CAFE

나무 이야기

참나무의 종류와 특성, 구분법

작성자솔바람(정만순)|작성시간17.07.25|조회수264 목록 댓글 0




참나무의 종류와 특성, 구분법

 

참나무, 굴참나무, 신갈나무, 떡갈나무, 졸참나무, 상수리나무 / 통틀어 참나무라 한다.

한국의 산은 참나무가 반이다. 줄기와 잎과 도토리로 구분이 가능하다.

떡갈나무와 신갈나무의 잎이 가장 크고 모양도 비슷하다.

신갈나무가 떡갈나무보다 톱니 수가 더 많다.

가장 큰 차이는 신갈나무에는 없는 털이 떡갈나무 잎 뒷면에는 있다는 것이다.

만져 보면 신갈나무 뒷면은 매끈매끈하고 떡갈나무는 잔털이 있어 거칠다.

상수리나무와 굴참나무 잎은 밤나무 잎과 비슷하게 생겼다.

서로 매우 비슷하나 잎 뒷면이 앞면과 같은 색인 상수리 나무와 달리 굴참나무는 흰빛이

돈다는게 다르다.

그래서 굴참나무 숲에 바람이 불면 흰빛 파도가 이는 것 같다.

굴참나무 껍질은 벗겨서 지붕(굴피집)을 이을 만큼 코르크가 발달돼 있는 것도 차이의 하나다.

졸참나무와 갈참나무는 떡갈나무나 신갈나무와 잎 모양이 비슷하지만 작고 잎자루가 있다는

게 다르다.

졸참나무 잎이 참나무 가운데 가장 작다.

길쭉한 모양의 졸참나무 열매가 갈참나무와 가장 큰 차이다

 

-최성현- 《바보 이반의 산 이야기,》 중에서

 


<참나무가족 6종>

 

도토리가 열리는 나무를 통틀어 '참나무'라고 합니다.

참나무의 '참'은 진짜란 뜻이지만 실제 식물분류시 참나무 인것은 없답니다.

 

일반적으로 참나무과(科) 참나무속(屬)에 속하는 도토리가 달리는 낙엽활엽수를 통틀어서

지칭하는 것으로 보면 무난할 듯 하다.

참나무속에 속하는 상록활엽수는 가시나무(개가시,붉가시,종가시,졸가시,가시나무등)로

부르기때문이다.

 

참나무의 종류의 수직 분포를 보면 보편적으로 600여미터의 산으로 볼때 아랫쪽인 산에는

졸참나무와 갈참나무가, 중간인 산에는 상수리나무와 굴참나무가, 꼭대기인 산에는

떡갈나무와 신갈나무가 주로 자리잡고 있다.

 참나무가족 기본6종을 구분할 수 있는 방법에는 다음과 같습니다.

이름

잎모양

열매모양

특징

떡갈나무

 

 

 

 

 

 

 

 

1. 가장자리는 큰 파도형 참나무 중 

   가장 큰 잎이다.

2. 잎자루가 없다.

3. 참나무 중 가장 큰 열매

4. 잎의 뒷면에 털이 많다.

신갈나무

 

 

 

 

1. 나무껍질은 은빛이 나는 흑갈색

2. 높은 산이나 건조한 산등성이에 

   흔하게 자람

3. 잎자루가 없다

4. 가지나 잎의 뒷면에 털이 없다.

굴참나무

 

 

 

 

1. 잎 뒷면에 회백색 털이 밀생

2. 열매의 모양은 구형

3. 잎의 뒷면에 희백색 털이 있어 앞과

   뒷면의 잎의 색이 다르다.

 

상수리나무

 

 

 

 

1.가장자리의 침에 엽록체가 없어서

  투명 표면에 광택이 있고 뒷 면에 털

2. 열매의 모양은 구형

3. 잎의 앞, 뒷면의 색이 같다.

갈참나무

 

 

 

 

1. 잎의 아랫부분이 배모양 잎자루 

   는 붉은색, 길이는 약 2cm.

2. 열매의 끝부분에 털이 있음.

3. 잎 뒷에 털이 거의 없어 앞, 뒷면이

   색이 비슷하다.

