CAFE

(구)제주도여행

제주도 잠수함 체험 추천 여기가 제일 좋더라 11월 행사도 놓치지말기

작성자제주선일 제주모바일쿠폰|작성시간19.11.05|조회수1,188 목록 댓글 0

제주에서 할 수 있는 체험 중에서 가장 기억에 오래 남을만한 체험이 [ 잠수함 타보기 ] 가 아닐까 해요 .

오늘은 제주도에 있는 잠수함 중에서 제가 타보니 가장 좋더라 싶었떤 [ 우도잠수함 ] 후기를 남겨볼까 합니다.






일단 우도잠수함은 ' 제주도 동쪽 끝 ' 성산항에서 탈 수 있어요 .

주변에는 성산일출봉과 성산일출봉이 보이는 광치기해변 , 아쿠아플라넷 제주와

억새가득 섭지코지가 있으며 성산항에서 배를 타면 우도에도 들어갈 수 있으니 참고하시구요 .






성산항에가서 티켓팅도 되지만 ' 잠수함 ' 자체가 탈수 있는 승선인원이 정해져있기때문에

단체관람객이라도 있다 싶으면 한없이 기다리거나 못타볼수도 있거든요 .

그래서 저는 [ 예약 ] 을 필수로 하시길 추천드려요 .






예약은 [ 우도잠수함 ] 이라고 검색하시면 나오는 포털사이트에서 하시면 되고요 .

매달 이벤트를 통해서 다른곳에서 예약하는것보다 더 저렴하게 이용할 수 있게 해주시니 더 좋답니다.





10월에는 우도잠수함에서 해경, 의경, 경찰 가족 50% 할인 이벤트를 했었는데요 .

현재는 우도잠수함 예약객에 한해 우도 제트보트 50% 할인을 해주고 있더라구요 .

용감한 6세~7세부터 건강한 70대 어르신들까지 다함께 탈 수 있는것이 바로 ' 제트보트 ' !

수상레저 체험중에서 가장 재밌게 스릴있으면서도 온가족이 다함께 탈수있는 것이다보니

저는 이 제트보트도 추천드리고 싶어요.^^






자, 그러면 ! 이야기를 이어나가 볼까요 ?

우도잠수함 홈페이지에서 예약을 하셨다면 성산항으로 잠수함 시간 보다 20~30분 이전에 도착하셔야 하구요 .

( 넉넉잡아 30분 이전에 도착하는게 제일 좋더라구요 )

인원에 맞게 승선신고서를 작성후에 우도잠수함 매표소에서 티켓팅을 하시면 됩니다.








참고로 우도잠수함을 타실경우 매표소에서 50% 할인된 금액으로 우도 도항선 매표도 할수있어요 .

만약 우도에 다녀올 예정이시라면 우도잠수함을 먼저 타시고

50% 할인된 금액으로 도항선 표를 구매하신뒤에 잠수함 체험 뒤 다녀오시면 딱 좋아요 .

우도에서 돌아오는 배는 마지막 배가 약 오후 5시쯤이니까 시간분배는 잘 하시구요 ^^






잠수함은요 .

일단 티켓팅 후 대기하다가 안내방송에 따라 움직이시는데요 .

배를 타고 우도잠수함이 있는 곳 까지 간답니다.

여기서 잠깐, 어떤이들은 이 우도잠수함을 타고 우도까지 간다고 아시던데 아닙니다^^;

우도잠수함을 타고 난 뒤에 다시 성산항으로 돌아오고 성산항에서 다시 배를 타고 우도로 가는거예요~~

( 우도까지는 성산항에서 10분거리밖에 되지않아서 멀미는 전혀없었어요 )






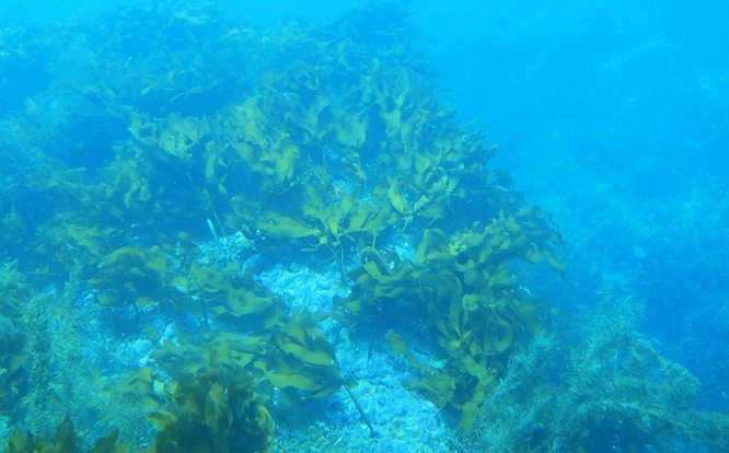
잠수함에 타면 우리 잠수함이 몇미터까지 어떻게 내려가는지 화면으로 쭈욱 보이구요 .

스킨스쿠버 선생님께서 물고기떼를 모고 오시면 아주 신나게 구경하면됩니다.







이렇게 좌석은 양쪽으로 되어있고 앞에는 대부분 어린친구들이 앉고 그 뒤로 보호자분들이 앉아요 .

만석이 아니면 다들 앞에서 볼수있으니 걱정은 노노

그리고 뒤에서도 잘 보여요 ^^







물고기떼도 만나고 산호들도 만나고

바닷속 세상에 있는 모든것들은 다 만납니다.ㅎㅎ







특히 우도잠수함은 다른 잠수함에 비해 더 볼거리가 많다는게 특징이구요 .

방송으로 계속 설명을 해주시기때문에 ( 녹음파일 ) 이해하는데도 도움이 되었어요 .







제주도 잠수함 체험 추천 ' 우도잠수함 '







개인적으로 만약 여행코스를 짠다면

우도잠수함 ( 오전 ) - 우도여행 ( 점심 / 카페 휴식포함 ) - 아쿠아플라넷 제주 (3시간) 이렇게 짜도 좋을것 같구요.

만약 우도에서 1박을 하신다고 하면

아쿠아플라넷 제주 & 섭지코지 + 점심 - 광치기해변 - 우도잠수함 - 우도입도

이렇게 해보셔도 좋을것 같습니다.







우도잠수함은 타기전에 사진을 찍는데 그 사진은 현상을 해서 우도 해저 탐험증으로 돌려주신답니다.

사진은 딱 1장만 주시니까 만약 대 가족이라면 인원을 나눠서 찍으시던가

찍으실때 딜을해보세요 ㅎㅎ

우리가 이렇게 나눠서 찍을수도있지만 단체로 찍은걸 두장 정도 줄수는없겠냐 뭐 이렇게요 ㅎㅎ

( 이건 우도잠수함측과 이야기해보세요 제 이야기는 효력(?)이 전혀없습니다^^;;;)






어찌되었거나 좋은 이벤트 중이니 제트보트도 함께 타보시구요.






잠수함 타시고 그냥 성산 주변 돌아보고 싶으시다는 분들은





이렇게 더클라우드호텔 근처에서 성산일출봉과 우도가 보이니 구경가보셔도 좋겠고





성산일출봉이 멋지게 보이는 광치기해변을 걸어보셔도 좋겠습니다.





더블클릭을 하시면 이미지를 수정할 수 있습니다




아름다운 제주도 ,


여러분 혼저 옵서예


^---------------------^







다음검색
현재 게시글 추가 기능 열기

댓글

댓글 리스트
맨위로

카페 검색

카페 검색어 입력폼