CAFE

감성돔낚시 조황

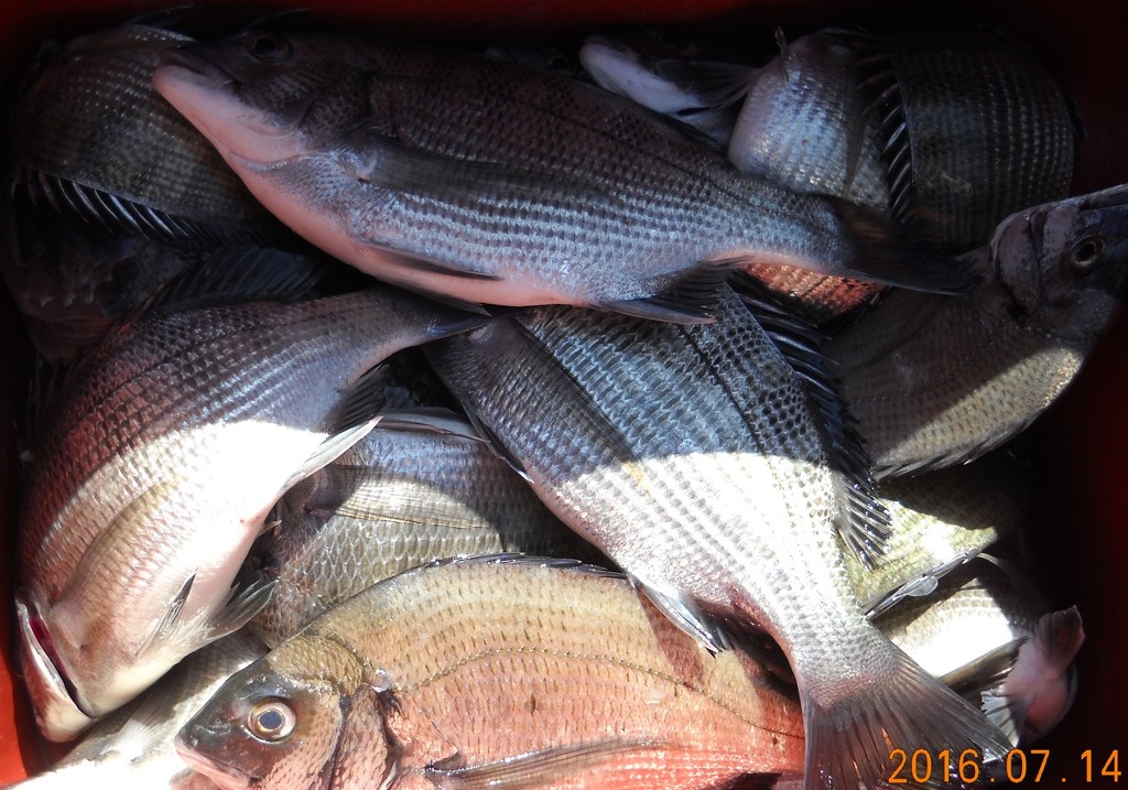
오늘 완도 감성돔 찌낚시 조황입니다~~

작성자라이온피쉬호|작성시간16.07.14|조회수179 목록 댓글 3

 

오늘은 광주조사님 1분을 모시고 감성돔 찌낚시 다녀왔습니다~~

 

 

 

 

 

 

다음검색
현재 게시글 추가 기능 열기

댓글

댓글 리스트
  • 작성자산노을(조양래) | 작성시간 16.07.14 으와 더븐데 감셍이를 낚았네요..혼자 유유자적 참 부럽습니다.ㅎ
  • 작성자라이온피쉬호 작성자 본인 여부 작성자 | 작성시간 16.07.14 넵..ㅎㅎ 한가로이 다녀왔습니다..
    백조기 정출.. 잘다녀오셨저~~
  • 답댓글 작성자산노을(조양래) | 작성시간 16.07.14 ㅎㅎㅎ 아직 조금 이른감이 있었습니다..
    25 ~30 인당30수씩..
    씨알은 굵은데 아직 마릿수는 떨어졌어요..
    아마도 다음주 쯤이면 본격적인 시즌이 될꺼 같네요..
    24일은 또 참돔타이라바및 다운샷 정기출조일입니다..ㅋㅋ
    완도로 또 참돔낚시를 가야되는데 번개로 한 번 때려야 겠네요.ㅋㅋ
댓글 전체보기
맨위로

카페 검색

카페 검색어 입력폼