졸참나무

 

 

 

 

1. 가장자리는 톱니형 참나무 중 

   가장 작은 잎.

2. 참나무 중 가장 작은 열매.

3. 잎 뒷면에 털이 있다.

 


 

 

* 잎의 비교

 

 

 

 

 

 

* 꼬투리의 비교

 

 

 

 

 


 

 참나무의 종류

 ◆졸참나무, ◆갈참나무,◆굴참나무,◆떡갈나무,◆상수리나무, ◆신갈나무


 1. 잎으로 분류

 

                       졸참나무                                                갈참나무

           

 

                        굴참나무                                             떡갈나무

           

 

                      상수리나무                                              신갈나무

             

 

 

졸참나무 잎 

 

갈참나무 잎

 

굴참나무 잎

 

떡갈나무 잎

 

상수리나무 잎

 

신갈나무 잎

 

참나무 이파리 모음

 

 

2. 참나무 수피로 구분

 

졸참나무 수피

 

갈참나무 수피

 

굴참나무 수피

 

떡갈나무 수피

 

상수리나무 수피

 

신갈나무 수피

 

 

3. 열매로 구분

 

졸참나무 열매

 

 

상수리나무 열매

 

 

 떡갈나무 열매

 

 

 갈참나무 열매

 

 


참나무의 종류

 

 

  

 

 

= 참 나 무 (총칭)

= 쌍떡잎식물 이판화군 참나무목 참나무과 참나무속의 총칭.

= 학 명  Quercus

= 분 류  참나무과 참나무속

= 분포지역  북반구의 온대에서 열대에 걸쳐

 

<본문>

우리 나라의 나무 중 침엽수를 대표하는 나무는 소나무이고 활엽수를 대표하는 나무는 참나무라

할 수 있다.

그러나 참나무라는 이름은 식물학적으로는 없는 이름이며 흔히 참나무라고 부르는 나무는

참나무속에 속하는

여러 수종에 대한 공통의 명칭이다.

낙엽성이며 잎의 모양이 밤나무잎처럼 날렵하고 길죽하게 생긴 상수리나무와

 굴참나무, 같은 낙엽성이면서 둥그스름하고 비교적 큰 잎을 가진 신갈나무, 갈참나무, 졸참나무

및 떡갈나무가

 흔히 말하는 참나무의 기본 6종이다.

 

 

 

 

낙엽 또는 상록교목이며 때로는 관목도 있다. 북반구의 온대에서 열대에 걸쳐 200∼250종이 자란다.

참나무는 한 속(屬)에 속하는 식물의 총칭으로 사용되지만 때로는 상수리나무를 뜻하기도 한다.

잎은 어긋나고 대부분 가장자리에 톱니가 있다.

 

꽃은 양성화이며 4∼5월에 핀다. 수꽃이삭은 새가지의 밑부분에서 밑으로 처지고,

암꽃이삭은 윗부분의 잎겨드랑이에서 곧게 선다.

도토리라고 불리는 견과(堅果)는 접시 같은 각두(殼斗) 안에 들어 있으며 타원형 또는 공 모양이다.

각두는 총포이며 겉에 포린(苞鱗)이 덮고 있다. 포린은 종에 따라 크기가 다르고 배열도 다르다.

 

 상록수류와 낙엽수류는 포린의 배열로 구별한다.

낙엽수 중에서 갈참나무 ·졸참나무 ·떡갈나무 ·신갈나무는 꽃이 핀 해에 열매가 성숙하지만 상수리나무와 굴참나무는

다음해에 성숙한다.

도토리에서 녹말을 채취하여 도토리묵을 만들어 먹으며,

특히 멧돼지와 같은 산짐승의 좋은 사료가 되어 왔다.

 

나무껍질에 타닌 함량이 많으므로 바닷가에서는 어망을 물들이는 데 사용한다.

재목은 매우 단단하여 쓰이는 곳이 많으며, 특히 술통을 만드는 재료로 유명하다.

속명의 퀘르쿠스란 켈트어의 ‘좋은 목재’라는 뜻이며, 한국어의 참나무 역시 진짜 나무라는 뜻이다.

