CAFE

─*자연산약초

천궁 효능

작성자이명희|작성시간24.03.04|조회수135 목록 댓글 0

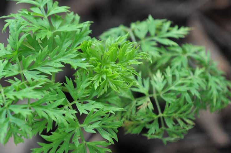
천궁 구분방법
들에서 있는 왜당귀와 모양이 비슷하며, 키가 훨씬 작고 잎이 잘게 찢어져 있고, 뿌리에서 좋은 향이 난다. 중국 사천성에 나는 궁궁이라 해서 붙혀진 명칭이다. 궁궁이는 미나리과 식물로 야생에서 자란 것이고 천궁은 양식이다.
크기는 30~60cm정도로 중국이 원산지이며, 약용식물로 양식을 많이 한다. 뿌리가 굵고 진갈색을 띤다. 줄기는 약간 옆으로 굽어자라며 속이 비어 있는게 특징이다. 줄기 아랫쪽이 붉은 색이고, 가지가 갈라진 곳에 마디가 있다. 긴 잎자루에 길쭉한 잎들이 여러 장씩 붙어 난다. 잎끝은 잘게 갈라진다.

 

 

천궁의 효능
주로 뿌리를 약으로 사용하며, 기와 혈을 잘 돌게 하고, 피를 맑게 하고, 기를 보충하고, 통증과 경련을 완화시키며, 살균 작용을 한다.
동의보감에서 천궁은 “약기운이 머리와 눈에서부터 자궁에까지 이르며, 풍으로 치료하는데 없어서는 안된다.”라고 하였다.

 

 

천궁의 효능을 올바르게 사용하는 방법
풍기, 고혈압, 협심증, 간질 발작, 치통이나 생리통이 심할 때, 산후에 어혈이 남아 배가 아플 때, 관절이 쑤시고 아플 때, 근육 마비, 타박상, 두통이나 빈혈증상, 피로누적, 소변에 혈이 섞여 나올 때 등에는 뿌리를 달여서 마시면 좋아진다.
그리고 빈혈, 심장이 안좋을 때, 고지혈증에는 뿌리를 소주에 1년간 숙성시킨 후 한잔하면.. 크!~~~~
혈액순환이 안될 때, 팔다리가 차고 아플 때, 여성의 아랫배가 찰 때는 뿌리를 달인 물로 목욕을 하면 온몸이 나른 해지면서.. 홍콩간다.!~

 

 

복용시 주의사항
기와 피를 잘 돌게 하는 약재이므로 원기가 약한 사람, 다리가 부실한 사람, 땀이 많은 사람, 만성, 소모성 질환을 앓는 사람은 먹지 않는게 좋다.
오래 복용하면 고열, 고혈압, 숨가쁜 증상이 올수 있으므로 정량만 복용한다.

다음검색
현재 게시글 추가 기능 열기

댓글

댓글 리스트
맨위로

카페 검색

카페 검색어 입력폼