 뿌려 무쳐드셔도 맛나요^^

100%국내산 엄선 최상급 육젓입니다

2kg 한통 실량은 2.1kg이상 담아 보내드려요

저렴한 가격으로 육젓 맛 보세요~

보관 방법으로는 현재 숙성상태가 아니므로

냉장보관 4~5개월 하시면 더욱 감칠맛이 좋아집니다

냉동 보관시 2년도 가능합니다 얼지 않습니다^^

최대 4통 합포장이 가능합니다

 

 

 

농협 351 1098 4321 63

(김아름:목포청년수산)

 

 

*궁금하신 사항은 010. 8801. 8511 전화 or 문자 주시면 감사하겠습니다

 

 

주문양식 - 비밀댓글로 문의 부탁드립니다

 

주문자 : (이름 전화번호) :

받는사람 : (이름 전화번호) :

주소 :

상품명 수량 :

입금자명 :

추가말씀 :

다음검색
현재 게시글 추가 기능 열기

댓글

댓글 리스트
  • 해당 댓글은 작성자와 운영진만 볼 수 있습니다.
  • 해당 댓글은 작성자와 운영진만 볼 수 있습니다.
  • 해당 댓글은 작성자와 운영진만 볼 수 있습니다.
댓글 전체보기
맨위로

카페 검색

카페 검색어 입력폼