떡갈나무의 잎은 크고 두꺼우며 향기가 있어 농촌에서는 떡을 찔 때 사용하여 왔으나,

일본에서는 떡을 싸는 데 사용하고 있다. 굴참나무에서 코르크를 채취하고, 난대지역에서는

지중해산 코르크참나무(Q. suber)를 코르크의 경제적인 생산자원으로 재배한다.

 

 

♧ 상수리나무

 

이미지를 클릭하면 원본을 보실 수 있습니다.

 

= 쌍떡잎식물 참나무목 참나무과의 낙엽교목.

= 학 명  Quercus acutissima

= 분 류  참나무과

= 분포지역  한국·중국·일본 등지

= 서식장소  산기슭의 양지바른 곳

= 크 기  높이 20∼25m

 

<본문>

산기슭의 양지바른 곳에서 자란다. 높이는 20∼25m이고 지름은 1m이다. 나무 껍질은 회색을 띤 

 갈색이고, 작은 가지에 잔털이 있으나 없어진다. 잎은 어긋나고 길이 10∼20cm의 긴 타원 모양이며 양끝이 뾰족하고 가장자리에 바늘 모양의 예리한 톱니가 있으며 12∼16쌍의 측맥이 있다.

 

잎 표면은 녹색이고 광택이 있으며, 뒷면은 노란 색을 띤 갈색의 털이 있고, 잎자루는 길이가 1∼3cm이다.

꽃은 암수한그루이고 5월에 피며, 수꽃은 어린 가지 밑 부분의 잎겨드랑이에 밑으로 처지는 미상꽃차례를 이루며 달리고, 암꽃은 어린 가지 윗부분의 잎겨드랑이에 곧게 서는 미상꽃차례를 이루며 달린다. 수꽃은 화피가 5개로 갈라지고  8개의 수술이 있으며, 암꽃은 총포로 싸이며 3개의 암술대가 있다.

 

열매는 견과이고 둥글며 다음해 10월에 익는다. 열매는 먹을 수 있으며 가축의 사료로 이용한다.

한방에서는 열매를 상실(橡實)이라는 약재로 쓰는데, 유선염에 효과가 있다.

목재는 땔감·숯·가구재·건축재 등으로 쓰이며, 잎은 누에를 기르는 데 사용한다. 한국·중국·일본 등지에 분포한다.

 

 

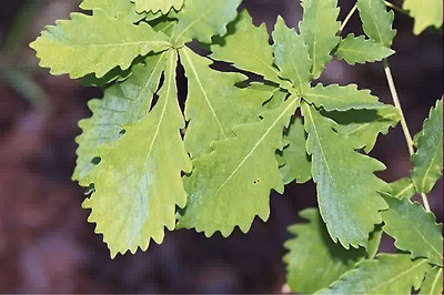
♧ 떡갈나무

 

이미지를 클릭하면 원본을 보실 수 있습니다.

 

= Quercus dentata Thunb.

= 대엽작, 대엽력

 

<본문>

떡갈나무는 참나무 종류를 대표하는 수종으로 알려져 있다.

신갈나무, 갈참나무, 졸참나무 등  잎이 넓은 참나무 종류들을 일반 사람들은 구분하지 않고

떡갈나무라고 한다.

 

시나 소설을 쓸 때도 옛 문헌을 번역할 때도 참나무종류는 모두 떡갈나무이다.

그러나 참나무의 대표로 하기에는 크고 두꺼운 잎을 가졌다는 것 외에 다른 참나무처럼 웅장하고

크게 자라지도 않고 만나기도 어려워 적당치 않다고 생각된다.

 

 나무 이름 은 새로 난 잎으로 떡을 싸 먹는다 하여 떡갈이란 이름이 붙혀 졌다.

 냉장고 속에 이 잎을 넣어 두면 불쾌한 냄새를 막을 수 있다고 한다.

전국에 자라는 낙엽활엽수 교목으로 나무높이10m, 지름 10∼20cm정도이고

낙엽 참나무속의 수종 중에는 가장 작게 자란다.

 

잎은 최대 길이 30∼40cm, 너비 20∼30cm까지 크게 자랄 수 있고 거꾸로 세운 달걀 모양이고

두꺼우며 전형적인 이저이다. 표면은 어려서 성모가 있으나 크면서 없어지고 가운데 부분에만

 잔털이 남으며 뒷면에는 갈색 털이 촘촘히 나있고 잎이 매우 두껍다. 꽃은 암수 한 나무이지만 

 암꽃과  수꽃이 따로 있는 경우도 있으며 열매는 견과이며 인편은 길고 뒤로 젖혀지며 10월에 익는다.

 

 

♧ 갈참나무

 

이미지를 클릭하면 원본을 보실 수 있습니다.

 

쌍떡잎식물 너도밤나무목 참나무과의 낙엽활엽 교목.

= 학 명  Quercus aliena

= 분 류  쌍떡잎식물 너도밤나무목 참나무과

= 분포지역  한국·일본·타이완·중국 북동부·동남 아시아의 난대·인도 등지

= 서식장소  산기슭

= 크 기  높이 25m, 지름 1m 정도

 

<본문>

산기슭에서 자란다. 높이는 25m, 지름은 1m 정도이고, 나무껍질은 그물처럼 얕게 갈라지며,

작은가지와 겨울눈에 털이 없다. 잎은 타원형으로 길이 5∼30cm, 지름 1m 정도이고, 끝은 둔한 것과

뾰족한 것이 있으며 윗면에 털이 없고 짙은 녹색이다. 잎 뒷면은 회백색이고 2~17개로 갈라진 별 

 모양의 털이 빽빽이 난다.

 

잎자루는 1∼3.6cm이며 잎 가장자리는 물결 모양 또는 굵은 이빨 모양의 톱니로 되어 있다.

꽃은 5월에 피는데 단성화(單性花)이고, 수꽃이삭은 축 늘어지며 5∼9개의 화피(花被)와 6∼14개의 수술이 있다.

암꽃은 6개의 화피와 2∼4개의 암술머리가 있다. 깍정이는 삼각형의 작은돌기로 덮여 있다.

 열매는 견과이며 길이 6~23mm, 지름 7~16mm의 타원형이고, 10월에 익으며 식용한다.

 

어린 잎은 비료로 쓰며, 목재는 기구재 ·땔감 등으로 쓰인다.

한국·일본·타이완·중국 북동부·동남 아시아의 난대·인도 등지에 분포한다.

잎 뒷면에 털이 없는 것을 청갈참(var. pellucida), 톱니가 졸참나무의 톱니같이 생긴 것을

졸갈참(var. acuteserrata), 졸갈참과 같고 잎뒷면에 털이 없는 것을 청졸갈참(var. acuteserrata for. calvescens)이라고 한다.

 

 

♧ 졸참나무

 

이미지를 클릭하면 원본을 보실 수 있습니다.

 

= 쌍떡잎식물 참나무목 참나무과의 낙엽교목.

= 학 명  Quercus serrata

= 분 류  참나무과

= 분포지역  한국·일본·중국

= 서식장소  산지

= 크 기  높이 23m

 

<본문>

굴밤나무라고도 한다. 산지에서 자란다. 높이 23m, 지름 1m에 달하며 어린 가지에 긴 털이 밀생한다.

잎은 어긋나고 달걀을 거꾸로 세운 모양의 타원형 또는 달걀 모양의 바소꼴이며 가장자리에 안으로 굽은 선상의 톱니가 있다.

 

 잎 뒷면에는 누운 짧은 털과 여러 갈래로 갈라진 별 모양의 털이 있다. 꽃은 5월에 피고 잡성(雜性) 1가화이며 수꽃이삭은 새가지 밑에서 밑으로 처지고, 암꽃이삭은 위에서 곧게 선다.

 

수꽃은 화피가 5∼8장, 수술은 3∼12개이다. 암꽃은 화피가 6장이며, 암술대는 3개이다. 열매는 

 견과이며 9 ~10월에 결실한다. 도토리는 긴 타원형이며 길이 10∼28mm로서 얕은 각두(殼斗)로

받쳐 있다.

 열매는 식용하고 나무는 생장이 빠르고 좋은 용재이며 나무껍질은 염료로 이용한다. 한국·일본·중국에 분포한다.

 

 

♧ 신갈나무

 

 이미지를 클릭하면 원본을 보실 수 있습니다.

 

 

= 쌍떡잎식물 참나무목 참나무과의 낙엽교목.

= 학 명  Quercus mongolica

= 분 류  참나무과

= 분포지역  한국, 일본, 중국, 시베리아 동부

= 자 생 지  산지

= 크 기  높이 약 30m, 지름 약 1m

 

<본문>

돌참나무·물가리나무라고도 한다. 산지에서 자라고 높은 산에서는 순림을 만든다.

높이 약 30m, 지름 약 1m에 이른다. 나무껍질은 검은빛을 띤 갈색이며 세로로 갈라지고 겨울눈은 

 달걀 모양이다.

 전체적으로 털이 없으나 잡종성은 털이 난다. 잎은 어긋나고 가지 끝에 모여 달리며 달걀을 거꾸로 세워놓은 모양이거나  긴 타원형이며 길이 7∼20cm이다. 톱니와 더불어 끝이 둥글며 잎자루는 털이 없고 길이 1∼13mm로서 매우 짧다.

 

꽃은 4∼5월에 노란빛을 띤 녹색으로 피는데, 수꽃이삭은 새 가지 밑동의 잎겨드랑이에서 밑으로 

 처지고 암꽃이삭은 윗부분에서 곧추자란다. 수꽃은 1∼17개의 수술과 3∼12개의 화피갈래조각이 

 있다.

 

암꽃은 1개 또는 여러 개가 이삭 모양으로 달리고 6개의 화피갈래조각과 1∼5개의 암술머리가 있다.

열매는 견과(堅果)로서 9월에 익으며 길이 6∼25mm, 지름 6∼20mm이다. 각두(殼斗)의 포비늘은

굽어서 등이 튀어나오고 도토리는 떨어지면 곧 싹이 난다.

 

열매를 식용하고 목재는 건축재·기구재·콜크재 등으로 쓴다.

민간에서는 나무껍질과 종자를 하혈·주름살 등에 약으로 쓰기도 한다. 한국, 일본, 중국, 시베리아 

 동부에 분포한다.

 

잎 길이 5∼9cm로서 5∼7쌍의 톱니가 있는 것을 깃참나무(var. liaotungensis)라고 한다.

신갈나무와 갈참나무의 잡종을 봉동참나무(Q.×pontungensis)라고 하며 잎에

 성모(星毛:여러 갈래로 갈라진 별 모양의 털)가 나고 각두가 갈참나무 비슷하다.

졸참나무와 신갈나무의 잡종을 물참나무(Q.×grosseserrata)라고 하며 톱니가 매우 뾰족하고 

 포비늘이 잘게 되며 작은 성모가 난다.

떡갈나무와 신갈나무의 잡종은 떡신갈나무(Q.×dentato-mongolica)라고 하며 신갈나무와 비슷한

잎에 떡갈나무와 같은

 각두가 달리는 것과, 떡갈나무 같은 잎에 신갈나무의 각두를 닮은 것이 달리는 것으로 구분하지만 중간형이 매우 복잡하다.

 

 

♧ 굴참나무 [cork oak]

 

이미지를 클릭하면 원본을 보실 수 있습니다.

 

= 쌍떡잎식물 참나무목 참나무과의 낙엽 교목.

= 학 명  Quercus variabilis

= 분 류  참나무과

= 분포지역  한국·타이완·중국·일본·티베트

= 서식장소  산기슭, 산허리 양지

= 크 기  높이 25m

 

<본문>

산기슭이나 산허리의 양지에서 자란다. 높이 25m이다. 줄기는 지름 1m 정도이며, 나무껍질은 

 코르크질이 두껍게 발달하여 두께가 10cm 정도에 이르는 것도 있다.

나무껍질은 노란빛을 띤 흰색으로 세로로 깊게 갈라진다.

잎은 어긋나고 타원형이며 뒷면에 별 모양의 흰색 털이 빽빽이 나서 회백색으로 보인다.

잎자루는 길이 3cm 정도이다.

 

5월에 끈 모양의 노란색 수꽃차례가 새가지 아랫부분에 달린다. 암꽃차례는 윗부분의 잎겨드랑이에 달린다.

수꽃은 3∼5개의 조각으로 갈라지며, 4∼5개의 수술이 있다. 암꽃은 총포로 싸이며 암술대가

3개 있다.

열매는 타원형 견과이며 다음해 9~10월에 익는다.

 

재질이 상수리나무와 비슷한데 변재는 회색빛을 띤 흰색이고, 심재는 엷은 갈색으로 좀 굳고

비중 0.98로 무겁고 거칠어서 갈라지기 쉽다.

토목용, 표고 재배용, 땔감 등으로 사용한다. 껍질의 코르크는 병마개로 쓰고, 잘게 부수어 코르크판으로 만들어 쓰기도 한다. 열매는 먹거나 약으로 쓴다.

조림수종으로 조림지는 산허리의 마른 남향 땅이 좋다. 한국(평안북도·함경북도를 제외한 전국)·

타이완·중국·일본·티베트 등지에 분포한다.

 

 

※ 대왕참나무(핀오크)

 

이미지를 클릭하면 원본을 보실 수 있습니다.

 

= 과 명 : 참나무과

   대왕참나무-참나무과 낙엽활엽교목 Qurercus palustris

   대왕참나무(루브라참나무)[Quercus rubra] /영명 : Red Oak, Gray Oak

수관은 달걀모양 또는 둥글넙적한 모양이다. 나무껍질은 회색이고 매끈하나 오래되면 얇게 터진다.

 1년생 가지는 불그스름한 갈색이다. 잎은 어긋나고, 길이는 8∼20cm이며 가장자리에 3∼7개의 큰 톱니 가 있다.

잎 뒷면에 회색 털이 나 있다. 열매는 갈색으로 구형 또는 타원형이며 길이 2∼3cm이다.

 

*특징 : 이식력 및 활착력이 강하여 어느 곳에서도 식재가 가능하며 수형은 직립형으로 가지가 

 수양성으로 그 형태가 아름답다. 특

히 가을의 단풍이 적색으로서 아름다운 수종이다.  관상용 정원수로 심는다.

 

 

 

 

1. 상실(橡實)의 전설-상수리 

 


한반도 해남에는 정직하고 성실한 정의의 바다를 다스리는 뺀질신이 살고 있었고,

계룡산에는 권력의 신인 젊은 변학도가 살고 있었는데

 

두 신(神)은 의좋게 나라를 다스리고 있었다. 
뺀질신에게는 절세미인인 동생이 하나 있었다. 뺀질신은 은근히 여동생 찜보와 변학도가 결혼하길 바라고 있었다.


정의의 바다신의 동생과 권력의 신이 결혼한다면 그야말로 좋은 짝이 되어 나라를 행복하게 다스리리라 생각했기 때문이다.

그런데 어느 날, 봄맞이를 나온 변학도는 뺀질이의 동생을 보자 한눈에 반하여 강제로 겁탈을 했다.


그리고는 계룡산 산신각으로 데리고 가버렸다. 훗날 이 사실을 안 뺀질신은 화가 머리끝까지 올랐다.

평소 변학도 청년신을 동생과 짝 맺어줄 정도로 좋아했던 만큼 그 일은 도저히 용서할 수 없는 폭행(暴行)이요,

응징(膺懲)의 대상이었다. 화가 난 뺀질신은 변학도에게 전쟁을 선포했다.

 

 


 

그러나 전쟁은 뺀질신의 패배로 끝이 났다. 뺀질신의 분은 더욱 강렬해지기만 했다.

뺀질신은 계속 변학도에게 싸움을 걸었으나 항상 패하기만 했다.

젊고 힘이 센 권력의 신을 여자요 정의의 신이 도저히 이겨낼 수 없었다.

세월이 흐르면 흐를수록 변학도에 대한 노여움은 깊어만 갔다.


한편 폭력으로 겁탈 당한 찜보는 변학도가 아무리 애정 있게 해주어도 세월이 흐르면서 변학도가

지겨워지기 시작했다.

한식날 눈물 흘리는 뺀질신이 상수리나무 아래에서 울고 있는 것을 본 나무신 상수리는 찜보를

구해주기로 마음먹고 자유와 정의를 외치며 변학도를 신들의 세계 밖으로 추방해 버렸다고 한다.

 

상수리나무는 상실(橡實)이라는 열매를 맺는데 성질은 따뜻하며, 맛은 쓰고, 위와 장을 보호하며,

 내장을 튼튼히 하는 성질이 있고,성인병을 퇴치하며, 비만을 없애고,  변비 설사를 치료하고,

정기가 약하여 하체에 힘이 없을 때, 불감증일 때 이를 보호하며  정기를 강하게 한다. 

 


2. 상수리의 약효

① 상수리는 물에 15일간 담구어 떫은맛을 우려낸 다음 찌거나 익혀 먹는다. 곡두실은 도토리이니

상수리의 암컷이라 할 수 있고, 효능은 비슷하다. 

② 위와 장이 약할 때 
식체와 위염으로 인하여 위기능이 약해져서 먹었다하면 체하고 더부룩하며, 설사와 변비를 교대로 하고, 아랫배가 뻐근할 때와 식욕이 없어 고생할 때, 늙은 호박 1개, 상수리 100개, 칡(갈근)200g,

산사(아rm배)150g, 창출100g, 감초50g을 준비한다.


[만드는 법] 
늙은 호박의 속을 긁어낸 다음 상수리 100개를 껍질을 벗긴 후

칡, 산사, 창출, 감초와 함께 호박 속에 넣은 다음 찜통에 넣고 6시간이상 고우면 죽이 되는데

 1일 3회, 1공기씩 따뜻하게, 1개월 이상 마시면 위와 장이 좋아지며 식욕도 좋아진다. 

③ 비만인 자 
상수리 200g, 녹두150g, 메밀, 율무, 결명자 각 100g, 백작약, 감초 각 50g 상기약재를 분말하여 녹두알 만하게 찹쌀로 환약을 만들어 1일 20~30알씩 1일 3회 복용한다.

④ 성인병인 고혈압, 당뇨병이 있을 때




(가) 고혈압이 있어 혈압을 낮추며 중풍예방을 위해서는 도토리 150g를 벗겨서 15일간 물에 담구어 놓는다.


ㄱ. 곶감은 씨와 꼭지를 뺀다. 
ㄴ. 진두차례(휘청)는 막걸리를 부어 9번 시루에 찌고 말린다. 
ㄷ. 방풍은 식방풍 한국산으로 준비 
ㄹ. 문어는 마른문어다리를 준비한다. 
ㅁ. 매실(오매)을 5일간 식초에 담구었다 꺼내 말리다. 
ㅂ. 상기약재를 분말 하여 팥알만하게 환약을 만들어 20~30알씩 1일 3회 복용한다.


(나) 당뇨병이 있을 때


상수리 200g, 칡(갈근), 맥문동, 천화분, 구기자, 백간잠, 연육, 오미자 각100g을 준비한다.


[만드는 법] 
ㄱ. 상수리를 200g 껍질을 벗겨 물에 15일간 담구었다 말린다. 
ㄴ. 칡-마른 칡을 잘게 썰어 준비한다. 
ㄷ. 맥문동은 심을 뺀다. 
ㄹ. 백간잠(누에)을 불에 볶는다. 
ㅁ. 천화분, 구기자, 연자육, 오미자를 각150g 준비한다-칡, 맥문동, 백간잠 각150g 
ㅂ. 상기약재를 분말하여 녹두로 죽을 쑤어 녹두알만 하게 환약을 만들어 1일 3회 20알씩 복용한다.


 

 

⑤ 불감증과 정력쇠약 
상수리(도토리) 각 20g, 산약, 산수유, 택사, 구기자, 숙지황, 목단피, 백봉령 각 150g, 오미자, 파극,

육종용 각100g, 터반, 오공(지네),

건율(밤) 각 50g을 분말하여 꿀과 함께 환약을 만들어 1일 4회 20~30알씩 복용한다.





다음검색
현재 게시글 추가 기능 열기

댓글

댓글 리스트
맨위로

카페 검색

카페 검색어 입력폼